- 당일 조황을 올리셔야 합니다. - 지난 조황은 2일이내 미등록 조황만 가능합니다. - 이미 올린 조황을 붙여넣기하여 계속 등재하시면 중복조황에 해당합니다. - 당일 조황을 올리면서 이전 조황을 같이 올리면 중복조황에 해당합니다. - 조황없는 출조정보는 출조정보 게시판을 이용하시길 바랍니다. - 올린 글 삭제하고 다시 올려 상단에 올리려는 방법, 이용규칙 위반입니다. - 제목에 특수문자 사용하시면 안됩니다. (온점, 쉼표, 느낌표, 괄호, 물결만 허용) ☆ 공지사항에 '조황등재시 유의사항' 게시글을 꼭 확인하시고 조황작성 부탁드리며, 가장 기본적인 규칙이 지켜지지 않을 시 예고없이 글 삭제 및 이용정지 될 수 있음을 알려드립니다. |
![]() |
|
![]() |
![]() |

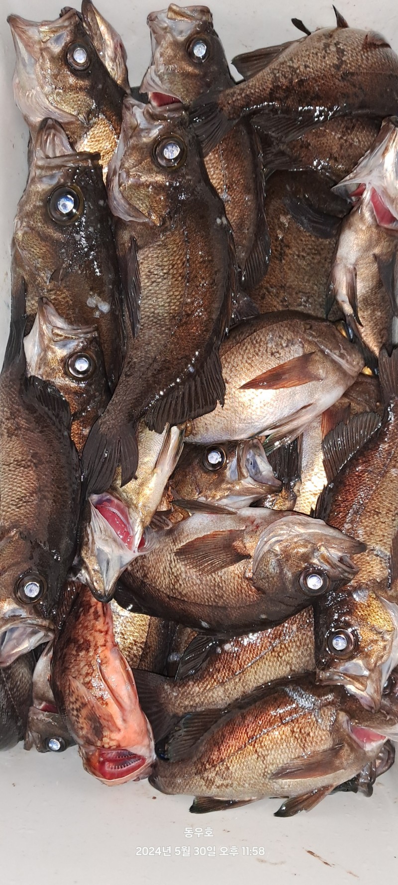
2024년05월30일 카드낚시 조황입니다.
7분 모시고다녀왔으며 낚시 초반부터
해질녘까지는 마릿수가 좋왔으며 해가지고
밤부터는 낮마리로 나왔습니다.
다녀가신 분들 즐거운 시간 되셨길 바라며 다른 좋은날 또 뵙겠습니다^^
예약은 밴드가입 후 가능합니다.
밴드명(동우호)를 검색해 가입할 수 있습니다.
경북 울진군 평해읍 직산리 143-9 직산항 (네비게이션 주소)
안녕하세요 경북 울진군 평해읍 직산리 직산항에 위치한 선상낚시 전문 동우호 입니다. 화장실 선실 구비되어있으며 총톤수 4.99톤 승선인원 12명 #왕볼락 #열기 #우럭 #생활낚시 전문입니다. 30년 낚시경력으로 풍성환 조과로 모시겠습니다. 예약문의 010-3845-3212 https://band.us/n/a4aa680afcdeH (실시간조황 및 예약) 경북 울진군 평해읍 직산리 143-9 (네비게이션 주소)
|
|
|
|


















