![]() |
|
![]() |
![]() |
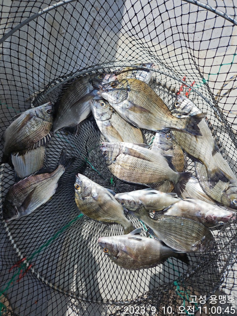
가을 감생이 작아도 힘은 좋아요~~~안녕하십니까.
고성동화마을 용맹호 입니다 (3톤)
@@나무여 참돔 @@
@@사량도 감성돔@@
오늘은 청물땜에 마리수가 아쉽네요.
물색만 돌아 온다면 많은 마리수는
문제 없을듯 합니다.
쭉~~달려 보겠습니다.
용맹호 흘림 낚시는 6분까지만 모십니다.
많은 관심 부탁드립니다.
주중에도 쭉~~~ 예약 부탁드립니다.
용맹호는 3톤으로 널널 하게 낚시를
즐길수 있습니다.
언제든 전화 주십시요.
###감성돔,참돔선비###
사량도권(감성돔)10만원(밑밥미끼포함)
나무여(참돔) 12만원(밑밥ㆍ미끼포함)
욕지권(참돔) 13만원(밑밥ㆍ미끼포함)
~~~예약 현황~~~
월요일 감성돔 예약중
이후로 쭉 예약중입니다.
주말이나 연휴때는 조금 빠르게
예약 부탁드립니다.
많은 관심 부탁드립니다.
##돌문어선비##
주간ㆍ야간 7만원 입니다.
종일낚시 11만원 입니다.
@@음료ㆍ생수ㆍ캔커피 제공@@
@@식사는 간단히 라면 제공@@
##준비물##
궁금하실땐
선장폰으로 전화 주세용~~
입금후 바로 예약 완료 됩니다.^^
##입금 계좌##
경남 은행 (김옥수)
523~21~0229889
#####출조 문의#####
선장폰:010~5390~9008
문자 보다는 전화 주십시요.
#용맹호는 3톤으로 선장포함 9명 탑승#
널널하게 낚시 하실수 있습니다.
#출조 계획있는 조사님들은 빠른 연락 기다립니다
##신분증 지참ㆍ구명복은 필수##
선내 주류 반입금지
####네비주소####
고성군 하일면 동화1길 192-37
@밴드에 가입 하시면 빠른 조황 확인가능합니다.
고성 용맹호로 검색하셔도 됩니다.
고성동화마을 용맹호
|
|
|
|






