✅️[여수오션스타] 12/29 참돔타이라바 연이은 호조황!! 목금토일 모집중
01월 12일(월)
인낚 현재접속자
3,422명 (
307
)
공지사항
인낚도서관
점주선장전용 공지사항
로그인
광고/제휴 문의
운영진에게
인낚ㅣ인터넷바다낚시
0
어종별선상
어종별갯바위
낚시인조황
점주선장조황
출조정보
낚시광장
낚시지식인
낚시교실
중고장터
휴게실
인낚도서관
인낚몰
0
어종별선상
어종별 선상조황
4대돔 조황
먹물 조황
갈치 조황
볼락&전갱이
빅게임 지깅&파핑
외줄&외수질
기타 어종
어종별 갯바위조황
4대돔 조황
먹물 조황
갈치 조황
볼락&전갱이
농어&삼치&방어&부시리
기타 어종
어종별갯바위
어종별 선상조황
4대돔 조황
먹물 조황
갈치 조황
볼락&전갱이
빅게임 지깅&파핑
외줄&외수질
기타 어종
어종별 갯바위조황
4대돔 조황
먹물 조황
갈치 조황
볼락&전갱이
농어&삼치&방어&부시리
기타 어종
낚시인조황
낚시인 번개조황
낚시인조행기
스탭조행기
우리낚시동호회이야기
전국낚시동호회소개
동호회갤러리
지난 조황자료보기(년도별 조황 자료)
점주선장조황
전국 실시간 조황
선상(배)+좌대 조황
갯바위+방파제 조황
점주선장전용 공지사항
지난 조황자료보기(년도별 조황 자료)
출조정보
낚시인동행출조
점주선장 갯바위 출조
점주선장 선상출조
기상파고정보(기상청)
해상예보
물때표
파고예보(일본)
실시간해양관측예보
스마트조석예보
낚시광장
낚시계뉴스
대회 및 낚시관련 홍보
제품평가단
신상품소개
낚시지식인
Q&A 묻고 답하기
지식인 베스트
조황/포인트 문의
낚시용품 사용기
낚시투표
토론방
新어류도감
낚시교실
낚시기법소개
어종별 낚시교실
입문자교실
중급자교실
낚시용어사전
중고장터
중고장터 이용후기
더치트 사기피해 검색
팝니다
삽니다
교환합시다
무료로 드립니다
부품팝니다
부품삽니다
일반 생활용품 사고 팔기
휴게실
출석부
낚시갤러리
세상사는 이야기(자유게시판)
낚시이야기 마당
먹고사는 이야기
구인구직
칭찬합니다
어째이런일이
습득물 찾기
인낚도서관
인낚 유튜브
인낚 칼럼
블루, 그것이 알고싶다
더블테일의 두 눈으로 보는 세상
입질의추억의 피싱다이어리
나無의 바다 이야기
전문강좌
海巖의 바다낚시 이야기
이성규의 전유동낚시 강좌
조성민의 금요루어클럽
메인
어종별선상
어종별갯바위
낚시인조황
점주선장조황
출조정보
낚시광장
낚시지식인
낚시교실
중고장터
휴게실
인낚도서관
인낚몰
0
점주/선장 >
선상(배) 조황
☆ 공지사항 '조황등재시 유의사항' 게시글 필독
☆
- 당일 조황 올리기
- 이전 조황 복사해서 올리지 말기
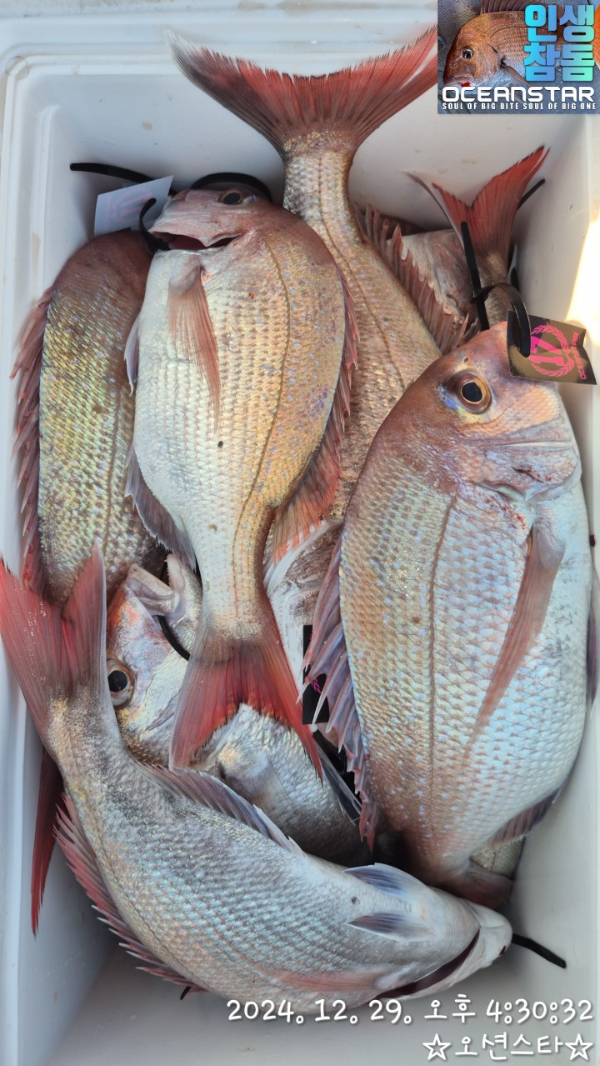
✅️[여수오션스타] 12/29 참돔타이라바 연이은 호조황!! 목금토일 모집중
여수오션스타
0
34
2024.12.30 12:30
● 출항지 : 예약가능
● 출조인원 : 11~15명
#여수오션스타 #참돔타이라바 #매일출항
#매일호조황 #타이라바전문 #내일5자리여유
#1월1일신정해돋이타이라바추가모집중!!
☆여수오션스타 12월29일 참돔타이라바 조황
시작과 동시에 우당탕
6짜 5짜 4짜 3짜 무수히 올라왔습니다
올해도 참돔 대풍입니다
오늘도 멀미환자분이 계셔서 15명 전원
낚시는 못하고 13분 조황입니다
수고많으셨습니다
■1월1일 신정 타이라바 추가 모집합니다!!
■예약문의
010 7381 5882
[밴드 초대]
☆여수오션스타피싱☆쭈꾸미낚시 문어낚시 갑오징어...
https://band.us/n/a4abA4G9D1M7D
=====
여수 오션스타 예약안내
======
안녕하세요! 여수 오션스타입니다.
먼길 찾아주시는 조사님들을 위해 항상 최선을 다하겠습니다.
■ 예약문의 :
010-7381-5882
■ 오시는길
:
전남 여수시 신월1길 38-1
■ 여수 오션스타 실시간 예약 바로가기 :
http://ysoceanstar.sunsang24.com/
■ 계좌안내 :
수협 /
2020-4732-1188
/ 김혜원
0
신고
목록
글쓴이
0
0
Lv.1
여수오션스타
점주선장
454 (4.5%)
여수오션스타입니다. 갈치 한치 모든 생활낚시 전문으로 안전하게 풍족한 조황으로 보답하겠습니다.
12.30
✅️[여수오션스타] 12/29 참돔타이라바 연이은 호조황!! 목금토일 모집중
12.26
✅️[여수오션스타] 12/25 크리스마스 참돔 타이라바 조황 일요일 월요일 기상 양호 모집중
12.25
✅️[여수오션스타] 12/25 알주꾸미 조황 금/토 6만원 이밴트 모집중
12.24
✅️[여수오션스타] 12/24 참돔타이라바 조황 일요일 자리여유 모집중입니다
12.24
✅️[여수오션스타] 12/23 주꾸미 조황입니다 목/금/토 6만원 선비이벤트중입니다
0
댓글
로그인한 회원만 댓글 등록이 가능합니다.
×
Image Upload
로그인한 회원만 등록가능합니다.
포토
제목
이름
날짜
★ 24년 조황게시판 종료 / 2025년 게시판에서 작성 부탁드…
인터넷바다낚시
2025.01.01
★필독★ 조황 등재시 유의사항 (1일 2회까지 등록가능)
인터넷바다낚시
2022.10.06
제목 특수문자 사용금지 (온점, 쉼포, 느낌표, 괄호, 물결만 …
인터넷바다낚시
2022.12.05
선단조황 등록 방식 변경 안내
인터넷바다낚시
2021.03.25
[공지] ★ 24년 조황게시판 종료 / 2025년 게시판에서 작성 부탁드…
출항지 : 공지 / 출조지 :
인터넷바다낚시
4096
2025.01.01
인터넷바다낚시
2025.01.01
[마산] 진동(씨헌터호)감성돔 출조합니다.
출항지 : 마산 / 출조지 :
경남씨헌터호
1817
2024.12.31
경남씨헌터호
2024.12.31
[포항] [12/31]24년 마지막 날 열기 줄줄이 조황!
출항지 : 포항 / 출조지 :
포항양포퍼펙트호
950
2024.12.31
포항양포퍼펙트호
2024.12.31
[진해] 30일세진호/돌문어kg급.마릿수~목.금.토.일.가능~
출항지 : 진해 / 출조지 :
세진호선장
1168
2024.12.31
세진호선장
2024.12.31
[진해] 원도권돌문어 또대박~2.5K 2.3K 2.1K K오버쫙먹폭~( …
출항지 : 진해 / 출조지 :
진해골드스타2
1281
2024.12.31
진해골드스타2
2024.12.31
[진해] 포시즌2호 볼락 열기외줄 출조함니다
출항지 : 진해 / 출조지 :
진해포시즌피싱
1706
2024.12.31
진해포시즌피싱
2024.12.31
[진해] 왕오징어)새해 첫날~먹물파티(1일 예약가능 자리여유있습니다)
출항지 : 진해 / 출조지 :
진해블루마린낚시
1390
2024.12.31
진해블루마린낚시
2024.12.31
[통영] 해맞이 실시간조황 사진!!! 현재 갈치잘올라옵니다 이번주 기상…
출항지 : 통영 / 출조지 :
통영뉴코리아호
1377
2024.12.31
통영뉴코리아호
2024.12.31
[여수,광양] [24년 1월 1,2일 참돔타이라바 출조!!]날씨가 기가~
출항지 : 여수,광양 / 출조지 :
여수캐스팅피싱호
441
2024.12.31
여수캐스팅피싱호
2024.12.31
[포항] 포항 감성돔,볼락캐스팅
출항지 : 포항 / 출조지 :
포항동해피싱
586
2024.12.31
포항동해피싱
2024.12.31
[포항] 포항 감성돔 선상 조황!
출항지 : 포항 / 출조지 :
제2대진호
509
2024.12.31
제2대진호
2024.12.31
[진해] 겨울보양식재료낙지시즌 2020년도 쭈욱 출항합니다 1일 6자리여…
출항지 : 진해 / 출조지 :
라라피싱
560
2024.12.31
라라피싱
2024.12.31
[진해] 왕오징어.갈치텐빈.엄청큰놈들 손맛좋다~1일[내일]부터~자리여유 …
출항지 : 진해 / 출조지 :
엿쟁이낚시
1355
2024.12.31
엿쟁이낚시
2024.12.31
[사천] 1일 왕알쭈 조항따봉(선비5만) 3일 금요일 왕알쭈 출조예약가능…
출항지 : 사천 / 출조지 :
따봉피싱
801
2024.12.31
따봉피싱
2024.12.31
[진해] 감성돔흘림 5짜4짜3짜 짜릿한 손맛!!(목금토 예약가능)
출항지 : 진해 / 출조지 :
진해왕낚시
1523
2024.12.31
진해왕낚시
2024.12.31
초기화
날짜순
조회순
검색
1
2
3
4
5
Search
검색대상
제목
내용
제목+내용
회원아이디
회원아이디(댓글)
글쓴이
글쓴이(댓글)
또는
그리고
검색어
필수
검색
닫기
검색조건
제목
내용
제목+내용
회원아이디
회원아이디(코)
글쓴이
글쓴이(코)
검색어
또는
그리고
검색
인낚몰 초특가
MAEK 맥 호래기 대바늘 호래기콕 J타입 (카본바디 2입)
어부공방 NEW 호래전
야마시타 SB 호래기 대바늘
★3,000★ 하야부사 6단 볼락 전갱이 카드채비 SD724 볼락채비
★1,000★볼락낚시에 최적인 메바트로볼 - 캐스팅볼, 메바볼
★13,000~★3NO 일본 오리지날 직수입 극강 멀티 무광 마크사 원줄
★500★ W쿠션 멀티 수중찌 M L - 전유동 반유동 끄심바리 필수품 수중쿠션
★5,900★ 여러개 있으면 아주 좋은 EVA 시스템 백
★ 1+1 플로팅, 세미, 카본 낚시줄 행사 호수선택가능 / 택상 1+1 원줄, 목줄 행사
★6,000★ 예민함의 끝판왕 애니원찌 벵에돔찌 학공치찌
★15,000★ 오동목 구멍찌 5개 + 메쉬 찌케이스 세트
★22만원★ 40W 집어등을 이 가격에!