감성돔(오전 실시간) 굵은놈들 강력한 손맛~가고파호 조황(16일 예약)

신상품 소개


회원 랭킹


공지사항


NaverBand
점주/선장 > 선상(배) 조황

▶ 지켜주세요! ◀
 
 - 당일 조황을 올리셔야 합니다. 
 - 지난 조황은 2일이내 미등록 조황만 가능합니다. 
 - 이미 올린 조황을 붙여넣기하여 계속 등재하시면 중복조황에 해당합니다. 
 - 당일 조황을 올리면서 이전 조황을 같이 올리면 중복조황에 해당합니다.
 - 조황없는 출조정보는 출조정보 게시판을 이용하시길 바랍니다. 
 - 올린 글 삭제하고 다시 올려 상단에 올리려는 방법, 이용규칙 위반입니다. 
 - 제목에 특수문자 사용하시면 안됩니다. (온점, 쉼표, 느낌표, 괄호, 물결만 허용)

 ☆ 공지사항에 '조황등재시 유의사항' 게시글을 꼭 확인하시고 조황작성 부탁드리며, 가장 기본적인 
    규칙이 지켜지지 않을 시 예고없이 글 삭제 및 이용정지 될 수 있음을 알려드립니다. 
 
b_hot_innakmall_200x80_240307.jpg b_hot_innakmall_200x80_220704.jpg b_hot_ggsusan_hongeu_200x80.gif b_hot_innakmall_200x80_211203.gif

감성돔(오전 실시간) 굵은놈들 강력한 손맛~가고파호 조황(16일 예약)

거제가고파 1 116
● 출항지 : 거제
15일(목) 거제도 감성돔 선상 흘림낚시 오전낚시 "가고파호"(실시간)조황입니다.
※ 감성돔 53Cm이상 포획시, 가고파호 공동이벤트 AJIKA 최상급 라인 증정.
※ 주차하고 선착장까지 바로 연결되어 편리합니다.

★16일(금) 5물, 감성돔 선상 흘림낚시(오전 7만원) "예약가능"
감성돔(오전 실시간) 굵은놈들 강력한 손맛~
※ 16일~23일까지 승율높은 백중사리 구간입니다.
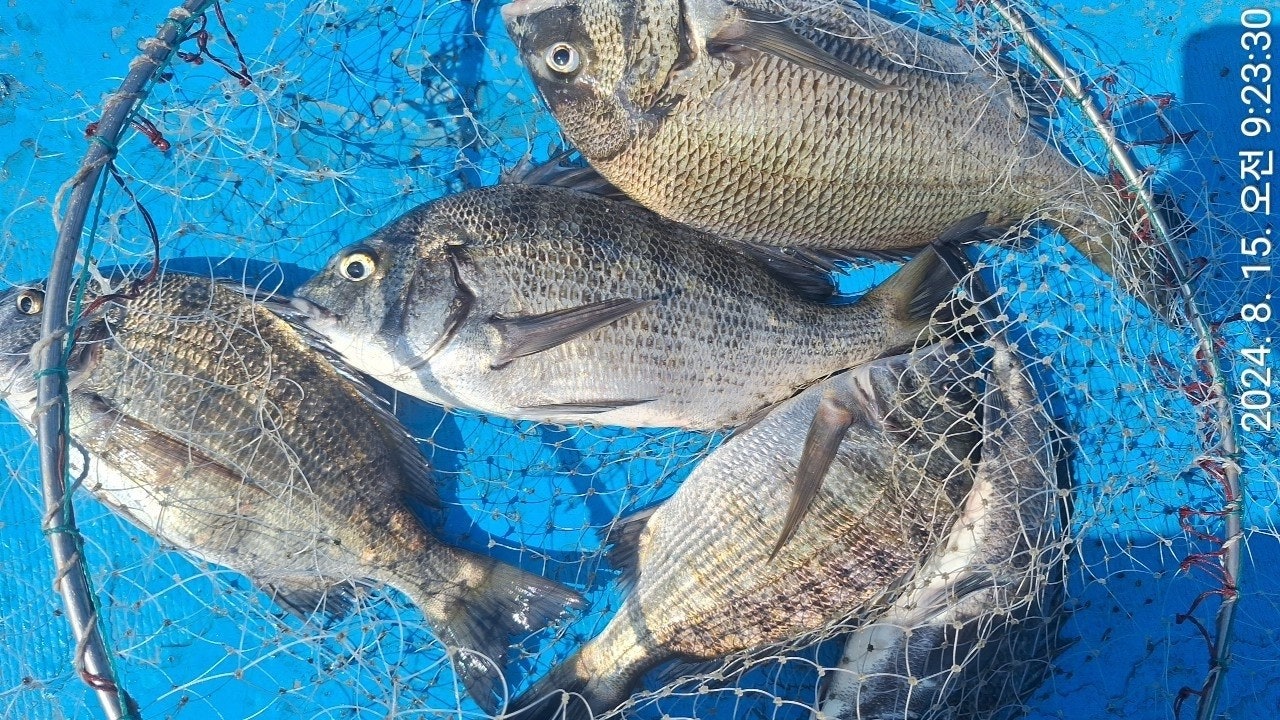
  • 사용자가 올린 이미지

거제도 감성돔 선상 흘림낚시 전문출조점 가고파호입니다.
오늘도 시원시원한 가을 바람을 맞으면서 감성돔 핫포인트 진입했습니다.
동이틀 무렵, 강력한 어신에 몇방은 터져 나갔지만, 굵은 감성돔으로 손맛을
진행하고 있습니다. 잔존부력을 줄인 채비에 이물감없이 빨아 버리는
감성돔들의 입질이 꾸준히 이어지고 있습니다.
가을 감성돔 손맛보러 오시길 바랍니다. 가성비 좋은 오전낚시 강력추천합니다

내일, 16일 금요일 5물 물때, 거제도 감성돔낚시 오전출조 쭈욱 달립니다.
새벽부터 아침타임에 이동하는 감성돔들의 손맛을 제대로 볼 수 있는 시기입니다.
시원한 새벽에 진입해 가성비 좋은 낚시를 즐겨 보시길 바랍니다.
감성돔낚시는 역시~ 오전낚시 강력추천!!!

▣ 가고파호 선상낚시/뗏마낚시 일정 안내 ▣
※ 감성돔 선상낚시 평일 오전낚시(7만원) & 종일낚시 선택 가능.
- 뗏마낚시 상시 예약 가능합니다.
★16일(금요일) 감성돔 선상 흘림낚시(오전 7만원) "예약가능"
★17일(토요일) 감성돔 선상 흘림낚시(오전 7만원) "예약가능"
★18일(일요일) 감성돔 선상 흘림낚시(오전 7만원) "예약가능"
- 주중, 주말 예약 가능합니다.

▩ 가고파호(선상) ☎ 010 8553 7868
▩ 뗏마 (전마선) ☎010-3336-6727
▩ 가고파호 http://gagopaho.co.kr 밴드 http://band.us/@gagopaho
▩ 주소 :거제시 둔덕면 학산3길 81 (舊주소:둔덕면 학산리 109번지)
  • 사용자가 올린 이미지
▩ 감성돔 선상낚시 안내 ▩
(주말 / 공휴일) 05:30 ~ 14시 철수 10만원 (밑밥,도시락포함)
- 생수,커피,라면,초장등, 낚시장비만 가지고 오세요

▩ 뗏마(전마선) 운영안내 ▩
- 06:00 ~ 17:30까지 가을시즌 운영됩니다.
- 1인용 6만원, 2인용 7만원, 3인용 8만원
- 거제도 어초위 설치 고정 뗏마.

▩ 가고파호(선상) ☎ 010 8553 7868
▩ 뗏마 (전마선) ☎010-3336-6727
▩ 가고파호 http://gagopaho.co.kr 밴드 http://band.us/@gagopaho
▩ 주소 :거제시 둔덕면 학산3길 81 (舊주소:둔덕면 학산리 109번지)
  • 사용자가 올린 이미지

, , , , , , , , , , ,

1 댓글
거제가고파 24-08-15 09:36 0  
16일 거제도 감성돔 오전낚시 예약 가능합니다.감사합니다.
포토 제목
 
 

인낚 최신글


인낚 최신댓글


온라인 문의 안내


월~금 : 9:00 ~ 18:00
토/일/공휴일 휴무
점심시간 : 12:00 ~ 13:00