대물감성돔(욕지도 어초) 5짜5짜外4짜 후반급들 美친씨알 (3일 예약)

신상품 소개


회원 랭킹


공지사항


NaverBand
점주/선장 > 선상(배) 조황

▶ 지켜주세요! ◀
 
 - 당일 조황을 올리셔야 합니다. 
 - 지난 조황은 2일이내 미등록 조황만 가능합니다. 
 - 이미 올린 조황을 붙여넣기하여 계속 등재하시면 중복조황에 해당합니다. 
 - 당일 조황을 올리면서 이전 조황을 같이 올리면 중복조황에 해당합니다.
 - 조황없는 출조정보는 출조정보 게시판을 이용하시길 바랍니다. 
 - 올린 글 삭제하고 다시 올려 상단에 올리려는 방법, 이용규칙 위반입니다. 
 - 제목에 특수문자 사용하시면 안됩니다. (온점, 쉼표, 느낌표, 괄호, 물결만 허용)

 ☆ 공지사항에 '조황등재시 유의사항' 게시글을 꼭 확인하시고 조황작성 부탁드리며, 가장 기본적인 
    규칙이 지켜지지 않을 시 예고없이 글 삭제 및 이용정지 될 수 있음을 알려드립니다. 
 
b_hot_innakmall_200x80_240307.jpg b_hot_innakmall_200x80_220704.jpg b_hot_ggsusan_hongeu_200x80.gif b_hot_innakmall_200x80_211203.gif

대물감성돔(욕지도 어초) 5짜5짜外4짜 후반급들 美친씨알 (3일 예약)

고성베이호 0 162
● 출항지 : 고성
12월 1일(일요일) 大物 자연어초 감성돔낚시 "고성베이호" 핫조황 입니다.
※ 카고 어장낚시 절대 사절~자연 어초여밭 흘림낚시만 운영!!!

★3일(화요일) 07시 출항, 자연어초 감성돔낚시 "예약가능"
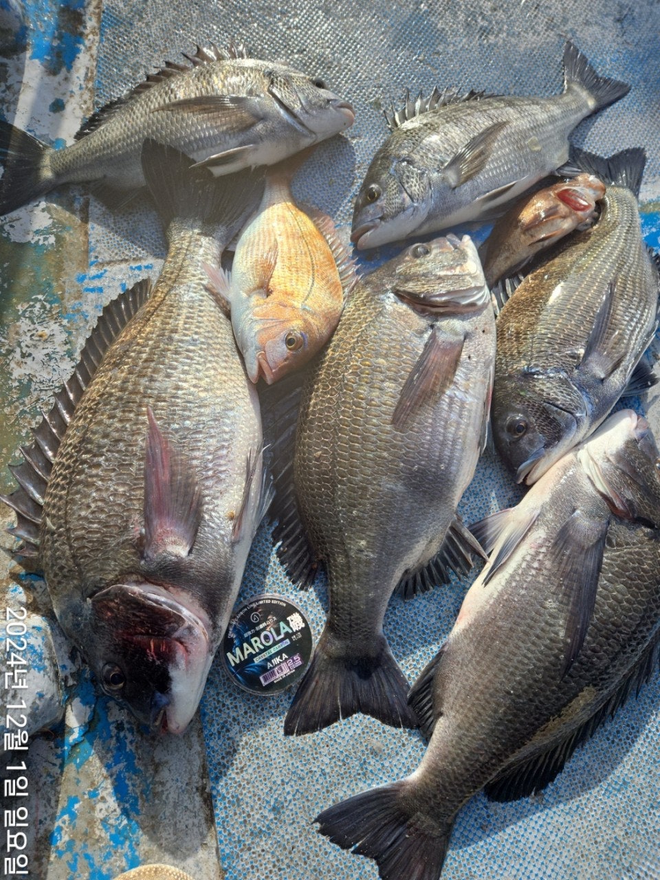
대물감성돔(욕지도 어초) 52 50 48 45 굵습니다~
  • 사용자가 올린 이미지


자연 어초 대물사냥 전문 고성 베이호 조황입니다.
좋은 물때에 진입한 자연 어초, 역시 12월이 되더니 씨알이 달라집니다.
불감당한 빅사이즈는 무려 5방이나 터트리면서도, 빵좋은 대물감성돔
5짜 52Cm 50Cm와 5짜급 48Cm 45Cm로 대물만으로 손맛을
마칠 수 있었습니다. 엄청난 사이즈들이 어초쪽으로 들어 온 것 같습니다.
채비 튼튼히 챙겨 오십시요~ 급이 다릅니다.

12월 3일(화요일) 대물자리 어초포인트로 아침 07시 출발합니다.
중 주말 예약 가능합니다.
오늘도 고성 베이호를 찾아 주신 조사님 수고 많으셨습니다.

▣ 고성베이호 자연 어초 여밭 흘림낚시 출조 일정 ▣
자연 어초여밭 수중여로 모십니다!!!
★12월 3일(화) 10물, 자연어초 참돔 감성돔낚시 "예약가능"
★12월 4일(수) 11물, 자연어초 참돔 감성돔낚시 "예약가능"
★12월 5일(목) 12물, 자연어초 참돔 감성돔낚시 "예약가능"
※ 주중, 주말 예약 가능합니다.

■ 고성 베이호 ☎010 4598 1782
■ 출항지 : 고성군 삼산면 두포리177-16 블루웨일 글램핑內
■ 밴드 : https://band.us/@bayho
  • 사용자가 올린 이미지
  • 사용자가 올린 이미지
  • 사용자가 올린 이미지
  • 사용자가 올린 이미지
▣ 감성돔 참돔낚시 자연어초 여밭포인트 공략 ▣
1) (출항) 오전 6시 출발, 오후 2시경 (유동적)
2) 출조지역: 사량도(추도권)
원도권역 : 욕지도, 좌사리도, 갈도권
3) 밑밥, 미끼, 도시락 제공
- 커피, 생수,음료 등은 상시 비치되어 있습니다.

▣ 아지카(AJIKA)라인 특별시상 ▣
- 낚시줄회사 아지카(AJIKA)라인에서 감성돔 55Cm이상
최상급라인 "구레스페셜"원줄 증정(배송비 무료)합니다.

■ 고성 베이호 ☎010 4598 1782
■ 출항지 : 고성군 삼산면 두포리177-16 블루웨일 글램핑內
■ 밴드 : https://band.us/@bayho
■블로그 : https://blog.naver.com/bayfishing
  • 사용자가 올린 이미지

, , , , , , , , , , , , , , , , , , , , , , ,

0 댓글
포토 제목
 
 

인낚 최신글


인낚 최신댓글


온라인 문의 안내


월~금 : 9:00 ~ 18:00
토/일/공휴일 휴무
점심시간 : 12:00 ~ 13:00