- 당일 조황을 올리셔야 합니다. - 지난 조황은 2일이내 미등록 조황만 가능합니다. - 이미 올린 조황을 붙여넣기하여 계속 등재하시면 중복조황에 해당합니다. - 당일 조황을 올리면서 이전 조황을 같이 올리면 중복조황에 해당합니다. - 조황없는 출조정보는 출조정보 게시판을 이용하시길 바랍니다. - 올린 글 삭제하고 다시 올려 상단에 올리려는 방법, 이용규칙 위반입니다. - 제목에 특수문자 사용하시면 안됩니다. (온점, 쉼표, 느낌표, 괄호, 물결만 허용) ☆ 공지사항에 '조황등재시 유의사항' 게시글을 꼭 확인하시고 조황작성 부탁드리며, 가장 기본적인 규칙이 지켜지지 않을 시 예고없이 글 삭제 및 이용정지 될 수 있음을 알려드립니다. |
![]() |
|
![]() |
![]() |
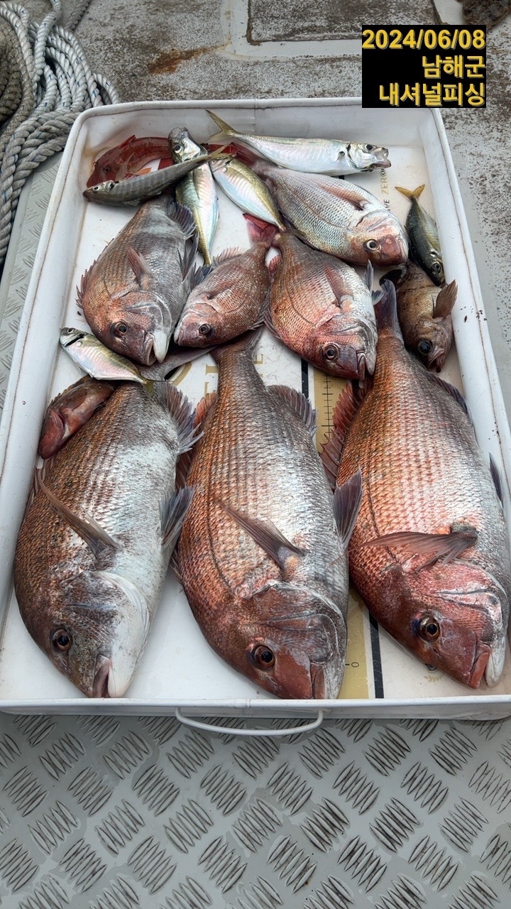
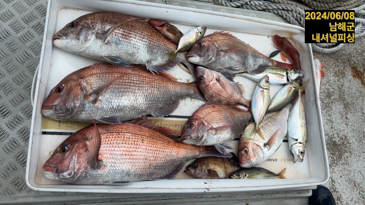
남해 미조 내셔널호(선상) 참돔 조황입니다~~#남해 #남해선상낚시 #남해참돔조황 #남해미조
#참돔흘림 #남해참돔조황 #남해참돔 #남해미조참돔
#6월8일 #10물
내셔널입니다~!
오전팀 모시고, 참돔 다녀왔습니다~!
아침일찍 날씨가 그나마 좋더니, 비가 쏟아지네요.
대물급은 아니지만, 손맛 보고왔습니다^^
오전팀 모시고, 참돔 다녀왔습니다~!
아침일찍 날씨가 그나마 좋더니, 비가 쏟아지네요.
대물급은 아니지만, 손맛 보고왔습니다^^
*참돔 이벤트 진행중이니, 밴드 공지 참고하시고~
묵직한 손맛도 보시고, 이벤트상품도 노려보세요~~~!!!
내셔널호, 내셔널피싱, 남해, 남해미조, 남해참돔흘림, 남해선상, 남해미조낚시, 미조낚시배, 선상낚시, 남해여행, 남해체험낚시
안녕하세요 남해 미조 팔랑마을에 위치한 선상낚시 갯바위낚시 전문 내셔널피싱 입니다 ㆍ #내셔널피싱 은 2023년 최신 표준어선형 설계로 5톤사이즈 이지만 6~7톤급 넓은 구조로 낚시하기편한 넓은통로와 깨끗한 화장실, 아늑한 선실이 구비되어 있는 최신식 #남해선상낚시 #갯바위낚시 배 입니다. ㆍ 또한 최신형 전자장비와 40년 낚시&어부 인생을 살아오신 아버지의 노하우로 정확한 포인트 낚시가 가능하며 승선인원은 12명으로 #흘림낚시 #루어낚시 #생활낚시 #갯바위낚시 등 모든장르의 낚시가 가능합니다. 남해바다길 40년 노하우로 풍성한 조과로 모시겠습니다. ㆍ #남해낚시 배 내셔널피싱은 #감성돔낚시 #참돔낚시 #볼락낚시 #농어낚시 #무늬오징어루어낚시 #생활낚시 전문입니다 ㆍ 찾아오시는길은 네이게이션으로 [남해군 미조면 미조로 317-10] 검색후 앞 선착장으로 오시면 주차시설 널널 합니다 ㆍ 문의 010 4100 2788 (입질팍팍)
|
|
|
|








