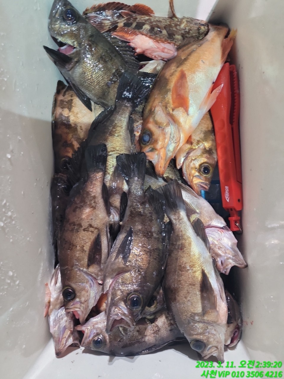
남해 (볼락 외줄낚시) 어초자리 퍽~퍽~사천VIP호(오후 4時)

신상품 소개


회원 랭킹


공지사항


NaverBand
점주/선장 > 선상(배) 조황
b_hot_activegloat_200x80.gif b_hot_innakmall_200x80_220704.jpg b_hot_ggsusan_hongeu_200x80.gif b_hot_innakmall_200x80_211203.gif

남해 (볼락 외줄낚시) 어초자리 퍽~퍽~사천VIP호(오후 4時)

사천vip 1 241
● 출항지 : 사천
11일 토요일 새벽철수, 사천 출발, 야간 밤볼락 외줄낚시 사천VIP호 조황입니다.
※ (사전 예약 실시) 5월 한치낚시 / 7월 11일 문어낚시 (주말 사전예약)
※ 남해권 최고의 자연 어초로 모십니다

☆11일(토) 오늘,야간 볼락 외줄낚시~오후 4시 출발 "예약가능"

남해권 낮 열기와 볼락 외줄낚시 전문출조점 사천VIP호입니다.
남해권 최고이 어초자리로 진입했습니다. 포인트마다 여건은
조금씩 달랐지만 굵은놈들 위주로 뽑으려 몇년간 진입하지 않은
생자리도 진입했고, 채비를 내리면 볼락 특유의 톡~톡~치는 입질에
조사님들 얼굴에 미소가 가득했습니다. 개인 마릿수 편차는 보이긴
 했지만 물색도 오늘은 나쁘지 않은 상황, 오늘 오후 4시에 출발합니다.
 예약자리 있습니다.

오늘 오후 4시, 11일 토요일 밤 볼락 외줄낚시 환상적인 기상과 물때
가 보입니다. 야간 볼락은 오후 4시 출발해 남해권 최고의 승율포인트
 어초 자리를 공략합니다. 11일부터 남해권 바다 기상상태 좋은 상황
, 최고 승율높은 어초자리로 모십니다.오늘도 늦은시간까지 사천VIP호
를 이용 해 주신 조사님 수고 많으셨습니다.

▣ 사천VIP호 밤볼락낚시 (외줄)일정 ▣
☆ 출조 일정 ▶ https://band.us/band/81479750/post/1592
☆11일(토요일) 야간 볼락 외줄낚시~오후 4시 출발 "예약가능"
☆12일(일요일) 기상악화 휴항.
☆13일(월요일) 기상악화 휴항.
☆14일(화요일) 야간 볼락 외줄낚시~오후 4시 출발 "예약가능"
☆15일(수요일) 야간 볼락 외줄낚시~오후 4시 출발 "예약가능"
- 밤 볼락낚시 주중, 주말 예약가능합니다.

사천VIP호 (예약) 선장 ☎ 010-3506-4216
밴드: https://band.us/@nyc602
(출항지) 경남 남해군 동부대로 2964번길 49-15

▧ 낮 열기 볼락 외줄 낚시 ▧
(출조시간) 아침 7시 출항 ~ 오후 4시 철수.
(야간) 오후 4시 출발.
(대상어) 열기, 볼락外 / 선비 13만원.
- 40리터 쿨러가 적당, 대장 쿨러는 자제 해 주십시요.

(승선시 준수 사항)
- 초보조사님 선장,사무장 1:1 티칭 지원합니다.
- 주말은 예약완료가 많아 미리 미리 예약 필수!!!.
- 공정한 추첨을 통해 자리 배정 원칙으로 운영, 5인 이상시, 일렬로 배정.
- 2일 연속 출조와 몸이 불편하신분에게도 지정석을 드립니다
- 상기 건 외에는 공평하게 추첨으로 진행됩니다.
- 예약문의는 전화번호 등록문제로 필히 유선으로 부탁드립니다.
: 문자로 성함, 출조일 예약, 인원 등을 알려주시면 예약 접수합니다.
- 입금시에만 예약 확정이 가능합니다. 필히 준수해 주십시요.

▧ 심해 갈치낚시 사천VIP호 출조 상품 ▧ 16석운영 (22인용)
(출조시간) 주중 승선명부, 자리추첨 12시 30분 출발
- 출조비 18만원.
- 시간을 철저히 준수해 주시길 바랍니다.

(기본 지참물)
칼, 가위, 바늘, 집어등, 기둥줄, 목장갑
- 준비 못하신 분들은 사천VIP 사무실에서 구입 가능.
- 낮밤에 기온차가 심하므로 여벌에 옷 꼭 준비해 오십시요.
- 장비 대여비용 3만원
: 전동릴,갈치대,아이스박스,스티로폼박스 세트 제공.
: 파손시 실비 제공.

사천VIP호 (예약) 선장 ☎ 010-3506-4216
밴드: https://band.us/@nyc602
(출항지) 경남 남해군 동부대로 2964번길 49-15
- 예약계좌 : 수협 2020-4363-9271 예금주(노영철)

, , , , , , , , , , , , , , , , , , , , ,

1 댓글
사천vip 23-03-11 08:35 0  
11일 토요일 밤볼락 외줄낚시 예약가능합니다. 감사합니다.
포토 제목
 
 

인낚 최신글


인낚 최신댓글


온라인 문의 안내


월~금 : 9:00 ~ 18:00
토/일/공휴일 휴무
점심시간 : 12:00 ~ 13:00