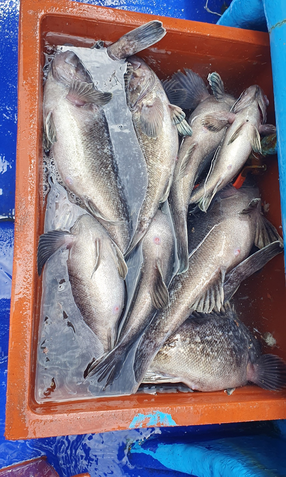
4/15 격포 씨헌터호 우럭 다녀왔습니다 ~ 대박 ~

신상품 소개


회원 랭킹


공지사항


NaverBand
점주/선장 > 선상(배) 조황
b_hot_activegloat_200x80.gif b_hot_innakmall_200x80_220704.jpg b_hot_ggsusan_hongeu_200x80.gif b_hot_innakmall_200x80_211203.gif

4/15 격포 씨헌터호 우럭 다녀왔습니다 ~ 대박 ~

씨헌터호 0 228
● 출항지 : 격포

안녕하세요 항상 최선을 다하는 격포 씨헌터호 입니다. 

4/15 내만권 우럭 다녀왔습니다 ~ 

오늘도 역시 엄지 척 ~ 굳 ~~ 

항상 엄지 척 ! 치켜 세울 수 있는 씨헌터호 되도록 노력하겠습니다 


예약 및 문의는 언제든 편하게 연락주세요 

010-9666-3772 (선장 김 수영 )


, , , , , , , ,

0 댓글
포토 제목
 
 

인낚 최신글


인낚 최신댓글


온라인 문의 안내


월~금 : 9:00 ~ 18:00
토/일/공휴일 휴무
점심시간 : 12:00 ~ 13:00