![]() |
|
![]() |
![]() |
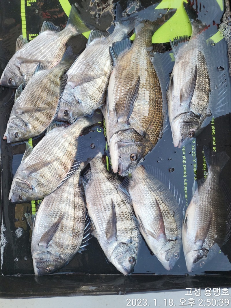
감성돔 손맛 보러 가시죠안녕하세요
고성 동화마을 용맹호 입니다 (3톤)
수ㆍ목 날씨가 괜찮네요.
묵직한놈 만나러 가보시죠.
내일 자리 널널 합니다.
감생이들이 괜찮게 나오고 있습니다.
손맛보시러 가보시죠.
날씨가 많이 추워졌습니다.
따뜻하게 챙겨 입으셔야 될듯 합니다.
잡어속에 감시 있습니다.
용맹호는 감성돔ㆍ참돔 흘림은
최고 6분만 모십니다.
감성돔 카고는 4분 모십니다.
수요일 2명 예약중
목요일 널널
뒤로 쭉~~널널합니다.
언제라도 전화 주세요
예약 가능합니다 !
#커피ㆍ음료ㆍ점심ㆍ생수제공
##출항시간##
오전6시출항~오후2시경 철수(독배는 시간 조절가능
##선비##
돌문어
주ㆍ야 7만원 입니다.
감성돔,참돔
카고(사량권)10만원(미끼ㆍ밑밥 별도)
사량도권(감성돔)10만원(밑밥미끼포함)
나무여(참돔) 11만원(밑밥ㆍ미끼포함)
욕지권 (참돔)13만원(밑밥ㆍ미끼포함)
입금후 바로 예약 완료 됩니다.^^
##입금 계좌##
경남 은행 (김옥수)
523~21~0229889
#####출조 문의#####
선장폰:010~5390~9008
#용맹호는 3톤으로 선장포함 9명 탑승#
널널하게 낚시 하실수 있습니다.
#출조 계획있는 조사님들은 빠른 연락 기다립니다
##신분증 지참ㆍ구명복은 필수##
선내 주류 반입금지
####네비주소####
고성군 하일면 동화1길 192-37
@밴드에 가입 하시면 빠른 조황 확인가능합니다.
감사합니다.
|
|
|
|








