금일 감성돔조황입니다(1/1 선비 할인)

신상품 소개


회원 랭킹


공지사항


NaverBand
점주/선장 > 선상(배) 조황
b_hot_activegloat_200x80.gif b_hot_innakmall_200x80_220704.jpg b_hot_ggsusan_hongeu_200x80.gif b_hot_innakmall_200x80_211203.gif

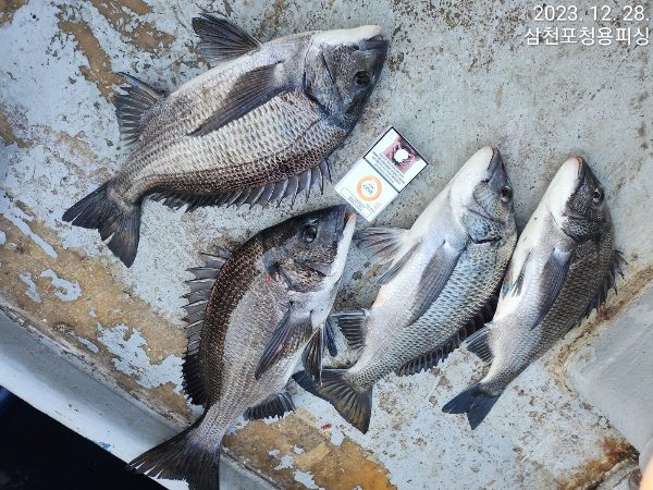
금일 감성돔조황입니다(1/1 선비 할인)

삼천포뉴청용피싱2호 0 179
● 출항지 : 사천
금일 감성돔 다녀왔습니다
씨알이 작은 감성돔은 빼고
4짜,5짜 사진입니다 매일 출조합니다
감성돔 가실 조사님 계시면 문의주세요!
그리고 1/1 문&쭈 출조 예약중입니다
몇자리 남아있습니다
선비 할인중이니 전화부탁드립니다
감사합니다!

IMG_1114.jpeg


IMG_1115.jpeg


IMG_1116.jpeg
 




*** 삼천포 청용피싱 예약안내 ***


예약문의 : 010-7593-0150

오시는길 : 경남 사천시 팔포3길 56-45

홈페이지 : http://cyfishing.sunsang24.com/


모바일.gif 

blank.png1


0 댓글
포토 제목
 
 

인낚 최신글


인낚 최신댓글


온라인 문의 안내


월~금 : 9:00 ~ 18:00
토/일/공휴일 휴무
점심시간 : 12:00 ~ 13:00