- 당일 조황을 올리셔야 합니다. - 지난 조황은 2일이내 미등록 조황만 가능합니다. - 이미 올린 조황을 붙여넣기하여 계속 등재하시면 중복조황에 해당합니다. - 당일 조황을 올리면서 이전 조황을 같이 올리면 중복조황에 해당합니다. - 조황없는 출조정보는 출조정보 게시판을 이용하시길 바랍니다. - 올린 글 삭제하고 다시 올려 상단에 올리려는 방법, 이용규칙 위반입니다. - 제목에 특수문자 사용하시면 안됩니다. (온점, 쉼표, 느낌표, 괄호, 물결만 허용) ☆ 공지사항에 '조황등재시 유의사항' 게시글을 꼭 확인하시고 조황작성 부탁드리며, 가장 기본적인 규칙이 지켜지지 않을 시 예고없이 글 삭제 및 이용정지 될 수 있음을 알려드립니다. |
![]() |
|
![]() |
![]() |
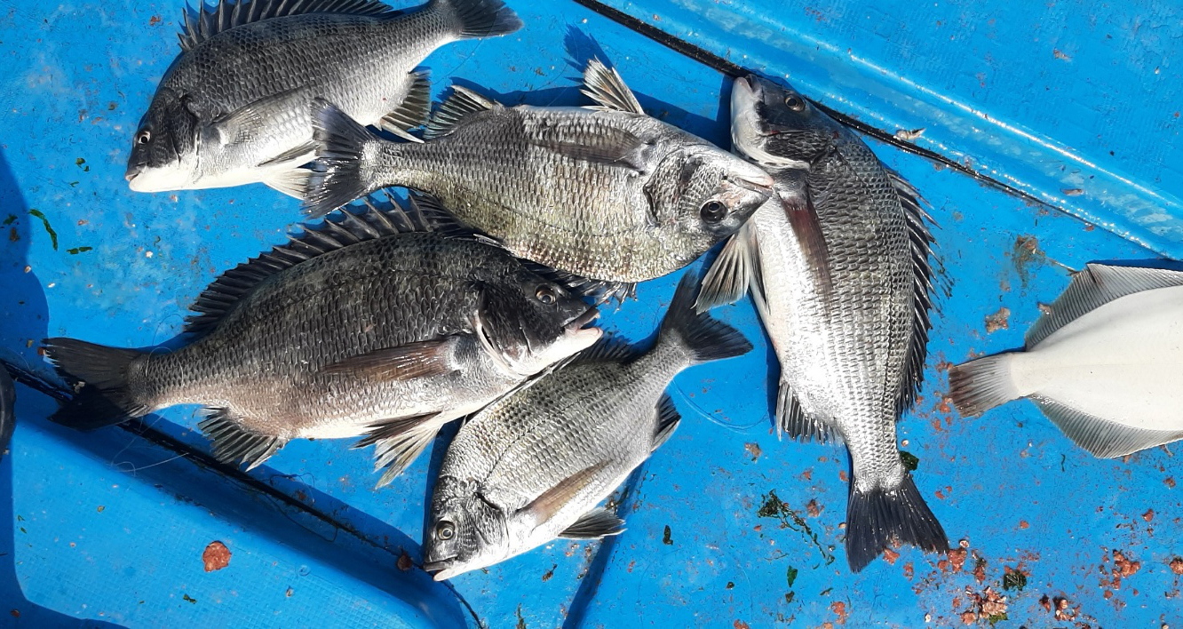
[목포vip낚시]4월6,7일 감성돔카고 초대박조황!▣목포감성돔낚시 조황정보▣
4월 6일 7일 첫째주 감성돔
카고낚시 조황입니다.
캬~~완전 대박 대박!!!
4짜이상 감성돔으로 갑판위를 가득채울정도
잡으셨는데요~
이렇게 많은 감성돔 잡으시느라 밥먹을시간도
화장실 갈 시간도 없었을 정도네요~
거기다가 씨알이 좋다보니 걷어올리기도
쉽지 않았습니다.
전문 베테랑 조사님들 이시다보니 요령이
있어 한만리도 놓치지 않고 잡아내셨네요~
5인이상 독배로 오시면 더욱 편합니다.
주말예약 서두르세요~^^
♬도다리출조안내 : 선비 7만원에 낚시대2대무료 점심도 드립니다.
▶미끼 : 지렁이 100g 14,000원 200g기본
▶간재미 미끼 : 북새우 5,000원
(간재미도 잘 붙으니 같이 하시면 좋습니다.)
패키지 요금 100,000원 입니다.
▶목포감성돔낚시 카고낚시 안내◀
▶출조안내 : 선비10만원에 낚시대무료 미끼 채비 별도 점심제공
( 카고미끼로 패키지요금 13만원에 다해드립니다.)
카고낚시가 조과가 훨씬 좋습니다.
▶네비게이션주소 : 전남 목포시 죽교동 620-42
▶출조시간 : 오전6시집결 오후2~3시 하선
예금계좌 : 농협은행
▶351-1154-9594-23 임기빈
인원수 X7만원 전액 입금하셔야 예약완료됩니다
항상 최선을 다하는 목포VIP낚시가 되겠습니다.
전화로만 예약가능합니다. 전화주세요~^^
▶출조문의 : 010-7656-1279
목포감성돔낚시, 감성돔낚시, 카고낚시, 목포감성돔카고낚시, 목포감성돔배낚시, 목포감성돔바다낚시, 목포감성돔낚시배, 목포감성돔낚시점, 목포낚시, 목포vip낚시
안녕하세요~저희 목포VIP낚시는 목포원조이며 최고선단입니다. 여러척의 최신 전용선을 항상 준비하고 있으니 오셔서 즐겨보십시요. 6인이상이면 독배가 가능합니다.^^ 출조문의 010-7656-1279
|
|
|
|















