![]() |
|
![]() |
![]() |
26 일 왕도다리 오전.오후 출조 자리여유가
낚시뚜에서 인낚으로 보내는 자동조황
| |||||||||||||||||||
포항시프랜드호 문의 010-5391-0071 포항선상낚시 달인~! 언제든 찾아주세요. 영일만항 경북 포항시 북구 흥해읍 용한리 7-6 농협 302-063-118-9371 이영식
| |||||||||||||||||||
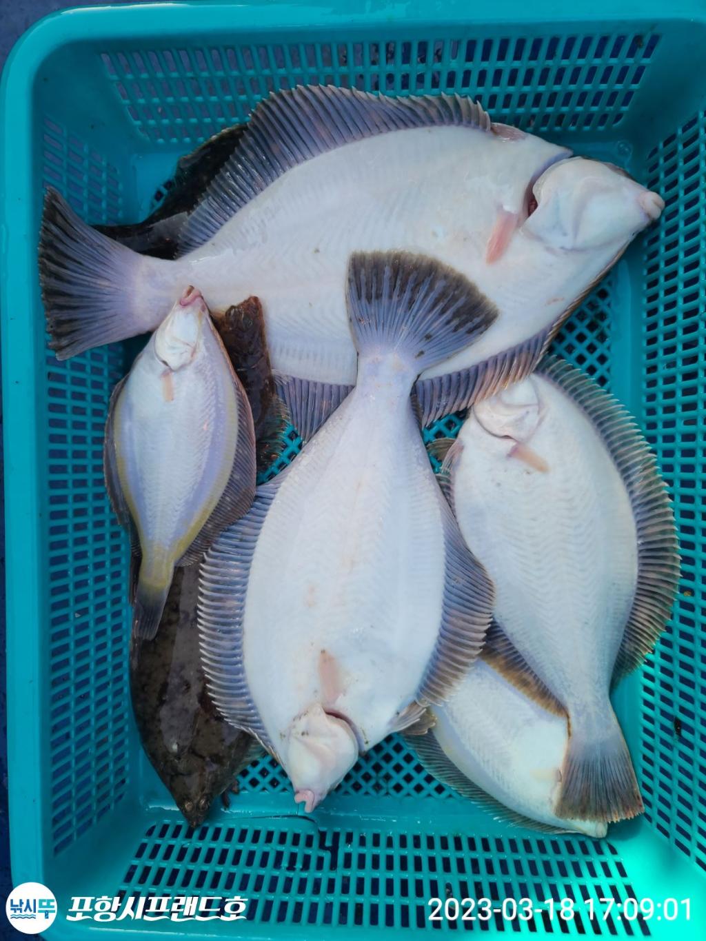
도다리.참가자미 포항영일만항 시프랜드호 선장 입니다 오늘/토요일 은 바다가 허락하지않은 관계로 쉬어갑니다~ 3월26 일요일 오전/오후 출조예약을 받고있습니다 오전7시출조 오후1시출조 (30분전에 승선하여주세요) 다음주 출조일정 3.27 월요일 ㅡ10시출조 3.28 화요일 ㅡ10시출조 3 29 수요일 ㅡ10시출조 3.30 목요일 ㅡ10시출조 3.31 금요일 ㅡ10시출조 현제평일오전10출항이며> 당일 바다상황변화 에따라서 변경됄수있읍니다 ~~ 주말 ㅡ오전./오후 2회 주말 >오전 ㅡ7시/ 오후1시 (출항시간은 계절및기상상황에 따라 변경 될수있읍니다 봄도다리출조 가 본격적 시즌돌입~~ 기상조건만 잘마추면 씨알과.마리수로 쿨러를 채울수있는 요즘시즌 입니다 저희 시프랜드호 오시면 후회없는 출조가 돼겠끔 최선을다해. 드립니다 ■도다리.참가자미 ㅡ6만 (평일 독배 문의해주시면 경북권 에서 최저가예 모셔드리겠읍니다) 시프랜드호 유트브에서보기 ■ 도다리 선상낚시는 가볍게오세요 ■ 6만의 즐거움을 시프호에서 가져가세요 ♤채비.미끼 모두 제공해 드립니다 ♤미끼는 부족함없이 제공해 드립니다(1인1대 기준) (낚시대 없으면 대여₩5000원이면 끝!!) ■ 서비스품목: 채비. 미끼 장갑. 생수.간편간식. ♤고기담는 쿨러에 얼음1~2정도 필수입니다~~ ■단체팀 가족팀 .개인초보님 연인커풀팀.추천 ■여성분및 초등 어린이도 손쉽잡을수있는 도다리 선상낚시. 체험과 추억만들기 에 선장이 적극 추천하면서. 많이 잡으시라고 지도 도해드립니다 ~~ 오시는길 네비ㅡ주소 영일만항 입력 또는 경북포항시 북구흥해읍 용한리7ㅡ6입니다. 도착후~(방파제낚시편의점및횟집상가)앞 넓은주차공간에 주차후~방파제 밑 그물 야적장밑으로진입 선단선착장으로오시면 정박지 입니다 방파제낚시편의점 쭉~~~ 지나서 들어오시면 시프랜드호 가 정박되어 있읍니다 010ㅡ5391ㅡ0071 ️ 주시면 빠른안내를 해드립니다 상세문의는 010ㅡ5391ㅡ0071 시프선장 입니다 | |||||||||||||||||||
![]() ![]() ![]() ![]() ![]() ![]() ![]() ![]() ![]() ![]() | |||||||||||||||||||
※입금되어야 예약확정이 됩니다
※기상악화 특보(태풍, 풍랑주의보등)시 전액 환불 ※기상특보 상황 외에도 낚시 불가 판단시 환불해 드립니다! ※선내 주류 반입 불가입니다 ※주민등록증 필참 입니다~
※구명복 완비 ※간편조리실및 수세식화장실 완비
문의및예약
010-5391-0071 부재중일시 문자주시면 감사드립니다 !!
내비 주소 영일만항 경북포항시 북구흥해읍 용한리 7-6 도착후~ (방파제낚시편의점.및횟집상가) 앞 넓은주차공간에 주차후~ 방파제 밑 그물 야적장 밑으로진입 .. 선단선착장으로 오시면~~~ 시프랜드호 정박지 입니다
포항시프랜드호 문의 010-5391-0071
| |||||||||||||||||||
| |||||||||||||||||||
![]() |
|
|
|
|


















