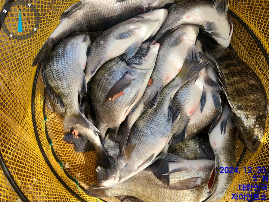
자이언트호(감성돔흘림) 4짜급 마리수 조황입니다

신상품 소개


회원 랭킹


공지사항


NaverBand
점주/선장 > 선상(배) 조황

▶ 지켜주세요! ◀
 
 - 당일 조황을 올리셔야 합니다. 
 - 지난 조황은 2일이내 미등록 조황만 가능합니다. 
 - 이미 올린 조황을 붙여넣기하여 계속 등재하시면 중복조황에 해당합니다. 
 - 당일 조황을 올리면서 이전 조황을 같이 올리면 중복조황에 해당합니다.
 - 조황없는 출조정보는 출조정보 게시판을 이용하시길 바랍니다. 
 - 올린 글 삭제하고 다시 올려 상단에 올리려는 방법, 이용규칙 위반입니다. 
 - 제목에 특수문자 사용하시면 안됩니다. (온점, 쉼표, 느낌표, 괄호, 물결만 허용)

 ☆ 공지사항에 '조황등재시 유의사항' 게시글을 꼭 확인하시고 조황작성 부탁드리며, 가장 기본적인 
    규칙이 지켜지지 않을 시 예고없이 글 삭제 및 이용정지 될 수 있음을 알려드립니다. 
 
b_hot_innakmall_200x80_240307.jpg b_hot_innakmall_200x80_220704.jpg b_hot_ggsusan_hongeu_200x80.gif b_hot_innakmall_200x80_211203.gif

자이언트호(감성돔흘림) 4짜급 마리수 조황입니다

자이언트맨 0 686
● 출항지 : 부산

4fe94e526cfc458d865d5bf644b0a66b_1735642145_0322.jpg



4fe94e526cfc458d865d5bf644b0a66b_1735642145_4147.jpg



4fe94e526cfc458d865d5bf644b0a66b_1735642145_7575.jpg



4fe94e526cfc458d865d5bf644b0a66b_1735642146_2298.jpg



4fe94e526cfc458d865d5bf644b0a66b_1735642146_7067.jpg



4fe94e526cfc458d865d5bf644b0a66b_1735642147_3711.jpg



4fe94e526cfc458d865d5bf644b0a66b_1735642147_8741.jpg



4fe94e526cfc458d865d5bf644b0a66b_1735642148_4095.jpg



4fe94e526cfc458d865d5bf644b0a66b_1735642149_0487.jpg



4fe94e526cfc458d865d5bf644b0a66b_1735642149_5006.jpg
 

#가덕도천성항

#감성돔흘림

#4짜급입성

#실시간조황

#때가되면물어요

#메이커

#쉬지말고~일하세요

#자이언트호

#흘림조황

#내일도~정상출조~합니다

#오늘은감생이

#쟌트

#흘림감성돔

#쟌트호

#계속대박조황정보

#자이언트호

#퍽퍽합니다

#잔트호

#한늠만잡아

#때가되면물어요

#살아나는물

#물때시작

#자이언트호

#생활낚시전문

#천성항

#오늘하루도최선을

#왔어왔어

#내일은더많이

#황금물때

#바다가내어주는만큼만

#허위조황금지

#남해권

●반갑습니다~~^^

●부산에서 제일 가까운 가덕도 포인트

●타지역에 비해 몇척되지 않는 낚시배

●아시는 분만 아시는 자이언트 조황

●부산에서 가까운 가덕도에서 마리수 씨알 다잡아 가세요~^^

●부산에서 제일 가깝고 타지역에 비해 많은 포인트보유 가덕도 선상낚시배 몇척되지 않아 선상배 간의 자리 다툼이 없습니다

가덕도 천성항에 위치한 가덕도 생활 선상낚시전문 써비스 최강 자이언트호 입니다

#흘림감성돔 조황

반갑습니다 자이언트호 입니다

오늘 감성돔5짜 4짜급 흘림대박 조황 입니다

덩어리들 몰려 다닙니다

다녀가신 사장님 고생하셨습니다

●평일에 이용하시면 주말보다 여유로운 낚시  즐길수 있습니다

주말은 미리 예약부탁 드립니다

■감성돔 흘림출조■

(준비물)

1~2호대ㆍ2500번릴ㆍ2~3호막대찌ㆍ구멍찌ㆍ마끼 3개1개(크릴3개ㆍ파우다1개)1세트 말아서 봉지에

담아 오세요 #밉밥 마실때 직원한테 무겁게 찐득하이 말아주라고 부탁 하세요 (묵직한게 집어가 잘됩니다^^)

미끼) 백크릴ㆍ민물새우ㆍ경단등

●(감성돔출조시간~선비)

●오전타임~출조시간 04시30분~~12까지  (선비7만원) 미끼ㆍ마끼별도

●종일타임~출조시간 04시30분~~오후2시 (선비9만원)

미끼ㆍ마끼별도


감성돔 흘림 승선인원 선장포함  10명 입니다

#감성돔예약현황

■1/1       수요일        감성돔             (예약완료)

■1/2       목요일        감성돔             (1자리여유)

■1/3       금요일        감성돔             (3자리여유)

■1/4       토요일        감성돔             (예약완료)

■1/5       일요일        감성돔             (1자리여유)

※허위조황 절대금지 합니다

●초보님들 대환영

*자이언트는 봄도다리ㆍ고등어ㆍ여름백조기ㆍ가을돌문어

겨울 감성돔ㆍ흘림 카고낚시 계절 장르별로 고객님을 모십니다

한분 한분께 최선을 다하는 자이언트가 되겠습니다~꾸벅^^

●잡으신 고기 선착장앞(천성회센타)포장 가능합니다 ㆍ단 도다리ㆍ감성돔만

●네비주소ㆍ부산 가덕도 (천성항)

●더많은 조황은 밴드에서 확인 하세요

#밴드창. 부산자이언트호(검색후)들어오세요^^

#선장전화~010~8828~9876

#입금확인후 예약  진행 됩니다

#입금확인 안될시 예약취소 될수있 습니다

말없이 빵구 내시는 분이 계셔서 양해 부탁드립니다

빵구내시는 조사님은 저희배는 물론 가덕도 선단배 전번공유 하여 입장불가 합니다

(입금후 문자 부탁드립니다)

#입금은행  (수협 0010 ,8828 ,9876  정영훈


 

0 댓글
포토 제목
 
 

인낚 최신글


인낚 최신댓글


온라인 문의 안내


월~금 : 9:00 ~ 18:00
토/일/공휴일 휴무
점심시간 : 12:00 ~ 13:00