감성돔 대형급 팅~팅~45Cm외 마리수~가고파호 핫조황(4일 예약)

신상품 소개


회원 랭킹


공지사항


NaverBand
점주/선장 > 선상(배) 조황

▶ 지켜주세요! ◀
 
 - 당일 조황을 올리셔야 합니다. 
 - 지난 조황은 2일이내 미등록 조황만 가능합니다. 
 - 이미 올린 조황을 붙여넣기하여 계속 등재하시면 중복조황에 해당합니다. 
 - 당일 조황을 올리면서 이전 조황을 같이 올리면 중복조황에 해당합니다.
 - 조황없는 출조정보는 출조정보 게시판을 이용하시길 바랍니다. 
 - 올린 글 삭제하고 다시 올려 상단에 올리려는 방법, 이용규칙 위반입니다. 
 - 제목에 특수문자 사용하시면 안됩니다. (온점, 쉼표, 느낌표, 괄호, 물결만 허용)

 ☆ 공지사항에 '조황등재시 유의사항' 게시글을 꼭 확인하시고 조황작성 부탁드리며, 가장 기본적인 
    규칙이 지켜지지 않을 시 예고없이 글 삭제 및 이용정지 될 수 있음을 알려드립니다. 
 
b_hot_innakmall_200x80_240307.jpg b_hot_innakmall_200x80_220704.jpg b_hot_ggsusan_hongeu_200x80.gif b_hot_innakmall_200x80_211203.gif

감성돔 대형급 팅~팅~45Cm외 마리수~가고파호 핫조황(4일 예약)

거제가고파 1 139
● 출항지 : 거제
3일(화요일) 거제도 감성돔 선상 흘림낚시 오전낚시 "가고파호"(마감)조황입니다.
※ 감성돔 53Cm이상 포획시, 가고파호 공동이벤트 AJIKA 최상급 라인 증정.
※ 주차하고 선착장까지 바로 연결되어 편리합니다.

★4일(수요일) 9물,감성돔 선상 흘림낚시(오전 7만원) "예약가능"
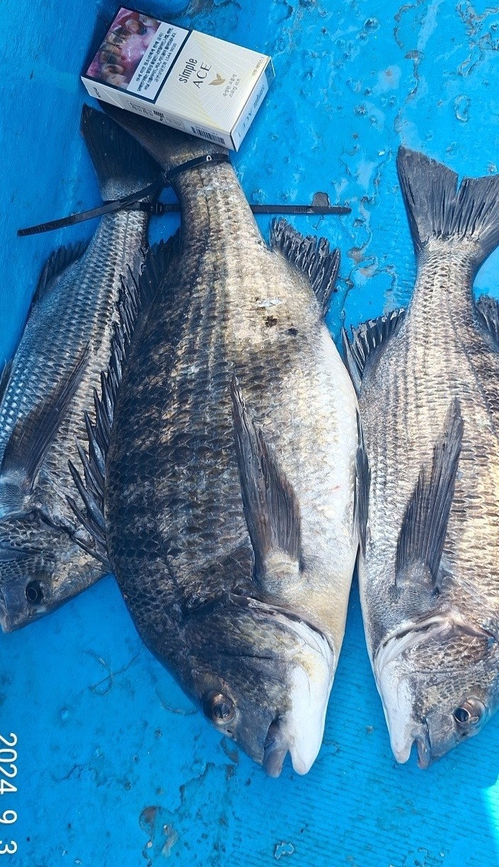
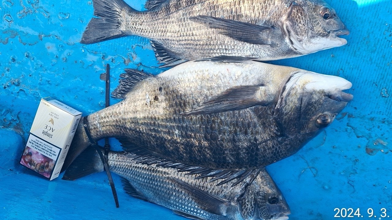
감성돔(흘림) 대형급 팅~팅~45Cm외 마리수~
감성돔낚시는 역시~ 오전낚시 강력추천!!!
  • 사용자가 올린 이미지

가고파호입니다.
좋은 물때에 맞추어 진입한 감성돔포인트, 역시 수일째 밑밥이 들어가면 바로
반응이 오면서, 오늘도 몇방 제대로 터트리고, 굵은 감성돔 45Cm외 4짜들외
마리수로 손맛을 마칠 수 있었습니다. 씨알들이 굵고 힘들이 제대로 붙은 것
같습니다. 올해는 개체수가 많아 무리가 없을 것 같습니다.

추석 제수고기 제대로 낚을 수 있는 기회입니다. 도전하십시요~
내일부터 쭈욱 감성돔 오전낚시 진행합니다.
오늘도 거제 가고파호를 찾아 주신 조사님 수고 많으셨습니다.

▣ 가고파호 선상낚시/뗏마낚시 일정 안내 ▣
※ 감성돔 선상낚시 평일 오전낚시(7만원) & 종일낚시 선택 가능.
- 뗏마낚시 상시 예약 가능합니다.
★4일(수) 9물, 감성돔 선상 흘림낚시(오전 7만원) "예약가능"
★5일(목) 10물, 감성돔 선상 흘림낚시(오전 7만원) "예약가능"
★6일(금) 11물, 감성돔 선상 흘림낚시(오전 7만원) "예약가능"
- 주중, 주말 예약 가능합니다.

▩ 가고파호(선상) ☎ 010 8553 7868
▩ 뗏마 (전마선) ☎010-3336-6727
▩ 가고파호 http://gagopaho.co.kr 밴드 http://band.us/@gagopaho
▩ 주소 :거제시 둔덕면 학산3길 81 (舊주소:둔덕면 학산리 109번지)
  • 사용자가 올린 이미지
  • 사용자가 올린 이미지
  • 사용자가 올린 이미지
  • 사용자가 올린 이미지
▩ 감성돔 선상낚시 안내 ▩
(주말 / 공휴일) 05:30 ~ 14시 철수 10만원 (밑밥,도시락포함)
- 평일 주간 오전 감성돔낚시 7만원
- 생수,커피,라면,초장등, 낚시장비만 가지고 오세요

▩ 뗏마(전마선) 운영안내 ▩
- 06:00 ~ 17:30까지 가을시즌 운영됩니다.
- 1인용 6만원, 2인용 7만원, 3인용 8만원
- 거제도 어초위 설치 고정 뗏마.

▩ 가고파호(선상) ☎ 010 8553 7868
▩ 뗏마 (전마선) ☎010-3336-6727
▩ 가고파호 http://gagopaho.co.kr 밴드 http://band.us/@gagopaho
▩ 주소 :거제시 둔덕면 학산3길 81 (舊주소:둔덕면 학산리 109번지)
  • 사용자가 올린 이미지

, , , , , , , , , , ,

1 댓글
거제가고파 24-09-03 15:17 0  
4일 거제도 감성돔낚시 예약자리 있습니다. 감사합니다.
포토 제목
 
 

인낚 최신글


인낚 최신댓글


온라인 문의 안내


월~금 : 9:00 ~ 18:00
토/일/공휴일 휴무
점심시간 : 12:00 ~ 13:00