(선외기) 대물급 감성돔들 진입~마리수OK~씨알굿~(15일 예약)

신상품 소개


회원 랭킹


공지사항


NaverBand
점주/선장 > 선상(배) 조황

▶ 지켜주세요! ◀
 
 - 당일 조황을 올리셔야 합니다. 
 - 지난 조황은 2일이내 미등록 조황만 가능합니다. 
 - 이미 올린 조황을 붙여넣기하여 계속 등재하시면 중복조황에 해당합니다. 
 - 당일 조황을 올리면서 이전 조황을 같이 올리면 중복조황에 해당합니다.
 - 조황없는 출조정보는 출조정보 게시판을 이용하시길 바랍니다. 
 - 올린 글 삭제하고 다시 올려 상단에 올리려는 방법, 이용규칙 위반입니다. 
 - 제목에 특수문자 사용하시면 안됩니다. (온점, 쉼표, 느낌표, 괄호, 물결만 허용)

 ☆ 공지사항에 '조황등재시 유의사항' 게시글을 꼭 확인하시고 조황작성 부탁드리며, 가장 기본적인 
    규칙이 지켜지지 않을 시 예고없이 글 삭제 및 이용정지 될 수 있음을 알려드립니다. 
 
b_hot_innakmall_200x80_240307.jpg b_hot_innakmall_200x80_220704.jpg b_hot_ggsusan_hongeu_200x80.gif b_hot_innakmall_200x80_211203.gif

(선외기) 대물급 감성돔들 진입~마리수OK~씨알굿~(15일 예약)

거제대어낚시선외기 1 167
● 출항지 : 거제
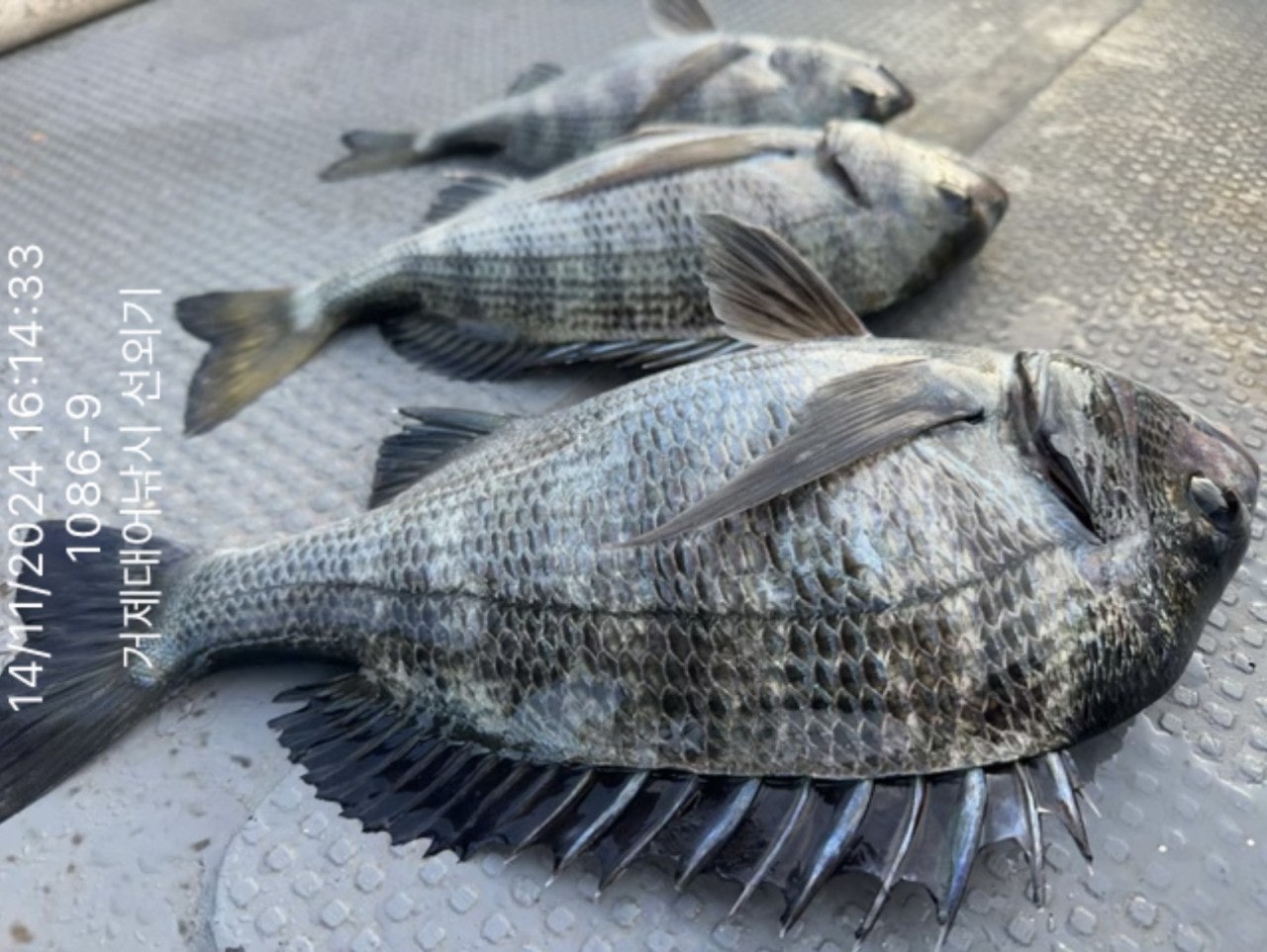
14일(목요일) 거제도 선외기 감성돔낚시 "거제대어선외기" 조황입니다.
최대어 낚으면 (일 1명) 대어낚시&아지카 공동이벤트 최상급원줄 증정!!!

☆ 15일(금요일) 선외기 감성돔/문어/생활낚시 "예약가능"
▶▶▶감성돔낚시 & 문어낚시 본시즌 돌입~▶선상낚시/선외기/단독펜션 운영.
▶면허가 필요 없는 "선외기"3분교육이면~몰고 가세요~
(선외기) 대물급 감성돔들로 진입~마리수 제대로 나옵니다~
  • 사용자가 올린 이미지

거제대어선외기입니다.
오늘은 굵은 씨알의 감성돔들이 함께 선을 보였습니다. 몇수는 터졌다고
하지만, 확실히 선외기 영업권역 내에서는 4짜 이상 넘어가는 굵은 사이즈
는 물론, 갑오징어, 돌문어가 함께 어장포인트에서 매일 비치면서 찾아 주신
조사님들 손맛을 매일 즐길 수 있었습니다.
주말까지 좋은 물때 구간, 승율 높습니다.

15일(금요일) 부터 선외기 감성돔, 문어낚시와 선상 내만 감성돔
낚시 예약이 가능합니다. 감성돔 밑밥 충분히 챙겨 오시면 마리수는 언
제든 가능한시기입니다. 대체 미끼도 준비해 오시고, 돌문어 또한 어장
포인트에 많은 개체가 있습니다.
오늘도 거제 대어 선외기를 이용해 주신 조사님 수고 많으셨습니다.

▣ 거제대어낚시 참돔부시리/감성돔낚시/선외기대여 일정 안내 ▣
★숙박+낚시배를 동시에 이용하고자 하는 분들은 할인 혜택 적용.
☆15일(금요일) 선외기 감성돔낚시 문어낚시 "예약가능
☆16일(토요일) 선외기 감성돔낚시 문어낚시 "예약가능
☆17일(일요일) 선외기 감성돔낚시 문어낚시 "예약가능
☆18일(월요일) 선외기 감성돔낚시 문어낚시 "예약가능
☆19일(화요일) 선외기 감성돔낚시 문어낚시 "예약가능
※ 좋은 포인트 선정을 위해 예약을 미리미리 서둘러 주십시요.

거제대어낚시 선외기(선상)낚시 예약(독채 민박)
문의 ☎ 010-640-2082 / ☎ 010-454-393
ㅁ선외기 예약: ☎ 010-6400-2082
■ 밴드: https://band.us/@geojedaeeofishing
  • 사용자가 올린 이미지
  • 사용자가 올린 이미지
  • 사용자가 올린 이미지
  • 사용자가 올린 이미지
  • 사용자가 올린 이미지
  • 사용자가 올린 이미지
  • 사용자가 올린 이미지
  • 사용자가 올린 이미지
  • 사용자가 올린 이미지
  • 사용자가 올린 이미지
  • 사용자가 올린 이미지
거제 대어낚시는 1~8선단을 운영하고 있으며 거제도에서 가장 큰
규모를 자랑합니다. 단체팀/회사팀/기업팀/동호회팀/선상 낚시대회도
가능한 충분한 인원을 수용 가능합니다.

■ 돌문어낚시 ■
새벽 4시 30분 출발해서 오후 1시 전후까지 운영.
- 식사, 음료 커피 제공

■ 참돔 선상 흘림낚시 (내만권/중장거리 상시 출조)
한나절:새벽부터 ~ 2시까지(유동적) 13만원
- 밑밥,미끼,도시락 제공, 커피, 음료, 생수 제공
(낚싯대) 기본 1.5호~2호대 530(경질대 선호)
(릴) 4000번~6000번. 권사량 150~200미터 추천되는 스피닝릴.
(라인) 원줄 4~6호 플로팅 세미타입, 목줄 후로로카본 100% 4호~6호 선호.
(바늘) 참돔 8~12호, 큐션또는 수중큐션 -2B ~ -5B, 좁쌀봉돌, 스위벨도래
※독배는 시간 조정 가능합니다.

▦ 거제대어낚시 참돔 시상 내역 ▦ 일 1명씩 시상됩니다.
68Cm 이상 - 최상급 원줄 증정

■ 생활낚시 & 낚시체험
- 상시 예약 출조 가능합니다.
- 낚은 고기로 회썰어 드립니다.
- 몸만 오시면 됩니다.(낚싯대, 장비일절제공, 구명복 제공)

■ 선외기 대여
(4인승)- 13만원, (3인승) - 10만원 / (2인승) - 8만원 / (1인승)- 7만원.
영업구역 내 조정면허증 필요 없으므로, 누구나 이용이 가능합니다.
- 선외기 사용교육 3분이면 바로, 운전하실 수 있습니다.
- 안전을 위해 가을시즌부터는 오후 4시 30분 철수시간을 준수 바랍니다.

★안전 주의 사항★
- 거제대어낚시 선단 이용시, 안전한 낚시를 위해 선착장 통로 이용시
바닥 및 부대시설에 대해 미끌림을 주의 해 주시길 바랍니다. 통로 좌우에
있는 핸들을 잡고 이동하시면 안전합니다.
- 선착장 도착전, 배에서 미리 내리지 마시고, 배가 정박하고, 로프를 묶은
뒤에 하선해 주시길 바랍니다.

★대어낚시 선단★
거제 대어낚시 1호 ㅡ 안젤라호
거제 대어낚시 2호 ㅡ 안드레아호
거제 대어낚시 3호 ㅡ 야호(YAHO)
거제 대어낚시 4호 ㅡ 돌핀호
거제 대어낚시 5호 ㅡ 미래호
거제 대어낚시 6호 ㅡ 거제바다호
거제 대어낚시 7호 ㅡ 사랑호
거제 대어낚시 8호 ㅡ 대어호

■ 주변 제휴 민박집 ■
아지랑 민박(단체-독채) ☎010-6400-2082
해송굴구이민박(단체) ☎010-2545-3755
거제 대어낚시 주변 파라스파찜질방 검색하시면 됩니다.

거제대어낚시 선외기(선상)낚시 예약(독채 민박)
010-6400-2082 / ☎ 010-4547-3937
ㅁ선외기: ☎ 010-6400-2082
■ 밴드: https://band.us/@geojedaeeofishing

★찾아오시는길★
※출항지: 거제시 거제면 법동리 1074번지 아지랑경로당 방파제
사무실 :거제시 거제면 서정리 746-3(GS25시편의점)검색하시면 바로 옆 위치
★★★신분증 꼭 지참해주세요★★★
  • 사용자가 올린 이미지

, , , , , , , , , , , , , , , , , , , , , , , , , , , , , , , , , , , , , ,

1 댓글
포토 제목
 
 

인낚 최신글


인낚 최신댓글


온라인 문의 안내


월~금 : 9:00 ~ 18:00
토/일/공휴일 휴무
점심시간 : 12:00 ~ 13:00