참돔(욕지도권) 5호목줄 팅~농어 부시리 폭격~고성베이호 핫조황(9일 예약)

신상품 소개


회원 랭킹


공지사항


NaverBand
점주/선장 > 선상(배) 조황

▶ 지켜주세요! ◀
 
 - 당일 조황을 올리셔야 합니다. 
 - 지난 조황은 2일이내 미등록 조황만 가능합니다. 
 - 이미 올린 조황을 붙여넣기하여 계속 등재하시면 중복조황에 해당합니다. 
 - 당일 조황을 올리면서 이전 조황을 같이 올리면 중복조황에 해당합니다.
 - 조황없는 출조정보는 출조정보 게시판을 이용하시길 바랍니다. 
 - 올린 글 삭제하고 다시 올려 상단에 올리려는 방법, 이용규칙 위반입니다. 
 - 제목에 특수문자 사용하시면 안됩니다. (온점, 쉼표, 느낌표, 괄호, 물결만 허용)

 ☆ 공지사항에 '조황등재시 유의사항' 게시글을 꼭 확인하시고 조황작성 부탁드리며, 가장 기본적인 
    규칙이 지켜지지 않을 시 예고없이 글 삭제 및 이용정지 될 수 있음을 알려드립니다. 
 
b_hot_innakmall_200x80_240307.jpg b_hot_innakmall_200x80_220704.jpg b_hot_ggsusan_hongeu_200x80.gif b_hot_innakmall_200x80_211203.gif

참돔(욕지도권) 5호목줄 팅~농어 부시리 폭격~고성베이호 핫조황(9일 예약)

고성베이호 1 160
● 출항지 : 고성
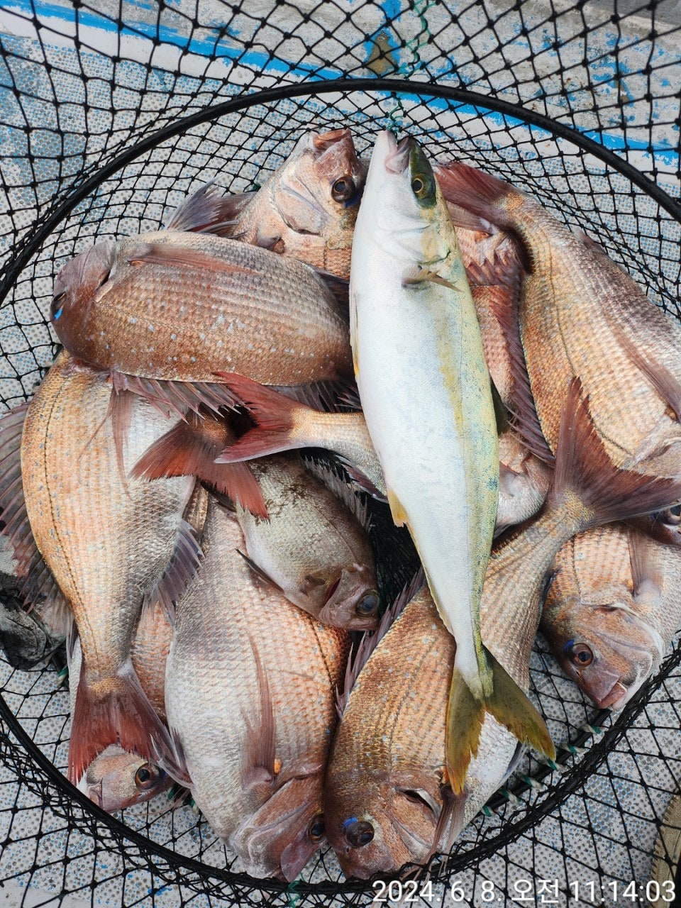
8일(토요일) 大物 욕지도 자연어초 참돔낚시 "고성베이호" (철수)조황입니다.
※ 승율 9할 이상의 대물 격전지 - 수중어초 여밭으로 모십니다.

★9일(일요일) 5시 출항, 욕지 자연어초 참돔낚시 "예약가능"
자연 어초여밭 흘림낚시만 운영!!!
참돔(욕지도권) 5호 목줄 팅~마리수외 농어 부시리 여름고기 입성
  • 사용자가 올린 이미지

대물 참돔낚시 욕지도 자연어초 전문 고성베이호입니다.
오늘은 궂은 날씨에도 불구하고, 어초포인트에는 이른 아침부터
참돔들의 매서운 폭격 입질이 시작되었습니다.

대까지 처박히는 입질에 버티고 버텼으나, 5호 목줄 두어방을
터트리고 제갈길을 가버렸고, 참돔은 중치급으로 마리수와 여름
어종인 농어와 부시리 등이 손님고기로 올라왔습니다.

잔씨알, 큰씨알이 함께 덤비는 상황이라 항상 대비를 해야 할 것 같습니다.
오늘도 고성베이호를 찾아 주신 조사님 수고 많으셨습니다.

▣ 고성베이호 자연어초 흘림낚시 출조 일정 ▣
욕지도권 자연어초여밭 수중여로 모십니다!!!
★6월 9일(일) 5시 출항, 욕지 자연어초 참돔낚시 "예약가능"
★6월10일(월) 5시 출항, 욕지 자연어초 참돔낚시 "예약가능"
★6월11일(화) 5시 출항, 욕지 자연어초 참돔낚시 "예약가능"
★6월12일(수) 5시 출항, 욕지 자연어초 참돔낚시 "예약가능"
※ 주중, 주말 예약 가능합니다.

■ 고성 베이호 ☎010 4598 1782
■ 출항지 : 고성군 삼산면 두포리177-16 블루웨일 글램핑內
■ 밴드 : https://band.us/@bayho
  • 사용자가 올린 이미지
  • 사용자가 올린 이미지
  • 사용자가 올린 이미지
  • 사용자가 올린 이미지
  • 사용자가 올린 이미지
  • 사용자가 올린 이미지
  • 사용자가 올린 이미지
  • 사용자가 올린 이미지
  • 사용자가 올린 이미지
  • 사용자가 올린 이미지
  • 사용자가 올린 이미지
▣ 참돔낚시 자연어초 여밭포인트 공략 ▣
1) (출항) 오전 7시 출발, 오후 3시경 (유동적)
2) 출조지역: 사량도(추도권)
원도권역 : 욕지도, 좌사리도, 갈도권
3) 밑밥, 미끼, 도시락 제공
- 커피, 생수,음료 등은 상시 비치되어 있습니다.

▣ 아지카(AJIKA)라인 특별시상 ▣
- 낚시줄회사 아지카(AJIKA)라인에서 감성돔 55Cm이상
최상급라인 "구레스페셜"원줄 증정(배송비 무료)합니다.

■ 고성 베이호 ☎010 4598 1782
■ 출항지 : 고성군 삼산면 두포리177-16 블루웨일 글램핑內
■ 밴드 : https://band.us/@bayho
■블로그 : https://blog.naver.com/bayfishing
  • 사용자가 올린 이미지

, , , , , , , , , , , , , , , , , , , , , , ,

1 댓글
고성베이호 24-06-08 15:56 0  
9일 욕지도권 참돔낚시 예약 가능합니다. 감사합니다.
포토 제목
 
 

인낚 최신글


인낚 최신댓글


온라인 문의 안내


월~금 : 9:00 ~ 18:00
토/일/공휴일 휴무
점심시간 : 12:00 ~ 13:00