- 당일 조황 올리기 - 이전 조황 복사해서 올리지 말기 |
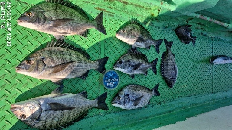
감성돔(찌낚시) 굵은놈들 4짜 4짜급외 손맛~람보1호(2일 예약)참돔낚시, 참돔조황, 감성돔출조, 거제도감성돔낚시, 감성돔선상낚시, 흘림낚시, 람보낚시, 람보피싱1호, 람보피싱2호, 람보피싱3호, 람보피싱4호, 바다낚시, 돔낚시, 거제감성돔낚시, 감성돔출조점, 거제도감성돔, 감성돔흘림낚시감성돔찌낚시, 바다릴찌낚시, 자연산낚시, 릴찌낚시, 릴낚시, 거제도선상낚시, 참돔선상낚시배, 거제낚시배, 거제도낚시배, 거제도낚시, 감성돔추천배