- 당일 조황 올리기 - 이전 조황 복사해서 올리지 말기 |
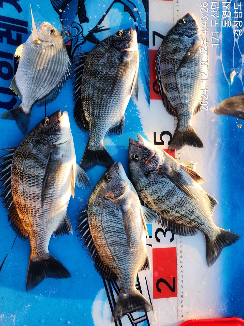
유촌 신일레져_감성돔 조황입니다유촌 신일레져 선외기 조황입니다.
오늘도 감성돔 흘림, 카고로 손맛 보았습니다.
바람이 많이 불었는데 고생하셨습니다!!
주중 선외기 여유 있습니다.
예약 문의 주세요.
대체미끼 옥수수, 경단, 혼무시 준비하세요!
오늘도 수고 많으셨습니다^^
산뜻한새벽출조를위해가급적
늦은밤통화는조금만자제부탁드립니다^^
(예약문의는저녁9시전에전화주세요~!!!)
# 선상 음주 절대불가입니다.
주류는 가져오지 마세요
#위치
유촌 끝까지 내려오시면
빨간 벽돌 2층집 1층입니다.
통영시 도산면 저산유촌길 171
#넓고 편한 주차장
#휴게 공간
#맛있는 커피
밴드로오시면더많이선장님과정보를나눌수있어요~!!!
http://band.us/n/aba1v8N6ndB5J
# 낚시예약문의전화
010-3358-0986 , 010-5001-1384