- 당일 조황을 올리셔야 합니다. - 지난 조황은 2일이내 미등록 조황만 가능합니다. - 이미 올린 조황을 붙여넣기하여 계속 등재하시면 중복조황에 해당합니다. - 당일 조황을 올리면서 이전 조황을 같이 올리면 중복조황에 해당합니다. - 조황없는 출조정보는 출조정보 게시판을 이용하시길 바랍니다. - 올린 글 삭제하고 다시 올려 상단에 올리려는 방법, 이용규칙 위반입니다. - 제목에 특수문자 사용하시면 안됩니다. (온점, 쉼표, 느낌표, 괄호, 물결만 허용) ☆ 공지사항에 '조황등재시 유의사항' 게시글을 꼭 확인하시고 조황작성 부탁드리며, 가장 기본적인 규칙이 지켜지지 않을 시 예고없이 글 삭제 및 이용정지 될 수 있음을 알려드립니다. |
![]() |
|
![]() |
![]() |
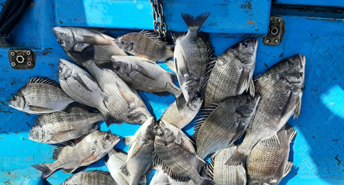
[목포vip낚시] 4월19,21일 감성돔으로 갑판이풍년!◎목포감성돔낚시 조황정보◎
4월19일 그리고 21일 조황입니다.
20일 토요일은 주의보로 출조못했는데요~
매일매일 잘 올라오는 감성돔 덕분에 갑판위를
걸을수가 없을 정도로 발에 치입니다.
사이즈도 워낙 커져서 4짜~5짜 는 기본으로
올라왔네요~
감성돔 잡느라 점심도 왔다갔다 할 정도로
바쁘셨습니다.
이제 얼마 안남은 4월이라 얼릉들 오셔서
좀 잡아 가셨으면 좋겠네요~
감사합니다.^^
♬도다리출조안내 : 선비 7만원에 낚시대2대무료 점심도 드립니다.
▶미끼 : 지렁이 100g 14,000원 200g기본
▶간재미 미끼 : 북새우 5,000원
(간재미도 잘 붙으니 같이 하시면 좋습니다.)
패키지 요금 100,000원 입니다.
▶목포감성돔낚시 카고낚시 안내◀
▶출조안내 : 선비10만원에 낚시대무료 미끼 채비 별도 점심제공
( 카고미끼로 패키지요금 13만원에 다해드립니다.)
카고낚시가 조과가 훨씬 좋습니다.
▶네비게이션주소 : 전남 목포시 죽교동 620-42
▶출조시간 : 오전6시집결 오후2~3시 하선
예금계좌 : 농협은행
▶351-1154-9594-23 임기빈
인원수 X선비 전액 입금하셔야 예약완료됩니다
항상 최선을 다하는 목포VIP낚시가 되겠습니다.
전화로만 예약가능합니다. 전화주세요~^^
▶출조문의 : 010-7656-1279
목포감성돔낚시, 감성돔낚시, 카고낚시, 목포감성돔카고낚시, 목포감성돔배낚시, 목포감성돔바다낚시, 목포감성돔낚시배, 목포감성돔낚시점, 목포낚시, 목포vip낚시
안녕하세요~저희 목포VIP낚시는 목포원조이며 최고선단입니다. 여러척의 최신 전용선을 항상 준비하고 있으니 오셔서 즐겨보십시요. 6인이상이면 독배가 가능합니다.^^ 출조문의 010-7656-1279
|
|
|
|














