- 당일 조황을 올리셔야 합니다. - 지난 조황은 2일이내 미등록 조황만 가능합니다. - 이미 올린 조황을 붙여넣기하여 계속 등재하시면 중복조황에 해당합니다. - 당일 조황을 올리면서 이전 조황을 같이 올리면 중복조황에 해당합니다. - 조황없는 출조정보는 출조정보 게시판을 이용하시길 바랍니다. - 올린 글 삭제하고 다시 올려 상단에 올리려는 방법, 이용규칙 위반입니다. - 제목에 특수문자 사용하시면 안됩니다. (온점, 쉼표, 느낌표, 괄호, 물결만 허용) ☆ 공지사항에 '조황등재시 유의사항' 게시글을 꼭 확인하시고 조황작성 부탁드리며, 가장 기본적인 규칙이 지켜지지 않을 시 예고없이 글 삭제 및 이용정지 될 수 있음을 알려드립니다. |
![]() |
|
![]() |
![]() |
/talk/20240424/cc1917bfc8370126e3769e026e3e254b.jpg?date=1713934870)
농협 3510957418593 오양희
010-6331-1476
안녕하세요!
목포목화피싱! 목화낚시
갑진년 어복충만 하시길요.
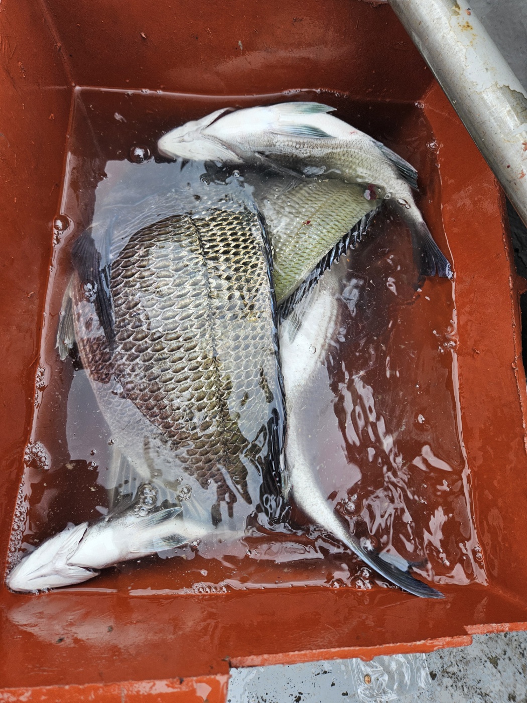
4/23일 감성돔 카고낚시 조황보시오[5짜4짜3짜] 주종
(감성돔낚시,도다리낚시 매일 출조합니다.)
목포도다리낚시
선비1일 80.000원
낚시대2대 채비 점심 음료수 무료
(미끼별도)
신분증 꼭 지참하세요.
단체예약환영합니다.
미리예약하세요.
목포감성돔낚시
4/1일시작
선비1인 100.000원
(미끼 채비 낚시대 별도
(거리 따라 선비 다릅니다)
목화피싱 홈페이지(홈페이지 예약가능)
www. 목화피싱호.kr (예약가능 홈피)
(밴드 예약가능)
목포목화갈치낚시
밴드https//band.us/@01063311476
목포목화피싱호,목화낚시
061-284-5329 ★010-6331-1476 매장
010-3126-2251선장님 김형우
목화피싱선단직접운영
9.77톤 22인승 2대
4.99톤 12인승 1대
3톤 7인승 2대
매일출조 문의 주세요
네이비주소 전남 목포시 영산로 801 {목화낚시)






:watermark(https://img.moolban.com/unsafe/watermark_130.png,10,-10,10):watermark(https://img.moolban.com/talk/watermark/2024-04-23.png,-10,-10,10)/talk/20240424/cc1917bfc8370126e3769e026e3e254b.jpg)
:watermark(https://img.moolban.com/unsafe/watermark_130.png,10,-10,10):watermark(https://img.moolban.com/talk/watermark/2024-04-23.png,-10,-10,10)/talk/20240424/ad97de507c061424cbddd8e9496811ad.jpg)
:watermark(https://img.moolban.com/unsafe/watermark_130.png,10,-10,10):watermark(https://img.moolban.com/talk/watermark/2024-04-23.png,-10,-10,10)/talk/20240424/19a9a797480e983ea29ea6ab5acb3a8a.jpg)
:watermark(https://img.moolban.com/unsafe/watermark_130.png,10,-10,10):watermark(https://img.moolban.com/talk/watermark/2024-04-23.png,-10,-10,10)/talk/20240424/886be113555f75c2b67fa72f7a61ed27.jpg)
:watermark(https://img.moolban.com/unsafe/watermark_130.png,10,-10,10):watermark(https://img.moolban.com/talk/watermark/2024-04-23.png,-10,-10,10)/talk/20240424/143a491b5d7940ec74f7e3c45e7b3540.jpg)
:watermark(https://img.moolban.com/unsafe/watermark_130.png,10,-10,10):watermark(https://img.moolban.com/talk/watermark/2024-04-23.png,-10,-10,10)/talk/20240424/7ce62866a35839f1dcea5164f902aba2.jpg)
:watermark(https://img.moolban.com/unsafe/watermark_130.png,10,-10,10):watermark(https://img.moolban.com/talk/watermark/2024-04-23.png,-10,-10,10)/talk/20240424/115812886abd08eef480848faeb279bf.jpg)
:watermark(https://img.moolban.com/unsafe/watermark_130.png,10,-10,10):watermark(https://img.moolban.com/talk/watermark/2024-04-23.png,-10,-10,10)/talk/20240424/2d56f8fbfd771ee111872a6600dfe2e5.jpg)
:watermark(https://img.moolban.com/unsafe/watermark_130.png,10,-10,10):watermark(https://img.moolban.com/talk/watermark/2024-04-23.png,-10,-10,10)/talk/20240424/352f73450c437b16b2b68b145a1c519b.jpg)
:watermark(https://img.moolban.com/unsafe/watermark_130.png,10,-10,10):watermark(https://img.moolban.com/talk/watermark/2024-04-23.png,-10,-10,10)/talk/20240424/c57cb95316ce0c5c411b87299f4a7a0e.jpg)
:watermark(https://img.moolban.com/unsafe/watermark_130.png,10,-10,10):watermark(https://img.moolban.com/talk/watermark/2024-04-23.png,-10,-10,10)/talk/20240424/689435c21d96be6b33e2f4bd353caffe.jpg)