- 당일 조황을 올리셔야 합니다. - 지난 조황은 2일이내 미등록 조황만 가능합니다. - 이미 올린 조황을 붙여넣기하여 계속 등재하시면 중복조황에 해당합니다. - 당일 조황을 올리면서 이전 조황을 같이 올리면 중복조황에 해당합니다. - 조황없는 출조정보는 출조정보 게시판을 이용하시길 바랍니다. - 올린 글 삭제하고 다시 올려 상단에 올리려는 방법, 이용규칙 위반입니다. - 제목에 특수문자 사용하시면 안됩니다. (온점, 쉼표, 느낌표, 괄호, 물결만 허용) ☆ 공지사항에 '조황등재시 유의사항' 게시글을 꼭 확인하시고 조황작성 부탁드리며, 가장 기본적인 규칙이 지켜지지 않을 시 예고없이 글 삭제 및 이용정지 될 수 있음을 알려드립니다. |
![]() |
|
![]() |
![]() |
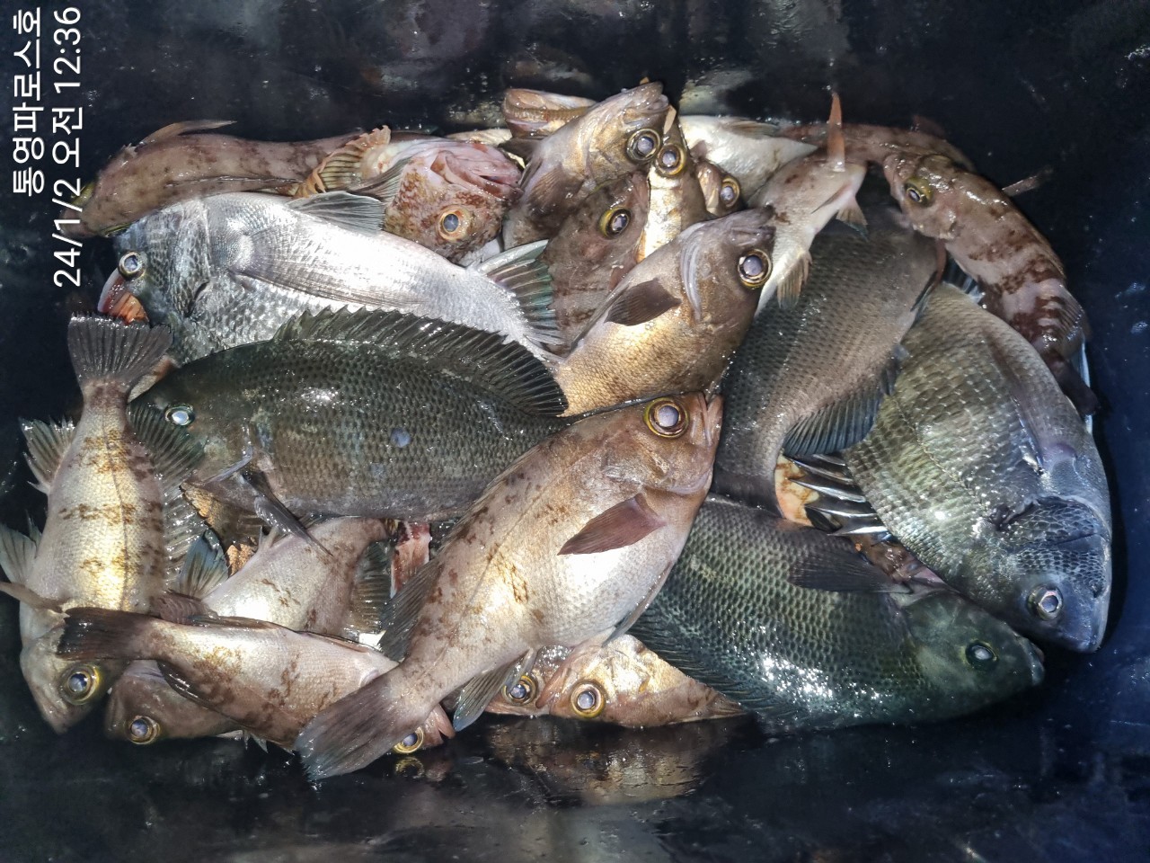
파로스호 1.1.(월) 볼락루어, 갑진년 새해~ 어복 많이받으세요#통영파로스호
#볼락
#볼락루어낚시
#볼락루어가즈아
#통영선상낚시
#볼락루어예약중
#금연598일차
통영파로스호 삼여캡틴입니다 ^!^
볼락회가 묵고잡아서~~~
통영 현지 단골분들과
사량도 다녀왔습니다
후딱 잡아서
푸짐하게 한판 썰어뭇어예 ㅎ
볼락은 사이즈가 다양해서
선별해서 담았지만
감성돔, 벵어돔, 붉바리, 아구는
훌륭합니다
5kg 아구를 뽈루채비로~~
어창에 붉바리랑 같이 넣어두었더니
꿀꺽 했뿟어예 ㅋㅋ
기상만 받쳐주면 볼락루어는
매일 16:30에 출항하구요
볼락루어 예약은 아래
예약현황 참고 바랍니다
https://m.blog.naver.com/kim3499/222943250392
조황문의 및 예약은
전화, 문자, 카톡으로 언제든지
환영합니다
#뽈루가즈아
반갑습니다. 통영시 산양읍 풍화리 명지항에서 7톤 선상낚시전문 배를 운영하고 있습니다. 1월~ 6월 : 볼락낚시/감성돔 카고낚시/참돔 7월~12월 : 돌문어/무늬오징어/갑오징어 예약은 전화, 문자, 카톡으로 접수합니다. 전용장비, 팽창식조끼 무상대여 및 낚시방법 1:1 가이드 해드립니다. 파로스와 맺은인연 영원히 기억토록 하겠으며, "낚시인의 등대가 되겠습니다"
|
|
|
|















