- 당일 조황 올리기 - 이전 조황 복사해서 올리지 말기 |
내일 사량도 어초흘림 정상 출항 합니다.안녕하십니까.
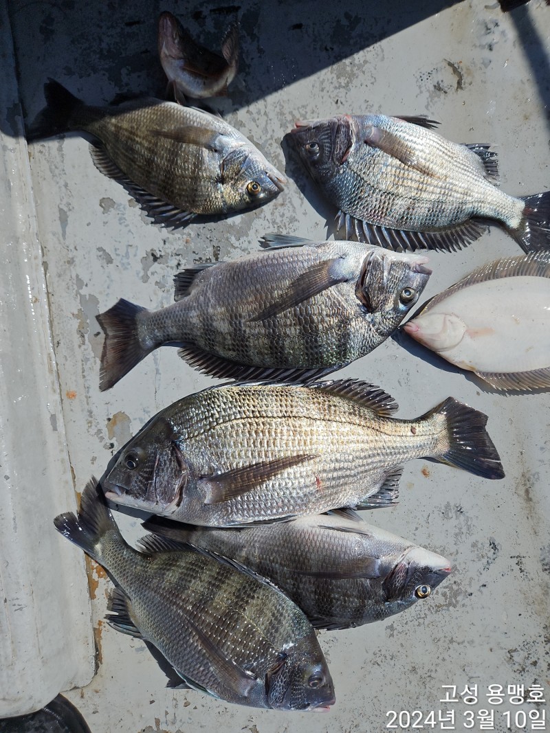
고성동화마을 용맹호 입니다.
@@ 참돔 선상 흘림@@
@@감성돔 선상 흘림@@
일요일 조황 입니다.
내일 다시 열낚해 보겠습니다.
내일 현재 2분 예약중 입니다.
요즘 4짜 중후반부터 중치급까지
다양하게 올라와 줍니다.
계획 있으신 조사님들
언제든 전화 주십시요.
내일도 덩치급을 만날꺼라 믿습니다.
내일은 대박을 기원해 봅니다.
이제 대물급들이 쭉쭉 나올꺼라 믿고
달려 보겠습니다.
감생이 만나러
사량도 어초로 달리 겠습니다.
평일 자리 널널 합니다.
쭉~~~사량도로 달립니다.
손맛보러 가시죠.
용맹호는
사량도 어초로 달립니다.
용맹호와 함께 하시죠.
대물 감생이 잡으러 오세용~~~
쭉~~~정상 출항 합니다.
함께 하실 조사님 연락 주십시요.
많은 관심 부탁드립니다.
흘림은 6분만 모십니다.
널널 하게 낚시를
즐길수 있습니다.
언제든 전화 주십시요.
###감성돔,참돔선비###
사량도권(감성돔)10만원(밑밥미끼포함)
나무여(참돔) 12만원(밑밥ㆍ미끼포함)
욕지권(참돔) 13만원(밑밥ㆍ미끼포함)
~~~예약 현황~~~
화요일 4자리 여유
수요일 예약대기중
토요일 4자리 여유
일요일 완료
뒤로 쭉~~예약 받습니다.
주말 연휴는 조금 빠른 예약부탁드립니다.
##돌문어선비##
주간ㆍ야간 7만원 입니다.
종일낚시 11만원 입니다.
@@음료ㆍ생수ㆍ커피 제공@@
@@식사@@
@간단히 라면ㆍ김밥/도시락 제공@
##준비물##
궁금하실땐
선장폰으로 전화 주세용~~
입금후 바로 예약 완료 됩니다.^^
##입금 계좌##
경남 은행 (김옥수)
523~21~0229889
#####출조 문의#####
선장폰:010~5390~9008
문자 보다는 전화 주십시요.
#용맹호는 3톤으로 선장포함 9명 탑승#
널널하게 낚시 하실수 있습니다.
#출조 계획있는 조사님들은 빠른 연락 기다립니다
##신분증 지참ㆍ구명복은 필수##
선내 주류 반입금지
####네비주소####
고성군 하일면 동화1길 192-37
@밴드에 가입 하시면 빠른 조황 확인가능합니다.
고성 용맹호로 검색하셔도 됩니다.
고성동화마을 용맹호