걸면 키로오버급 한두마리씩 챙겨서 가세요
12월 10일(수)
인낚 현재접속자
4,046명 (
300
)
공지사항
인낚도서관
점주선장전용 공지사항
로그인
광고/제휴 문의
운영진에게
인낚ㅣ인터넷바다낚시
0
어종별선상
어종별갯바위
낚시인조황
점주선장조황
출조정보
낚시광장
낚시지식인
낚시교실
중고장터
휴게실
인낚도서관
인낚몰
0
어종별선상
어종별 선상조황
4대돔 조황
먹물 조황
갈치 조황
볼락&전갱이
빅게임 지깅&파핑
외줄&외수질
기타 어종
어종별 갯바위조황
4대돔 조황
먹물 조황
갈치 조황
볼락&전갱이
농어&삼치&방어&부시리
기타 어종
어종별갯바위
어종별 선상조황
4대돔 조황
먹물 조황
갈치 조황
볼락&전갱이
빅게임 지깅&파핑
외줄&외수질
기타 어종
어종별 갯바위조황
4대돔 조황
먹물 조황
갈치 조황
볼락&전갱이
농어&삼치&방어&부시리
기타 어종
낚시인조황
낚시인 번개조황
낚시인조행기
스탭조행기
우리낚시동호회이야기
전국낚시동호회소개
동호회갤러리
지난 조황자료보기(년도별 조황 자료)
점주선장조황
전국 실시간 조황
선상(배)+좌대 조황
갯바위+방파제 조황
점주선장전용 공지사항
지난 조황자료보기(년도별 조황 자료)
출조정보
낚시인동행출조
점주선장 갯바위 출조
점주선장 선상출조
기상파고정보(기상청)
해상예보
물때표
파고예보(일본)
실시간해양관측예보
스마트조석예보
낚시광장
낚시계뉴스
대회 및 낚시관련 홍보
제품평가단
신상품소개
낚시지식인
Q&A 묻고 답하기
조황/포인트 문의
주간 베스트
낚시용품 사용기
낚시투표
토론방
新어류도감
낚시교실
낚시기법소개
어종별 낚시교실
입문자교실
중급자교실
낚시용어사전
중고장터
중고장터 이용후기
더치트 사기피해 검색
팝니다
삽니다
교환합시다
무료로 드립니다
부품팝니다
부품삽니다
일반 생활용품 사고 팔기
휴게실
출석부
낚시갤러리
세상사는 이야기(자유게시판)
낚시이야기 마당
먹고사는 이야기
구인구직
칭찬합니다
어째이런일이
습득물 찾기
메인
어종별선상
어종별갯바위
낚시인조황
점주선장조황
출조정보
낚시광장
낚시지식인
낚시교실
중고장터
휴게실
0
전국 실시간 조황
선상(배)+좌대 조황
갯바위+방파제 조황
점주선장전용 공지사항
지난 조황자료보기(년도별 조황 자료)
점주/선장 >
선상 + 좌대 조황
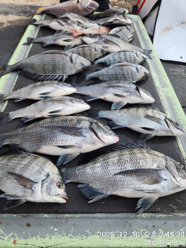
걸면 키로오버급 한두마리씩 챙겨서 가세요
희영호
0
116
11.07 17:15
● 출항지 : 통영
● 출조인원 : 6~10명
네임
카드
희영호
경남 통영시 도산면 저산유촌길 66 유촌항
010-2775-9109
실시간 예약
홈페이지
밴드 바로가기
유튜브/SNS
#조황소식
#걸면키로오버
강한 조류에 역방향 진행에
채비는 날리고 들물에 고전하다
날물이 바뀌고 나니 다행이
큰 녀석들 덤벼 주네요 .
내일은 바람도 있고 조류도 강하고 하니
어장낚시 섬치기 병행해서 조사님들
품 가득찬 문어 손맛 즐길수 있도록 열심히
다녀 보겠습니다.
가을시즌 문어는 무조건 엑션을 팍팍 주시고
스테이 했다 왔을때 한템포 쉬었다 챔질을 부탁드립니다.
예약 바로가기 ???? heeyoung24.sunsang24.com
[밴드 초대]
통영선상낚시 유촌희영호&희영레저
https://band.us/n/adac05Z7Cdgfo
#어장낚시
#편한낚시#유촌
0
신고
목록
0
댓글
로그인한 회원만 댓글 등록이 가능합니다.
×
Image Upload
로그인한 회원만 등록가능합니다.
포토
제목
이름
날짜
[진해] 감성돔(흘림) 4짜,3짜들외 연일 퍽퍽퍽 터집니다.(예약가)
출항지 : 진해 / 출조지 : 거제
진해텍사스호
1
5초전
진해텍사스호
15:18
[통영] (왕문어)K중반 6수 외 평균 700~800g 마릿수 HIT~고…
출항지 : 통영 / 출조지 : 통영
고고써니호
2
54초전
고고써니호
15:17
[여수,광양] 40전후 마릿수 감성돔
출항지 : 여수,광양 / 출조지 :
여수전국낚시
1
1분전
여수전국낚시
15:17
[통영] (원도권)문어 대물 시즌~K전후 줄줄이~홍부장피싱(주야간 쭉~예…
출항지 : 통영 / 출조지 : 통영
홍부장피싱
4
3분전
홍부장피싱
15:15
[진해] [준내만텐빈갈치] 오늘조황/쭈꾸미~토요일/일요일~예약가능합니다
출항지 : 진해 / 출조지 : 진해
엿쟁이낚시
2
4분전
엿쟁이낚시
15:14
[부산] 12월10일 수요일 충무일호 문어조황 및 출조안내
출항지 : 부산 / 출조지 : 부산
남부민일호낚시51
4
5분전
남부민일호낚시51
15:13
[부산] 금일 말쥐치, 부시리
출항지 : 부산 / 출조지 : 부산
청사포씨스타호
4
13분전
청사포씨스타호
15:05
[거제] 홍도권 부시리 타작 참돔얼굴만
출항지 : 거제 / 출조지 :
거제대양피싱
6
13분전
거제대양피싱
15:05
[진해] 준내만갈치 3지4지찐손맛,오늘,출항,쭉 예약가능 문어,낚지,…
출항지 : 진해 / 출조지 : 진해
진해대성낚시
31
13분전
진해대성낚시
15:05
[거제] (감성돔)어초~대박5짜.5짜.5짜 퍽퍽!!내일예약가능
출항지 : 거제 / 출조지 : 거제
거제영웅낚시
8
16분전
거제영웅낚시
15:02
[통영] 어초흘림...5짜외 4짜들...대박
출항지 : 통영 / 출조지 :
통영드림피싱
10
17분전
통영드림피싱
15:01
[사천] 쭈꾸미출조 목요일 예약중입니다
출항지 : 사천 / 출조지 : 사천
삼천포바다낚시
12
17분전
삼천포바다낚시
15:01
[통영] 감성돔 선상 카고낚시 조황
출항지 : 통영 / 출조지 :
통영유방낚시
7
20분전
통영유방낚시
14:58
[부산] 벵에돔(물돼지) 선상 재미 있습니다.^^
출항지 : 부산 / 출조지 :
낫개형제낚시
6
21분전
낫개형제낚시
14:57
[통영] ((밤뽈락외줄))우~와 어초신짝왕뽈들 씨알직입니다 왕뽈ㆍ왕열쿨러…
출항지 : 통영 / 출조지 :
통영짱낚시
161
23분전
통영짱낚시
14:55
초기화
날짜순
조회순
검색
1
2
3
4
5
Search
검색대상
제목
내용
제목+내용
회원아이디
회원아이디(댓글)
글쓴이
글쓴이(댓글)
또는
그리고
검색어
필수
검색
닫기
검색조건
제목
내용
제목+내용
회원아이디
회원아이디(코)
글쓴이
글쓴이(코)
검색어
또는
그리고
검색
인낚몰 초특가
★500★ W쿠션 멀티 수중찌 M L - 전유동 반유동 끄심바리 필수품 수중쿠션
★5,900★ 여러개 있으면 아주 좋은 EVA 시스템 백
★ 1+1 플로팅, 세미, 카본 낚시줄 행사 호수선택가능 / 택상 1+1 원줄, 목줄 행사
★6,000★ 예민함의 끝판왕 애니원찌 벵에돔찌 학공치찌
★15,000★ 오동목 구멍찌 5개 + 메쉬 찌케이스 세트
★22만원★ 40W 집어등을 이 가격에!
★5,000★ 전층쿠션 15세트입 S / L 사이즈
★2,000★ 전층쿠션 5세트입 S / L 사이즈
★10,000 미니집어등5개 + 425배터리 1개 + 스토퍼고무 10개
★13,500 深海 심해대물 갈치집어등 3개 5LED 오색 집어등 갈치낚시 필수품 건전지3개 포함 수중집어등
★9,900★ 수제공방 갈치 풀치 잔치세트 짬낚시 필수 하나로 끝
★8,650~★ 아부가르시아 카치카치다마 유동식 타이라바 - 80g / 100g / 120g / 140g