(감성돔) 주말 52Cm 대물급 굵은놈들 손맛~가고파호(3일 예약)

신상품 소개


회원 랭킹


공지사항


NaverBand
점주/선장 > 선상(배) 조황

▶ 지켜주세요! ◀
 
 - 당일 조황을 올리셔야 합니다. 
 - 지난 조황은 2일이내 미등록 조황만 가능합니다. 
 - 이미 올린 조황을 붙여넣기하여 계속 등재하시면 중복조황에 해당합니다. 
 - 당일 조황을 올리면서 이전 조황을 같이 올리면 중복조황에 해당합니다.
 - 조황없는 출조정보는 출조정보 게시판을 이용하시길 바랍니다. 
 - 올린 글 삭제하고 다시 올려 상단에 올리려는 방법, 이용규칙 위반입니다. 
 - 제목에 특수문자 사용하시면 안됩니다. (온점, 쉼표, 느낌표, 괄호, 물결만 허용)

 ☆ 공지사항에 '조황등재시 유의사항' 게시글을 꼭 확인하시고 조황작성 부탁드리며, 가장 기본적인 
    규칙이 지켜지지 않을 시 예고없이 글 삭제 및 이용정지 될 수 있음을 알려드립니다. 
 
b_hot_innakmall_200x80_240307.jpg b_hot_innakmall_200x80_220704.jpg b_hot_ggsusan_hongeu_200x80.gif b_hot_innakmall_200x80_211203.gif

(감성돔) 주말 52Cm 대물급 굵은놈들 손맛~가고파호(3일 예약)

거제가고파 1 113
● 출항지 : 거제
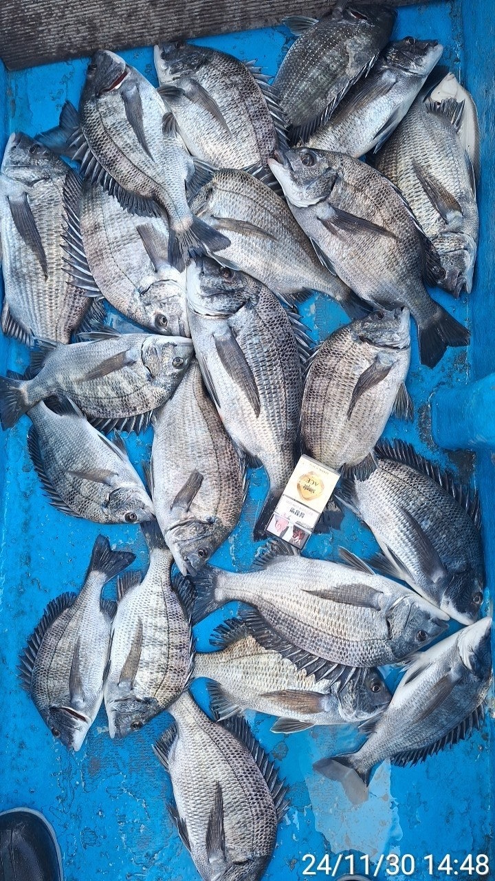
주말, 거제도 선상 감성돔낚시 "가고파호" (마감) 조황입니다.
※ 감성돔 53Cm이상 포획시, 가고파호 공동이벤트 AJIKA 최상급 라인 증정.
※ 주차하고 선착장까지 바로 연결되어 편리합니다.

★3일(화요일) 10물, 거제권 선상 감성돔 낚시 "예약가능"
(감성돔) 주말 52Cm 대물급 굵은놈들 손맛~
  • 사용자가 올린 이미지


거제도 선상 감성돔 낚시 전문 가고파호 조황 입니다.
주말 조황입니다. 오늘 대물 감성돔 52Cm를 필두로 4짜 4짜급들 마리수와
어제도 4짜중반, 초반 4짜급 등 마리수 손맛을 제대로 볼 수 있었습니다.
본격적인 대물시즌이라 그런지 이제 서서히 녀석들이 이동을 시작하는
것이 포착되고 있습니다.

12월 3일 토요일부터 예약 가능합니다.
오늘도 거제 가고파호를 찾아 주신 조사님 수고 많으셨습니다.

▣ 가고파호 선상낚시 출조 일정 안내 ▣
※ 감성돔 선상낚시 대물 감성돔포인트로 진입, 종일낚시만 운영됩니다.
★ 12월 3일(화요일) 감성돔낚시 "예약가능"
★ 12월 4일(수요일) 감성돔낚시 "예약가능"
★ 12월 5일(목요일) 감성돔낚시 "예약가능"
- 주중, 주말 예약 가능합니다.

▩ 가고파호(선상) ☎ 010 8553 7868
▩ 뗏마 (전마선) ☎010-3336-6727
▩ 가고파호 https://blog.naver.com/gagopaho
밴드 http://band.us/@gagopaho
▩ 주소 :거제시 둔덕면 학산3길 81 (舊주소:둔덕면 학산리 109번지)
  • 사용자가 올린 이미지
  • 사용자가 올린 이미지
  • 사용자가 올린 이미지
▩ 감성돔 선상낚시 안내 ▩
(주말 / 공휴일) 05:30 ~ 14시 철수 10만원 (밑밥,도시락포함)
- 생수,커피,라면,초장등, 낚시장비만 가지고 오세요

▩ 뗏마(전마선) 운영안내 ▩
- 06:00 ~ 17:30까지 가을시즌 운영됩니다.
- 1인용 6만원, 2인용 7만원, 3인용 8만원
- 거제도 어초위 설치 고정 뗏마.

▩ 가고파호(선상) ☎ 010 8553 7868
▩ 뗏마 (전마선) ☎010-3336-6727
▩ 가고파호 https://blog.naver.com/gagopaho 밴드 http://band.us/@gagopaho
▩ 주소 :거제시 둔덕면 학산3길 81 (舊주소:둔덕면 학산리 109번지)
  • 사용자가 올린 이미지

, , , , , , , , , , ,

1 댓글
거제가고파 24-12-01 16:09 0  
3일 종일 감성돔 흘림낚시 예약 가능합니다. 감사합니다.
포토 제목
 
 

인낚 최신글


인낚 최신댓글


온라인 문의 안내


월~금 : 9:00 ~ 18:00
토/일/공휴일 휴무
점심시간 : 12:00 ~ 13:00