감성돔(5짜 실시간)터지고 빠지고 5짜외 중치급들 손맛~가고파호(13일 예약)

신상품 소개


회원 랭킹


공지사항


NaverBand
점주/선장 > 선상(배) 조황

▶ 지켜주세요! ◀
 
 - 당일 조황을 올리셔야 합니다. 
 - 지난 조황은 2일이내 미등록 조황만 가능합니다. 
 - 이미 올린 조황을 붙여넣기하여 계속 등재하시면 중복조황에 해당합니다. 
 - 당일 조황을 올리면서 이전 조황을 같이 올리면 중복조황에 해당합니다.
 - 조황없는 출조정보는 출조정보 게시판을 이용하시길 바랍니다. 
 - 올린 글 삭제하고 다시 올려 상단에 올리려는 방법, 이용규칙 위반입니다. 
 - 제목에 특수문자 사용하시면 안됩니다. (온점, 쉼표, 느낌표, 괄호, 물결만 허용)

 ☆ 공지사항에 '조황등재시 유의사항' 게시글을 꼭 확인하시고 조황작성 부탁드리며, 가장 기본적인 
    규칙이 지켜지지 않을 시 예고없이 글 삭제 및 이용정지 될 수 있음을 알려드립니다. 
 
b_hot_innakmall_200x80_240307.jpg b_hot_innakmall_200x80_220704.jpg b_hot_ggsusan_hongeu_200x80.gif b_hot_innakmall_200x80_211203.gif

감성돔(5짜 실시간)터지고 빠지고 5짜외 중치급들 손맛~가고파호(13일 예약)

거제가고파 1 94
● 출항지 : 거제
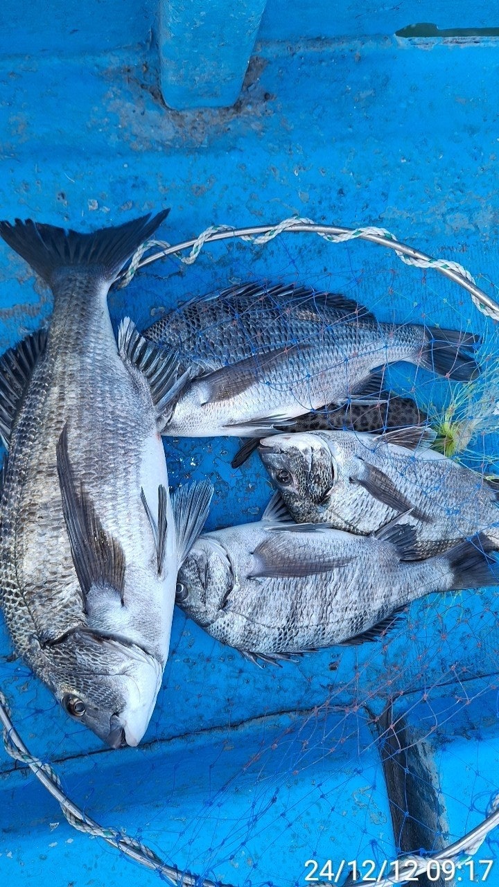
12일(목요일) 선상 감성돔낚시 "가고파호" (실시간) 핫조황입니다.
※ 감성돔 53Cm이상 포획시, 가고파호 공동이벤트 AJIKA 최상급 라인 증정.
※ 주차하고 선착장까지 바로 연결되어 편리합니다.

★13일(금요일) 5물, 거제권 선상 감성돔 낚시 "예약가능"
감성돔(5짜 실시간)대물5짜외 중치급들 폭풍 손맛中~
5짜 체포하신 조사님 축하드립니다~~!!
  • 사용자가 올린 이미지

거제도 선상 감성돔 낚시 전문 가고파호 조황 입니다.
대물시즌을 맞이한 어초포인트 진입후 낚시 진행중이고,
아침 피딩 타임부터 이어진 대물들의 습격에 터지고 빠지고
불안했지만 현재 계속 이어진 입질에 5짜를 포함한 4짜급들
마릿수 손맛 진행중입니다.
아직 좋은 물때와 시간이 많이 남아있으니 끝날때까지
열심히 흘려보겠습니다 내일 예약가능합니다.

12월 13일 금요일부터 예약 가능합니다.

▣ 가고파호 선상낚시 출조 일정 안내 ▣
※ 감성돔 선상낚시 대물 감성돔포인트로 진입, 종일낚시만 운영됩니다.
★ 12월 13일(금요일) 감성돔낚시 "예약가능"
- 주중, 주말 예약 가능합니다.
  • 사용자가 올린 이미지
(11일 마감 조황 첨부합니다.)
  • 사용자가 올린 이미지
  • 사용자가 올린 이미지
가고파호(선상) ☎ 010 8553 7868
▩ 뗏마 (전마선) ☎010-3336-6727
▩ 가고파호 https://blog.naver.com/gagopaho
밴드 http://band.us/@gagopaho
▩ 주소 :거제시 둔덕면 학산3길 81 (舊주소:둔덕면 학산리 109번지)
▩ 감성돔 선상낚시 안내 ▩
(주말 / 공휴일) 05:30 ~ 14시 철수 10만원 (밑밥,도시락포함)
- 생수,커피,라면,초장등, 낚시장비만 가지고 오세요

▩ 뗏마(전마선) 운영안내 ▩
- 06:00 ~ 17:30까지 가을시즌 운영됩니다.
- 1인용 6만원, 2인용 7만원, 3인용 8만원
- 거제도 어초위 설치 고정 뗏마.

▩ 가고파호(선상) ☎ 010 8553 7868
▩ 뗏마 (전마선) ☎010-3336-6727
▩ 가고파호 https://blog.naver.com/gagopaho 밴드 http://band.us/@gagopaho
▩ 주소 :거제시 둔덕면 학산3길 81 (舊주소:둔덕면 학산리 109번지)
  • 사용자가 올린 이미지

, , , , , , , , , , ,

1 댓글
거제가고파 24-12-12 09:34 0  
13일 거제도 감성돔 선상 낚시 예약가능합니다, 감사합니다.
포토 제목
 
 

인낚 최신글


인낚 최신댓글


온라인 문의 안내


월~금 : 9:00 ~ 18:00
토/일/공휴일 휴무
점심시간 : 12:00 ~ 13:00