감성돔(선상)탕탕 터져도~굵은놈들 손맛~가고파호 조황(12일 예약)

신상품 소개


회원 랭킹


공지사항


NaverBand
점주/선장 > 선상(배) 조황

▶ 지켜주세요! ◀
 
 - 당일 조황을 올리셔야 합니다. 
 - 지난 조황은 2일이내 미등록 조황만 가능합니다. 
 - 이미 올린 조황을 붙여넣기하여 계속 등재하시면 중복조황에 해당합니다. 
 - 당일 조황을 올리면서 이전 조황을 같이 올리면 중복조황에 해당합니다.
 - 조황없는 출조정보는 출조정보 게시판을 이용하시길 바랍니다. 
 - 올린 글 삭제하고 다시 올려 상단에 올리려는 방법, 이용규칙 위반입니다. 
 - 제목에 특수문자 사용하시면 안됩니다. (온점, 쉼표, 느낌표, 괄호, 물결만 허용)

 ☆ 공지사항에 '조황등재시 유의사항' 게시글을 꼭 확인하시고 조황작성 부탁드리며, 가장 기본적인 
    규칙이 지켜지지 않을 시 예고없이 글 삭제 및 이용정지 될 수 있음을 알려드립니다. 
 
b_hot_innakmall_200x80_240307.jpg b_hot_innakmall_200x80_220704.jpg b_hot_ggsusan_hongeu_200x80.gif b_hot_innakmall_200x80_211203.gif

감성돔(선상)탕탕 터져도~굵은놈들 손맛~가고파호 조황(12일 예약)

거제가고파 1 72
● 출항지 : 거제
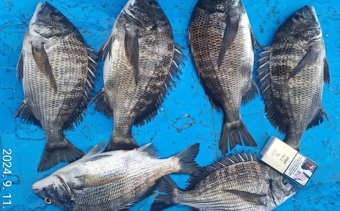
11일(수요일) 거제도 감성돔 선상 흘림낚시 "가고파호" 철수 조황입니다.
※ 감성돔 53Cm이상 포획시, 가고파호 공동이벤트 AJIKA 최상급 라인 증정.
※ 주차하고 선착장까지 바로 연결되어 편리합니다.

★12일(목요일) 2물, 거제권 감성돔 흘림낚시(오전) "예약가능"
감성돔(오전낚시) 굵은 씨알들 꾸준히 덤빕니다
  • 사용자가 올린 이미지

거제도 감성돔 선상 흘림낚시 전문출조점 가고파호입니다.
동이틀무렵부터 해가 뜬 시점은 감성돔들이 가장 활성도가 높은 구간,
오늘도 어김없이 몇방은 터져 나갔지만, 씨알 좋은 감성돔으로 마리수
손맛으로 출조를 마칠 수 있었습니다. 포인트 도착하면, 지형을 먼저
파악하고 감성돔이 달리는 방향, 반대방향으로 낚시대 끝을 두고
꾸준한 릴링이 필요한 시기입니다.
주말까지 좋은 물때로 진입합니다~

12일 목요일, 내일 좋은 물때에 맞추어 핫한 포인트로 진입합니다. 오실 때,
원줄과 목줄은 한호수 굵은 것으로 준비하시길 바랍니다.
오늘도 가고파호를 찾아 주신 조산임 수고 많으셨습니다.

▣ 가고파호 출조 일정 안내 ▣
※ 감성돔 선상낚시 평일 오전낚시(7만원) & 종일낚시 선택 가능.
★ 12일(목요일) 거제권 감성돔 흘림낚시(오전) "예약가능"
★ 13일(금요일) 거제권 감성돔 흘림낚시(오전) "예약가능"
★ 14일(토요일) 거제권 감성돔 흘림낚시(오전) "예약가능"
- 주중, 주말 예약 가능합니다.

▩ 가고파호(선상) ☎ 010 8553 7868
▩ 뗏마 (전마선) ☎010-3336-6727
▩ 가고파호 http://gagopaho.co.kr 밴드 http://band.us/@gagopaho
▩ 주소 :거제시 둔덕면 학산3길 81 (舊주소:둔덕면 학산리 109번지)
  • 사용자가 올린 이미지
▩ 감성돔 선상낚시 안내 ▩
(주말 / 공휴일) 05:30 ~ 14시 철수 10만원 (밑밥,도시락포함)
- 생수,커피,라면,초장등, 낚시장비만 가지고 오세요

▩ 뗏마(전마선) 운영안내 ▩
- 06:00 ~ 17:30까지 가을시즌 운영됩니다.
- 1인용 6만원, 2인용 7만원, 3인용 8만원
- 거제도 어초위 설치 고정 뗏마.

▩ 가고파호(선상) ☎ 010 8553 7868
▩ 뗏마 (전마선) ☎010-3336-6727
▩ 가고파호 http://gagopaho.co.kr 밴드 http://band.us/@gagopaho
▩ 주소 :거제시 둔덕면 학산3길 81 (舊주소:둔덕면 학산리 109번지)
  • 사용자가 올린 이미지

, , , , , , , , , , ,

1 댓글
거제가고파 24-09-11 14:13 0  
12일 감성돔 오전낚시 예약 가능합니다. 감사합니다.
포토 제목
 
 

인낚 최신글


인낚 최신댓글


온라인 문의 안내


월~금 : 9:00 ~ 18:00
토/일/공휴일 휴무
점심시간 : 12:00 ~ 13:00