감성돔 美친~10방팅~4짜 4짜외 소나기입질~거제대어1호 조황(5일 예약)

신상품 소개


회원 랭킹


공지사항


NaverBand
점주/선장 > 선상(배) 조황

▶ 지켜주세요! ◀
 
 - 당일 조황을 올리셔야 합니다. 
 - 지난 조황은 2일이내 미등록 조황만 가능합니다. 
 - 이미 올린 조황을 붙여넣기하여 계속 등재하시면 중복조황에 해당합니다. 
 - 당일 조황을 올리면서 이전 조황을 같이 올리면 중복조황에 해당합니다.
 - 조황없는 출조정보는 출조정보 게시판을 이용하시길 바랍니다. 
 - 올린 글 삭제하고 다시 올려 상단에 올리려는 방법, 이용규칙 위반입니다. 
 - 제목에 특수문자 사용하시면 안됩니다. (온점, 쉼표, 느낌표, 괄호, 물결만 허용)

 ☆ 공지사항에 '조황등재시 유의사항' 게시글을 꼭 확인하시고 조황작성 부탁드리며, 가장 기본적인 
    규칙이 지켜지지 않을 시 예고없이 글 삭제 및 이용정지 될 수 있음을 알려드립니다. 
 
b_hot_innakmall_200x80_240307.jpg b_hot_innakmall_200x80_220704.jpg b_hot_ggsusan_hongeu_200x80.gif b_hot_innakmall_200x80_211203.gif

감성돔 美친~10방팅~4짜 4짜외 소나기입질~거제대어1호 조황(5일 예약)

거제대어1호 1 144
● 출항지 : 거제
4일(수요일) 거제도 참돔/감성돔낚시 "거제대어1호"(마감) 핫조황입니다.
※ 참돔 68Cm이상(日 1명) 대어낚시&아지카 공동이벤트 최상급원줄 증정!!!

☆5일(목요일) 참돔낚시 감성돔낚시 선외기대여"예약가능"
(5일 10물, 만조 09:51 간조 15:42)감성돔/참돔/선외기 대여/생활낚시/숙박OK!!!
(감성돔) 대형급 10방 이상 터지고~ 4짜 4짜외 퍽~퍽~마리수
추석 제수고기 낚으러 오십시요!!!!
  • 사용자가 올린 이미지

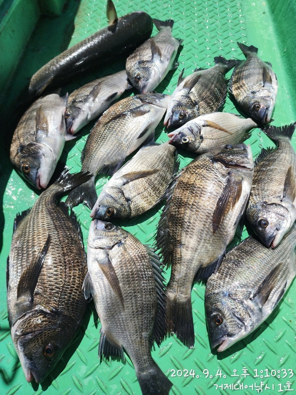
거제대어낚시1호 감성돔 흘림낚시 조황입니다.
오늘은 강한바람이 있긴 했지만, 기온도 떨어지고, 수온도 안정화되면서
녀석들의 활성도가 상당히 높은 상황, 10방 이상 터지고~ 빠지면서도
씨알 좋은 감성돔 4짜, 4짜급들로 찐하게 손맛 즐기셨습니다. 내일부터
주말까지 물때와 기상예보까지 좋아 출조가 기대 됩니다.

내일, 9월 5일(목요일) 선단 먼바다 참돔, 부시리흘림, 내만권 감성돔흘림
분산 출조하고, 예약 가능합니다.
오늘도 거제 대어낚시를 찾아 주신 조사님 수고 많으셨습니다.

▣ 거제대어낚시 참돔부시리/감성돔낚시/선외기대여 일정 안내 ▣
★숙박+낚시배를 동시에 이용하고자 하는 분들은 할인 혜택 적용.
(선외기 소식) 선외기대에서 돌문어 굵은놈들 본격 입성했습니다.
☆9월 5일(목요일) 참돔낚시 감성돔낚시 선외기대여 "예약가능
☆9월 6일(금요일) 참돔낚시 감성돔낚시 선외기대여 "예약가능
☆9월 7일(토요일) 참돔낚시 감성돔낚시 선외기대여 "예약가능
☆9월 8일(일요일) 참돔낚시 감성돔낚시 선외기대여 "예약가능
※ 좋은 포인트 선정을 위해 예약을 미리미리 서둘러 주십시요.

거제대어낚시 선상낚시 예약(독채 민박)
문의 ☎ 010-6400-2082 / ☎ 010-454-393
ㅁ선외기 예약: ☎ 010-6400-2082
■ 밴드: https://band.us/@geojdaeeofishing
  • 사용자가 올린 이미지
  • 사용자가 올린 이미지
  • 사용자가 올린 이미지
  • 사용자가 올린 이미지
  • 사용자가 올린 이미지
  • 사용자가 올린 이미지
  • 사용자가 올린 이미지
  • 사용자가 올린 이미지
  • 사용자가 올린 이미지
  • 사용자가 올린 이미지
거제 대어낚시는 1~8선단을 운영하고 있으며 거제도에서 가장 큰
규모를 자랑합니다. 단체팀/회사팀/기업팀/동호회팀/선상 낚시대회도
가능한 충분한 인원을 수용 가능합니다.

■ 돌문어낚시 ■
새벽 4시 30분 출발해서 오후 1시 전후까지 운영.
- 식사, 음료 커피 제공

■ 참돔 흘림낚시 (내만권/중장거리 상시 출조)
한나절:새벽부터 ~ 2시까지(유동적) 13만원
- 밑밥,미끼,도시락 제공, 커피, 음료, 생수 제공
(낚싯대) 기본 1.5호~2호대 530(경질대 선호)
(릴) 4000번~6000번. 권사량 150~200미터 추천되는 스피닝릴.
(라인) 원줄 4~6호 플로팅 세미타입, 목줄 후로로카본 100% 4호~6호 선호.
(바늘) 참돔 8~12호, 큐션또는 수중큐션 -2B ~ -5B, 좁쌀봉돌, 스위벨도래
※독배는 시간 조정 가능합니다.

▦ 거제대어낚시 참돔 시상 내역 ▦ 일 1명씩 시상됩니다.
68Cm 이상 - 최상급 원줄 증정

■ 생활낚시 & 낚시체험
- 상시 예약 출조 가능합니다.
- 낚은 고기로 회썰어 드립니다.
- 몸만 오시면 됩니다.(낚싯대, 장비일절제공, 구명복 제공)

■ 선외기 대여
(4인승)- 13만원, (3인승) - 10만원 / (2인승) - 8만원 / (1인승)- 7만원.
영업구역 내 조정면허증 필요 없으므로, 누구나 이용이 가능합니다.
- 선외기 사용교육 3분이면 바로, 운전하실 수 있습니다.

★안전 주의 사항★
- 거제대어낚시 선단 이용시, 안전한 낚시를 위해 선착장 통로 이용시 미끌림을
주의 해 주시길 바랍니다. 통로 좌우에 있는 핸들을 잡고 이동하시면 안전합니다.
- 선착장도착전, 배에서 미리 내리지 마시고, 배가 정박하고, 로프를 묶은 뒤에
하선해 주시길 바랍니다.

★대어낚시 선단★
거제 대어낚시 1호 ㅡ 안젤라호
거제 대어낚시 2호 ㅡ 안드레아호
거제 대어낚시 3호 ㅡ 야호(YAHO)
거제 대어낚시 4호 ㅡ 돌핀호
거제 대어낚시 5호 ㅡ 미래호
거제 대어낚시 6호 ㅡ 거제바다호
거제 대어낚시 7호 ㅡ 사랑호
거제 대어낚시 8호 ㅡ 대어호

■ 주변 제휴 민박집 ■
아지랑 민박(단체-독채) ☎010-6400-2082
해송굴구이민박 (단체) ☎010-2545-3755
거제 대어낚시 주변 파라스파찜질방 검색하시면 됩니다.

☎ 거제대어낚시 선상낚시 예약(독채 민박) 문의☎
☎ 010-6400-2082 / ☎ 010-4547-3937
ㅁ선외기: ☎ 010-6400-2082
■ 밴드: https://band.us/@geojedaeeofishing

★찾아오시는길★
※출항지: 거제시 거제면 법동리 1074번지 아지랑경로당 방파제
사무실 :거제시 거제면 서정리 746-3(GS25시편의점)검색하시면 바로 옆 위치
★★★신분증 꼭 지참해주세요★★★
  • 사용자가 올린 이미지

, , , , , , , , , , , , , , , , , , , , , , , , , , , , , , , , , ,

1 댓글
거제대어1호 24-09-04 15:06 0  
5일 먼바다 참돔낚시 선단 감성돔낚시 선외기대여 예약 가능합니다. 감사합니다.
포토 제목
 
 

인낚 최신글


인낚 최신댓글


온라인 문의 안내


월~금 : 9:00 ~ 18:00
토/일/공휴일 휴무
점심시간 : 12:00 ~ 13:00