(감성돔)4짜4짜4짜外중치급들~씨알급 전갱이까지~거제대어선외기(4일예약)

신상품 소개


회원 랭킹


공지사항


NaverBand
점주/선장 > 선상(배) 조황

▶ 지켜주세요! ◀
 
 - 당일 조황을 올리셔야 합니다. 
 - 지난 조황은 2일이내 미등록 조황만 가능합니다. 
 - 이미 올린 조황을 붙여넣기하여 계속 등재하시면 중복조황에 해당합니다. 
 - 당일 조황을 올리면서 이전 조황을 같이 올리면 중복조황에 해당합니다.
 - 조황없는 출조정보는 출조정보 게시판을 이용하시길 바랍니다. 
 - 올린 글 삭제하고 다시 올려 상단에 올리려는 방법, 이용규칙 위반입니다. 
 - 제목에 특수문자 사용하시면 안됩니다. (온점, 쉼표, 느낌표, 괄호, 물결만 허용)

 ☆ 공지사항에 '조황등재시 유의사항' 게시글을 꼭 확인하시고 조황작성 부탁드리며, 가장 기본적인 
    규칙이 지켜지지 않을 시 예고없이 글 삭제 및 이용정지 될 수 있음을 알려드립니다. 
 
b_hot_innakmall_200x80_240307.jpg b_hot_innakmall_200x80_220704.jpg b_hot_ggsusan_hongeu_200x80.gif b_hot_innakmall_200x80_211203.gif

(감성돔)4짜4짜4짜外중치급들~씨알급 전갱이까지~거제대어선외기(4일예약)

거제대어낚시선외기 1 120
● 출항지 : 거제
3일(화요일) 거제도 선외기 감성돔 문어낚시 "거제대어선외기" 조황입니다.
최대어 낚으면 (일 1명) 대어낚시&아지카 공동이벤트 최상급원줄 증정!!!

☆12월 4일(수요일) 선외기 대여, 감성돔/문어 "예약가능"
▶감성돔/돌문어/갑오징어 시즌 돌입 ▶선상낚시/선외기/단독펜션 운영.
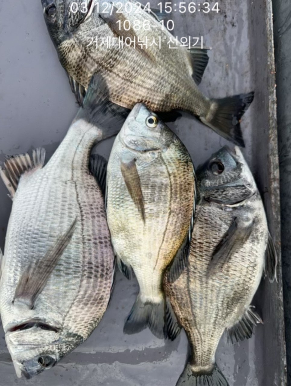
(선외기) 4짜오바 굵직한 감성돔들과 씨알급 전갱이 고등어까지~
  • 사용자가 올린 이미지

거제대어선외기입니다.
본격 겨울 시즌이 시작된 12월의 바다에서 오늘도 4짜 감성돔들이
얼굴을 보여줍니다.
대물들의 막강한 파워에 터트리고 아쉬워 하시는 분들도 계시고,
중치급들 사이에서 4짜 감성돔을 낚아 올리신 분도 계시네요
각 어장마다 많은 개체수가 들어와 있는 건 확실 한 듯 합니다.

특정 어장에서 씨알급 전갱이와 고등어들이 계속 마릿수로
올라오고 있으니 생활낚시 하시는 분들도 연락주시면
안내해드리도록 하겠습니다.
오늘도 거제 대어 선외기를 이용해주신 조사님들 감사드립니다.

12월 4일(수요일)부터 선외기 감성돔, 문어낚시 예약 가능합니다.

▣ 거제대어낚시 참돔부시리/감성돔낚시/선외기대여 일정 안내 ▣
★숙박+낚시배를 동시에 이용하고자 하는 분들은 할인 혜택 적용.
☆12월 4일(수요일) 선외기 감성돔낚시 문어낚시 "예약가능
☆12월 5일(목요일) 선외기 감성돔낚시 문어낚시 "예약가능
☆12월 6일(금요일) 선외기 감성돔낚시 문어낚시 "예약가능
☆12월 7일(토요일) 선외기 감성돔낚시 문어낚시 "예약가능
※ 좋은 포인트 선정을 위해 예약을 미리미리 서둘러 주십시요.

거제대어낚시 선외기(선상)낚시 예약(독채 민박)
문의 ☎ 010-640-2082 / ☎ 010-454-393
ㅁ선외기 예약: ☎ 010-6400-2082
■ 밴드: https://band.us/@geojedaeeofishing
  • 사용자가 올린 이미지
  • 사용자가 올린 이미지
  • 사용자가 올린 이미지
  • 사용자가 올린 이미지
  • 사용자가 올린 이미지
  • 사용자가 올린 이미지
거제 대어낚시는 1~8선단을 운영하고 있으며 거제도에서 가장 큰
규모를 자랑합니다. 단체팀/회사팀/기업팀/동호회팀/선상 낚시대회도
가능한 충분한 인원을 수용 가능합니다.

■ 선외기 대여
(4인승)- 13만원, (3인승) - 10만원 / (2인승) - 8만원 / (1인승)- 7만원.
영업구역 내 조정면허증 필요 없으므로, 누구나 이용이 가능합니다.
- 선외기 사용교육 3분이면 바로, 운전하실 수 있습니다.
- 안전을 위해 철수 시간은 "오후 4시 30분"을 필히 준수 바랍니다.

■ 돌문어낚시 ■
새벽 4시 30분 출발해서 오후 1시 전후까지 운영.
- 식사, 음료 커피 제공

■ 참돔 선상 흘림낚시 (내만권/중장거리 상시 출조)
한나절:새벽부터 ~ 2시까지(유동적) 13만원
- 밑밥,미끼,도시락 제공, 커피, 음료, 생수 제공
(낚싯대) 기본 1.5호~2호대 530(경질대 선호)
(릴) 4000번~6000번. 권사량 150~200미터 추천되는 스피닝릴.
(라인) 원줄 4~6호 플로팅 세미타입, 목줄 후로로카본 100% 4호~6호 선호.
(바늘) 참돔 8~12호, 큐션또는 수중큐션 -2B ~ -5B, 좁쌀봉돌, 스위벨도래
※독배는 시간 조정 가능합니다.

▦ 거제대어낚시 참돔 시상 내역 ▦ 일 1명씩 시상됩니다.
68Cm 이상 - 최상급 원줄 증정

■ 생활낚시 & 낚시체험
- 상시 예약 출조 가능합니다.
- 낚은 고기로 회썰어 드립니다.
- 몸만 오시면 됩니다.(낚싯대, 장비일절제공, 구명복 제공)

★안전 주의 사항★
- 거제대어낚시 선단 이용시, 안전한 낚시를 위해 선착장 통로 이용시
바닥 및 부대시설에 대해 미끌림을 주의 해 주시길 바랍니다. 통로 좌우에
있는 핸들을 잡고 이동하시면 안전합니다.
- 선착장 도착전, 배에서 미리 내리지 마시고, 배가 정박하고, 로프를 묶은
뒤에 하선해 주시길 바랍니다.

★대어낚시 선단★
거제 대어낚시 1호 ㅡ 안젤라호
거제 대어낚시 2호 ㅡ 안드레아호
거제 대어낚시 3호 ㅡ 야호(YAHO)
거제 대어낚시 4호 ㅡ 돌핀호
거제 대어낚시 5호 ㅡ 미래호
거제 대어낚시 6호 ㅡ 거제바다호
거제 대어낚시 7호 ㅡ 사랑호
거제 대어낚시 8호 ㅡ 대어호

■ 주변 제휴 민박집 ■
아지랑 민박(단체-독채) ☎010-6400-2082
해송굴구이민박(단체) ☎010-2545-3755
거제 대어낚시 주변 파라스파찜질방 검색하시면 됩니다.

거제대어낚시 선외기(선상)낚시 예약(독채 민박)
010-6400-2082 / ☎ 010-4547-3937
ㅁ선외기: ☎ 010-6400-2082
■ 밴드: https://band.us/@geojedaeeofishing

★찾아오시는길★
※출항지: 거제시 거제면 법동리 1074번지 아지랑경로당 방파제
사무실 :거제시 거제면 서정리 746-3(GS25시편의점)검색하시면 바로 옆 위치
★★★신분증 꼭 지참해주세요★★★
  • 사용자가 올린 이미지

, , , , , , , , , , , , , , , , , , , , , , , , , , , , , , , , , , , , , , , , , ,

1 댓글
포토 제목
 
 

인낚 최신글


인낚 최신댓글


온라인 문의 안내


월~금 : 9:00 ~ 18:00
토/일/공휴일 휴무
점심시간 : 12:00 ~ 13:00