- 당일 조황 올리기 - 이전 조황 복사해서 올리지 말기 |
[12/27] 마산 스텔라피싱 카고 감성돔 조황~~!!!!1. 출 조 일: 2024년 12월 27일
2. 출 조 지: 거가대교
3. 출 조 인 원: 4명
4.물 때: 4물
5. 출 조 요 약: 마산 스텔라피싱 #카고 감성돔 조황
경남 마산 스텔라피싱 12월 27일 #카고 감성돔 조황입니다.
선장리포트
#거가대교 #카고 감성돔
2024년 12월 27일 #카고 감성돔 조황입니다~
금요일 거가대교 감성돔카고 다녀왔습니다
용왕님~ 하느님~ 부처님~
일요일은 제발 좋은 날씨로 부탁드립니다
정말 미치기 일보 직전이네요
제발 살려 주이소~~
주말만 가까워 지면 이놈의 날씨가 안 도와주네요
어제에 이어 오늘도 아침부터 강풍에 너울에
조류도 강하고 바이킹 저리 가라 할 정도로 배가 흔들려
첫번째 대물 포인터 포기하고 2번째 포인터에서
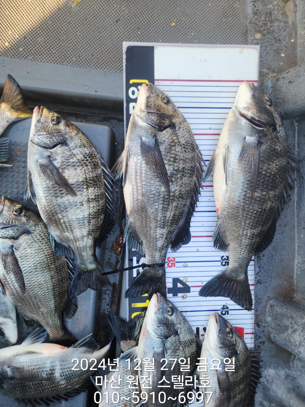
6수 잡고 들물에 6수 추가 12수 잡고 철수하였습니다
45cm 43cm 40cm 39cm 38cm 등 12수 잡고왔습니다
다들 고생하셨습니다
날씨만 좋으면 대물들이 제법 나와주리라 예상됩니다
토요일부터 살아나는 물때 조황이 기대됩니다
다음주 30일 월요일부터 자리여유있습니다
다ㅡ들 수고하셨습니다
<#카고 감성돔 예약현황>
마산 스텔라 예약전화:010~5910~6997
널널하게 낚시하기 위해 5명만 모십니다 (카고)
12월 30일 월요일 거가대교 감성돔 카고 5자리 예약가능
12월 31일 화요일 거가대교 감성돔 카고 3자리 예약가능
25년 1월 1일 수요일 거가대교 감성돔 카고 예약완료
25년 1월 2일 목요일 거가대교 감성돔 카고 예약완료
이후 자리여유있습니다
주중 주말 3명 이상시 무조건 출항합니다
이후부터 자리여유있습니다
독배 예약 환영합니다
주중 주말 주간 돌문어 출항합니다
예약문의 010 5910 6997
<카고 #감성돔 출조시간>
출항 오전 06시 30분 (06시까지 배로 오세요)
입항 오후 2시 전후 (조황에 따라 유동적)
<선비>
거가대교 12만 (마끼 미끼 식사 포함)
밴드가입 : 검색창에 '마산 스텔라'검색
https://band.us/@masanstella
그늘막 설치로 시원하게 낚시할 수 있습니다
<감성돔채비>
채비: 감성돔 카고 전용대 2호대이상 4.5m~5m
카고 30호 ~50호
감성돔바늘 6호~7호
플라스틱 카고 사절합니다
아침 오뎅탕 무료 제공합니다
커피/생수 /음료/커피 /집밥도시락 무료 제공
승선인원 총9명(선장포함) 수세식 화장실 완비
신분증 필히 지참(위반시 해경 벌금 부과됩니다)
선내 술 반입금지(3월21일부터 집중단속 기간입니다)
구명조끼 착용(선내 비치완료)
<준비물>
- 신분증 필히 지참(위반시 해경 벌금 부과됩니다)
-없을시 승선 거부
- 선내 술 반입금지(3월21일부터 집중단속 기간입니다)
- 구명조끼 착용(선내 비치완료)
-궁금한 내용은 언제든 문의주세요~
아이스박스는 16리터~24리터 정도(대장쿨러는 사양합니다)
생수 얼린거 1개 혹은 벽돌얼음
<오시는길>
배타는곳: 창원시 마산 합포구 구산면 이순신로 670~1 (등대낚시앞)
입금계좌 702056 52 027 365 농협 하귀엽
마산 스텔라 예약전화:010~5910~6997
♤선 입금 후 예약이 완료 됩니다♤
(말없이 펑크 내시는분들 때문에 양해 부탁드립니다.)
예약 하신분은 (예) 사 무 장 10월 15일 2명예약입니다~ 라고
문자 보내주셔야 누락 되지 않아요~ 부탁드립니다.
<필독 사항>
1. 신분증 필히 지참(위반시 해경 벌금 부과됩니다)
2. 선내 술 반입금지(3월21일부터 집중단속 기간입니다)
3. 구명조끼 착용(선내 비치완료)
환불은 출조일 기준으로 정해집니다.
3일전 100%, 2일전 50%, 1일전 또는 당일 환불불가
#마산 스텔라피싱 많은 사랑 부탁드립니다~~
자리 많이 여유있습니다.
한 분이라도 최선을 다해서 모시겠습니다!!
선장포함 총 탑승인원 9인으로
5톤 사이즈라 널널하게 낚시하실수 있습니다
따뜻한 집밥도시락 시원한 꽁나물국 무료제공
커피/생수 /식사무료 제공/칼치회무침
승선인원 총9명(선장포함) 수세식 화장실 완비
주 간: 왔다낚시점에 예약 문의하시면 됩니다~
예약문의: 010-6526-5135
네이버 밴드: https://band.us/@whatda408
인스타: https://instagram.com/whatda408408
#백조기 #돌문어 #호래기 #볼락 #내만갈치 다용도로 이용가능한 호락치 S1003도 있습니다~
2500번 릴이랑 사용하시면 딱 맞습니다~
왔다낚시점에는 #갈치용 #꽁치미끼, # 텐빈, #텐야, 샌드웜 등 각종 채비가 풍부하게 있습니다.
한마리, 한마리반씩 담은 싱싱한 #꽁치도 있습니다~
청개비는 항시 수족관에 보관되어 있으며 도매로 판매합니다
국내산 홍개비와 혼무시도 항시 준비 되어 있습니다.
좌대, 덴마 이용하실 분 왔다로 전화해주세요~
왔다낚시프라자 위치는 국도5호선 현동에서 심리까지 약 10분거리이며 심리 IC 내리면 바로 왔다낚시점이 있습니다