- 당일 조황을 올리셔야 합니다. - 지난 조황은 2일이내 미등록 조황만 가능합니다. - 이미 올린 조황을 붙여넣기하여 계속 등재하시면 중복조황에 해당합니다. - 당일 조황을 올리면서 이전 조황을 같이 올리면 중복조황에 해당합니다. - 조황없는 출조정보는 출조정보 게시판을 이용하시길 바랍니다. - 올린 글 삭제하고 다시 올려 상단에 올리려는 방법, 이용규칙 위반입니다. - 제목에 특수문자 사용하시면 안됩니다. (온점, 쉼표, 느낌표, 괄호, 물결만 허용) ☆ 공지사항에 '조황등재시 유의사항' 게시글을 꼭 확인하시고 조황작성 부탁드리며, 가장 기본적인 규칙이 지켜지지 않을 시 예고없이 글 삭제 및 이용정지 될 수 있음을 알려드립니다. |
![]() |
|
![]() |
![]() |
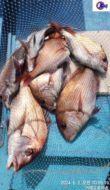
어제일요일 및 토요일 참돔 흘림 조황 입니다.
일요일은 물이 안받혀줘서 씨알급은 실패하고 4짜외 묵직한 손맛보고
토요일은 7짜, 6짜, 55 대물들과
7짜 광어,부시리,6짜 혹돔등 대물들의
화끈한 손맛 즐기고 왔습니다.
6월이 되고 수온이 서서히 오르니
대물들 활성도도 살아나는것 같습니다.
내일 예약가능 합니다.
※6/1일 부터 감성돔 금어기 해제로
감성돔 병행 출조 합니다.

【예약일정】
☞ 6/4 (화) 참돔예약가능, 4자리 여유
☞ 6/5 (수) 참돔.감성돔 예약가능, 자리 여유
☞ 6/6 (목) 참돔 예약가능, 4자리 여유
☞ 6/7 (금) 참돔.감성돔 예약가능, 자리 여유
☞ 6/8 (토) 참돔.감성돔 예약가능, 자리 여유
☞ 6/9 (일) 참돔 예약가능, 3자리 여유
※ 주말예약은 서둘러 주세요.
※ 참돔 이벤트 진행중(밴드회원)
【예약문의】
☞ 오로라호 윤선장 010 - 3003 - 6664
☞ 예약계좌 : 수협 (윤진호)
2020 - 5055 - 4259
☞ 출항지 주소 :
거제시 거제면 법동리 536-24번지
(법동 낚시공원 입구 방파제앞 주차장)
[오로라호 밴드]
☞ 밴드 회원 대상 참돔 big one 이벤트 진행중(5/1~ )
(이벤트 내용 "오로라 밴드" 공지사항 확인 가능)
☞ 실시간, 상세 조황,예약현황등 확인가능
☞ 네이버 " 거제오로라호" 검색 OR
【참돔/부시리낚시 안내】
☞ 선비: 새벽~14시 전후(유동적) 13만
☞ 밑밥, 미끼, 도시락, 커피, 음료,
생수 일괄 제공
☞ 낚시대 : 5.3M기준 2호대
☞ 릴 : 4000~6000번 (원줄 5~12호)
☞ 수중찌 : -B ~ -3B (목줄 5 ~ 12호)
/ 바늘 참돔 8 ~ 14호
☞ 초보조사님 1:1 개인레슨 및
장비대여 가능
☞ 독배예약시 시간 조절 가능
[오로라호 자체 숙소 및 뒤풀이 공간 운영중]
☞ 냉,난방,온수,샤워시설, 취사가능한 오로라호 자체 숙소 운영중
☞ 낚시전,후 뒤풀이 및 회식가능

낚시, 거제낚시, 거제도낚시, 거제선상낚시, 선상낚시, 경남선상낚시, 배낚시, 거제배낚시, 경남배낚시, 거제, 거제도, 오로라, 거제오로라, 오로라피싱, 오로라호, 거제생활낚시, 거제도생활낚시, 생활낚시, 경남생활낚시, 참돔 거제참돔낚시, 거제도참돔, 참돔조황, 거제참돔채비, 거제참돔전유동, 참돔낚시, 부시리낚시, 거제부시리, 방어낚시, 감성돔, 거제감성돔낚시, 감성돔선상흘림, 감성돔조황, 거제도감성돔, 감성돔낚시, 감성돔흘림, 문어, 거제도문어낚시, 문어낚시, 감성돔 반유동 채비, 쭈꾸미, 거제쭈꾸미, 쭈꾸미낚시, 체험낚시,
|
|
|
|




, 
, 
,
, 


