해상월ᆢ감성돔 조황임니다!!(예약가능)





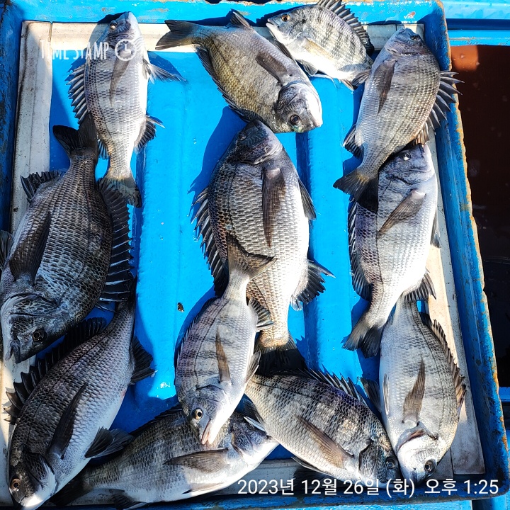
안녕하세요 ㆍ오늘은 한분과 함께 했음니다 ㆍ34 31로 마릿수 실패했읍니다 ㆍ한마리 방생급은 바로 방생하고
2마리로 마무리했읍니다 ㆍ
같이하신분 수고하셨고 감사합니다
출조문의: 010 4561 6566
진동내만 ㅡ 종일낚시 9만
가조ㆍ당동 ㆍ죽림 ㅡ10만
한산권 ㆍ거가대교권 ㅡ11만
식사 생수 커피 음료 밑밥 미끼제공 ㆍ
선착장: 창원시 진동면 광암항 또는
창원 서부수협 ㆍ치시면 됩니다
출항 ㅡ오전 5시 30분
입항ㅡ 오후 1시 전후. 독배시 시간조절 가능
입금계좌: 경남은행 603 22 008 0180 장진호
밴드: 해상월 선상낚시 검색
밴드가입시: 빠른 조황및 작은 이벤트 진행중이니
이름 출생년도 지역 꼭 부탁드려요
밴드주소 https://band.us/n/a6a06dmesfM2O
예약은 미리미리 해주세요(독배환영)
예약시 선입금 원칙입니다ㆍ
감사합니다
29일 ㅡ한분예약중 ㅡ다섯자리 예약가능
30일 ㅡ예약가능
31일 ㅡ예약가능
1일 ㅡ예약가능
이후 ㅡ예약가능 합니다