감성돔(실시간)어초여밭 4짜4짜급 소나기 입질中~ 베이호(20일예약)

신상품 소개


회원 랭킹


공지사항


NaverBand
점주/선장 > 선상(배) 조황

▶ 지켜주세요! ◀
 
 - 당일 조황을 올리셔야 합니다. 
 - 지난 조황은 2일이내 미등록 조황만 가능합니다. 
 - 이미 올린 조황을 붙여넣기하여 계속 등재하시면 중복조황에 해당합니다. 
 - 당일 조황을 올리면서 이전 조황을 같이 올리면 중복조황에 해당합니다.
 - 조황없는 출조정보는 출조정보 게시판을 이용하시길 바랍니다. 
 - 올린 글 삭제하고 다시 올려 상단에 올리려는 방법, 이용규칙 위반입니다. 
 - 제목에 특수문자 사용하시면 안됩니다. (온점, 쉼표, 느낌표, 괄호, 물결만 허용)

 ☆ 공지사항에 '조황등재시 유의사항' 게시글을 꼭 확인하시고 조황작성 부탁드리며, 가장 기본적인 
    규칙이 지켜지지 않을 시 예고없이 글 삭제 및 이용정지 될 수 있음을 알려드립니다. 
 
b_hot_innakmall_200x80_240307.jpg b_hot_innakmall_200x80_220704.jpg b_hot_ggsusan_hongeu_200x80.gif b_hot_innakmall_200x80_211203.gif

감성돔(실시간)어초여밭 4짜4짜급 소나기 입질中~ 베이호(20일예약)

고성베이호 1 192
● 출항지 : 고성
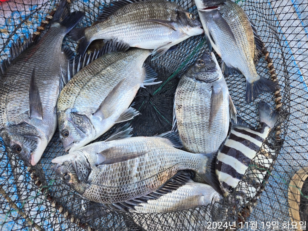
19일(화요일) 大物 자연어초 감성돔낚시 "고성베이호" (실시간)핫조황!!.
※ 카고 어장낚시 절대 사절~자연 어초여밭 흘림낚시만 운영!!!

★20일(수요일) 08시 출항, 자연어초 감성돔낚시 "예약가능"
감성돔(실시간)어초여밭 4짜 4짜급 마릿수 소나기 입질 진행中~
  • 사용자가 올린 이미지
자연 어초 전문 고성 베이호 실시간 핫조황입니다.
최근 핫 한 어초포인트에 자리잡고 낚시 중입니다. 물이 바뀌면서 시작된
소나기 입질에 여기저기서 피아노 소리가 울려퍼지고,
씨알이 좋았던 포인트라 올리는 족족 4짜급들의 멋진 감성돔들이 짜릿한
손맛을 전해주며 얼굴을 보여주고 있습니다.

오늘도 역시나 아쉽게 터져나가는 녀석들이 있지만,
현재 4짜와 4짜급 15여수 정도 진행중이고 여전히 물속 조건이 좋은 상태라
좋은 조황이 예상됩니다~
철수 때까지 최선을 다해보겠습니다~

내일, 20일(수요일) 대물자리 어초포인트로 아침 08시 출발합니다.
주중 주말 예약 가능합니다.

▣ 고성베이호 자연 어초 여밭 흘림낚시 출조 일정 ▣
자연 어초여밭 수중여로 모십니다!!!
★11월 20일(수) 12물,(08시) 자연어초 참돔 감성돔낚시 "예약가능"
★11월 21일(목) 13물, 자연어초 참돔 감성돔낚시 "예약가능"
★11월 22일(금) 14물, 자연어초 참돔 감성돔낚시 "예약가능"
★11월 23일(토) 조금, 자연어초 참돔 감성돔낚시 "예약가능"
★11월 24일(일) 1물, 자연어초 참돔 감성돔낚시 "예약가능"
※ 주중, 주말 예약 가능합니다.

■ 고성 베이호 ☎010 4598 1782
■ 출항지 : 고성군 삼산면 두포리177-16 블루웨일 글램핑內
■ 밴드 : https://band.us/@bayho
  • 사용자가 올린 이미지
  • 사용자가 올린 이미지
  • 사용자가 올린 이미지
  • 사용자가 올린 이미지
▣감성돔 참돔낚시 자연어초 여밭포인트 공략 ▣
1) (출항) 오전 6시 출발, 오후 2시경 (유동적)
2) 출조지역: 사량도(추도권)
원도권역 : 욕지도, 좌사리도, 갈도권
3) 밑밥, 미끼, 도시락 제공
- 커피, 생수,음료 등은 상시 비치되어 있습니다.

▣ 아지카(AJIKA)라인 특별시상 ▣
- 낚시줄회사 아지카(AJIKA)라인에서 감성돔 55Cm이상
최상급라인 "구레스페셜"원줄 증정(배송비 무료)합니다.

■ 고성 베이호 ☎010 4598 1782
■ 출항지 : 고성군 삼산면 두포리177-16 블루웨일 글램핑內
■ 밴드 : https://band.us/@bayho
■블로그 : https://blog.naver.com/bayfishing
  • 사용자가 올린 이미지

, , , , , , , , , , , , , , , , , , , , , , ,

1 댓글
고성베이호 24-11-19 15:39 0  
20일 어초 감성돔 낚시 예약가능합니다. 감사합니다.
포토 제목
 
 

인낚 최신글


인낚 최신댓글


온라인 문의 안내


월~금 : 9:00 ~ 18:00
토/일/공휴일 휴무
점심시간 : 12:00 ~ 13:00