- 당일 조황을 올리셔야 합니다. - 지난 조황은 2일이내 미등록 조황만 가능합니다. - 이미 올린 조황을 붙여넣기하여 계속 등재하시면 중복조황에 해당합니다. - 당일 조황을 올리면서 이전 조황을 같이 올리면 중복조황에 해당합니다. - 조황없는 출조정보는 출조정보 게시판을 이용하시길 바랍니다. - 올린 글 삭제하고 다시 올려 상단에 올리려는 방법, 이용규칙 위반입니다. - 제목에 특수문자 사용하시면 안됩니다. (온점, 쉼표, 느낌표, 괄호, 물결만 허용) ☆ 공지사항에 '조황등재시 유의사항' 게시글을 꼭 확인하시고 조황작성 부탁드리며, 가장 기본적인 규칙이 지켜지지 않을 시 예고없이 글 삭제 및 이용정지 될 수 있음을 알려드립니다. |
![]() |
|
![]() |
![]() |
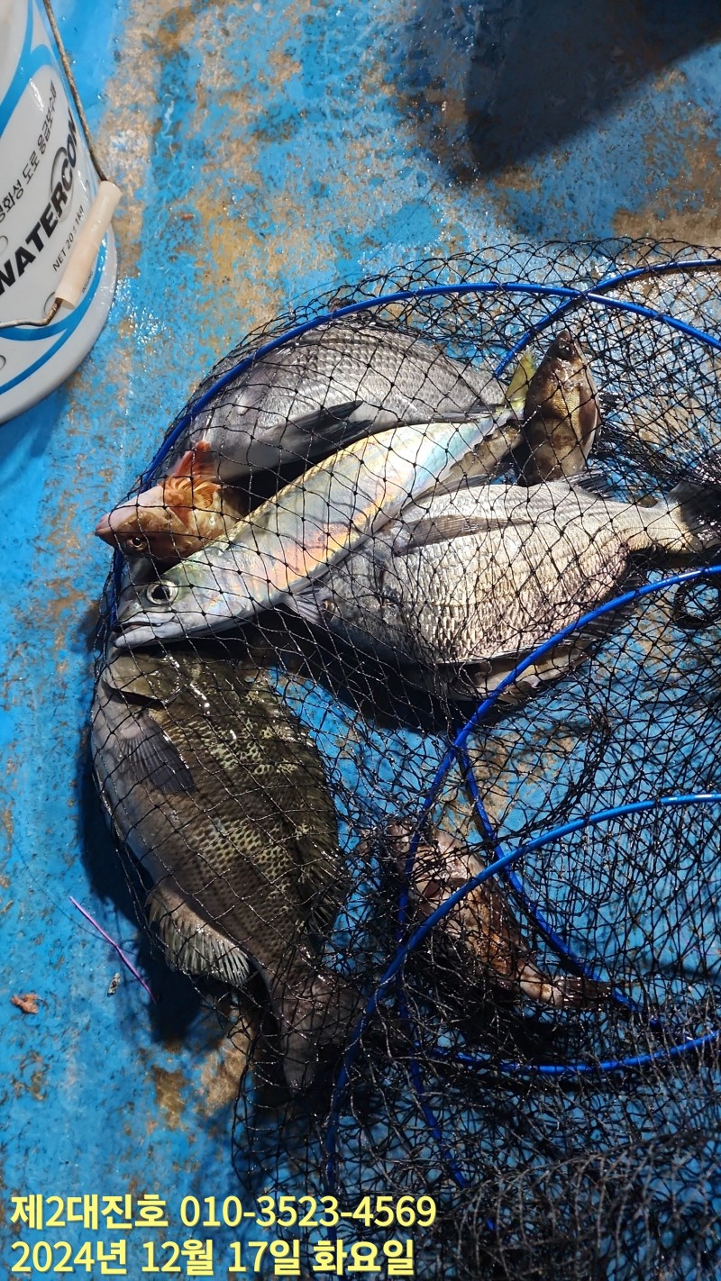
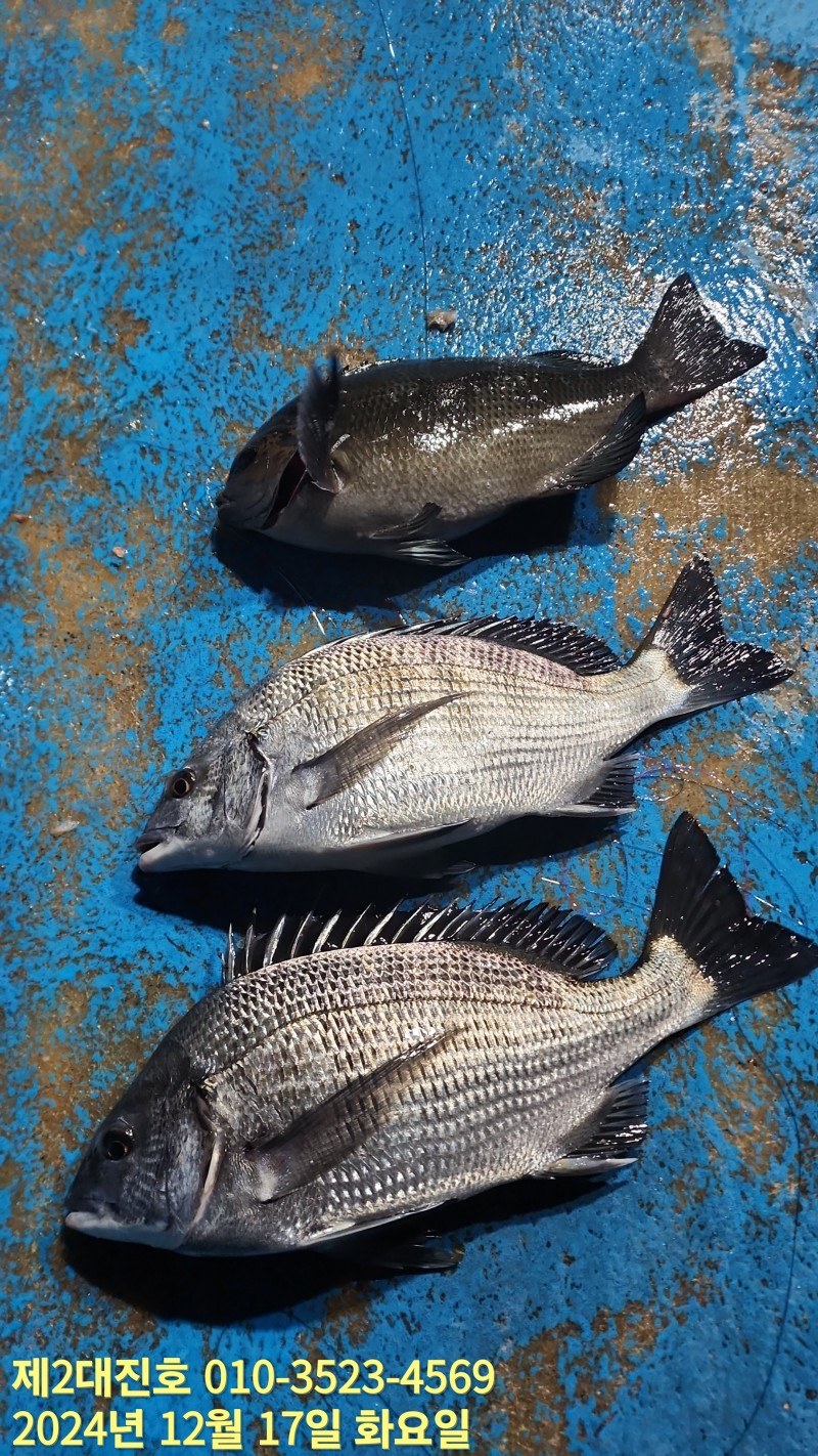
포항 감성돔 선상 조황!반갑습니다^.^~
포항종방선상낚시 "제2대진호"
Captain 조문식입니다.
■■■ 밴드가입은 "제2대진호"로 검색■■■
12월 17일 화요일 오후 감성돔 조황입니다.
이틀전에 내려진 주의보는 6시를기하여 해제되었습니다.
내일 20일 금요일 오후 4시 감성돔 출조.
21일 토요일 오후 4시 감성돔 출조.
출조시 항상 가벼운 마음으로 출조하시길바랍니다.
모든 조사님이 즐겁게 손맛 보실수있도 최선을다해 노력하겠습니다.
내일도 좋은 조황을 기대하며 이것으로 마무리 하겠습니다.
오늘도 제2대진호를 찾아주셔서감사합니다^.^ ~
※조황은 참고만 하시기 바랍니다.※
※⏰출항시간 :
●●●(※⏰출조및 철수시간은 계절및 상황에따라 변동 될수있습니다※)●●●
●(벵에돔.감성돔) 오전 07시~11시까지
●(벵에돔 시즌) 오후 14시~19시까지
●(감성돔 시즌) 오후 16시~21시까지
주말 15시~20시까지
●(도다리 시즌) 오전 09시~14시까지
●(삼치,방어시즌) 오전 08시~13시까지
●(돌문어) 오전 09시 ~15시까지
오후 16시 ~ 22시까지
●(무늬 오징어) 오후 16시~22시까지
●(갈 치 시즌) 오후 17시~22시까지
●●●(※⏰출조및 철수시간은 계절및 상황에따라 변동 될수있습니다※)●●●
안전하고 즐거운 낚시가 될수있도록 노력하겠습니다.
많은 관심부탁드립니다.
※"제2대진호"는
5톤이며 승선 정원은 선장포함 12명 입니다.
☆기상여건에따라 승선인원은 제한될수있습니다.☆
※선비안내:
※어종및포인트에따라 "선비"변동될수 있습니다.
●감성돔●벵에돔● 1인기준 ₩ 6만원 입니다.
(낚시장비,미끼,밑밥,소품은 개인준비..)
●도다리● 1인기준 ₩ 6만원 입니다.
(낚시대 대여료 5천원 기본채비및미끼 제공)
●삼치.방어.참다랑어● 1인기준 ₩ 7만원 입니다.
(낚시장비 개인지참)
( 낚시대 대여료 1만원. 루어 별도입니다)
※쇼크리더등은 무료제공하고있습니다.
●살오징어,문어
무늬 오징어● 1인기준 ₩ 8만원 입니다.
(낚시장비 개인 지참)
●갈치 루어● 1인기준 ₩ 7만원 입니다.
(낚시장비 개인 지참)
●볼락 루어● 1인기준 ₩ 7만원 입니다.
(낚시 장비 개인 지참)
※생수.커피.컵라면은 무료제공하고있습니다.
※어종및포인트에따라 "선비"변동될수 있습니다.
※독배 예약은 상담후 결정하시면 됩니다.
※장소안내: (포항운하관 주차장내)기존 종방낚시협회
"제2대진호"로 승선 하시면 됩니다.
※예약문의:
●●●예약시 신중히 결정후 예약하세요.●●●
"제2대진호" ☎010-3523-4569
연락주시면 됩니다.
(부재시 문자남겨주세요)
입금확인후 예약 가능합니다.
수협
계좌: 0010-3523-4569
예금주: 조문식
●●●예약시 신중히 결정후 예약하세요.●●●
※※환불처리기준※※
⛈기상특보(주의보)및 기상악화로
출조 불가시 전액 환불처리 합니다.
※※ 예약후 3일전 취소및 날짜변경시 환불 불가
예약완시 환불 불가합니다.※※
※※※신분증"꼭"가지고 오셔야 합니다.
신분증 없으면 승선이 불가합니다.※※※※
※※※안전을위해 ☆구명조끼☆필히 착용해 주세요.※※※
※※※선내 음주및 주류 반입절대 불가합니다.※※
●●● 낚시매장 후원업체 ●●●
※※※ 구미 "황금낚시"(창고형 낚시할인마트)※※※
☎️(054) 471-2355
주소:구미시 인동가산로 418
(지번)구평동104-4
※※※ 대구 "낚시프라자" ※※※
☎️(053) 622-6563
주소:대구 남구 대명로198
(지번) 대명동 690-4
※※※ 미끼방 ※※※
☎️ 010-2106-2478
kd밑밥집이 미끼방으로새롭게이전하였습니다.
소모품,낚시대수리,물품구매대행등 다양한제품구비하고있습니다.
아직은 부족한게 많으나 더좋은제품과써비스로 한분한분께 최선을 다하는 미끼방이되겠습니다.
많은관심부탁드립니다
찾아오시는길 : 포항시 남구 중앙로39(구
삼천횟집)
|
|
|
|










