![]() |
|
![]() |
![]() |
안녕하세요 진우피싱 선장입니다 •‿•
갑오징어, 쭈꾸미, 문어, 감성돔, 생활낚시 전문 배낚시입니다.
** 5시 30분까지 도착, 6시 출항 합니다 **
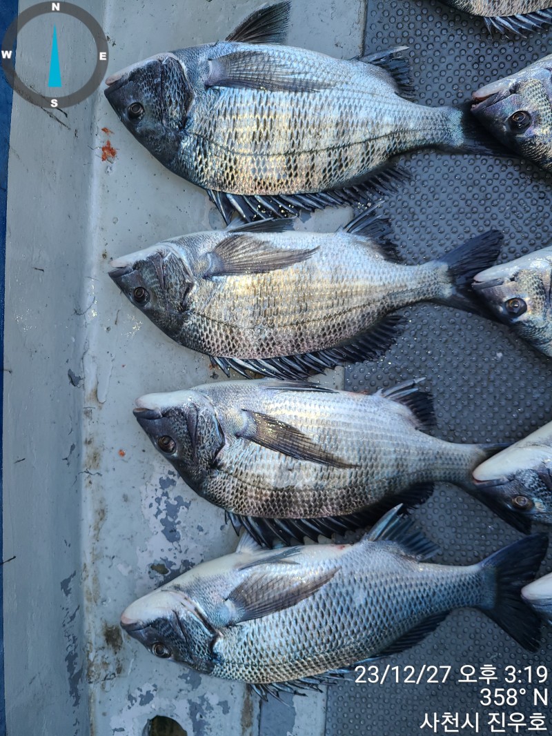
27일 감성동 조업 다녀온 조황입니다.
내일도 잠시 감성돔 달립니다•‿ •
ෆ 초보자도 대환영 입니다 ෆ
남녀 누구나 안전하고 편하게 낚시 할수있도록 진우피싱이 새롭게 단장했습니다 •‿•
(깨끗한 수세식 화장실 완비)
** 점심식사 도시락 및 라면 제공합니다 **
* 코로나19로 인해 마스크 착용 부탁드립니다 •‿•
( 손소독제는 배에 비치되어 있습니다.)
* 돌문어 채비 : 추 (30호만 사용), 양도래 (3호), 왕눈이 (색깔별-10세트 기준)
합사 3호 8합사 & 4호합사 사용
* ' 선입금 ' 순으로 예약 됩니다 *
* 날짜ㆍ장소ㆍ시간 확실히 지킵시다 *
* 단 한분의 조사님도 출조 합니다!
한번 맺은 인연을 소중히 여겨 한분 한분 정성과 신뢰로 모시겠습니다.
* 진우피싱를 믿고 찾아주시면 친절히 모시겠습니다.
* 초보자도 쉽게 잡을 수 있도록 도와드립니다! 걱정하지 마시고 오세요 ~~
* 싱싱하게 살려갈 수 있는 해수펌프 설치되어 있습니다 •‿•
* 낚시대 & 릴 무상대여 해드립니다 ~^^
* 비상약 ( 두통약, 소화제 ) 구비되어있습니다.
-----------------------------------------------------------------
♡ 예약 & 출조 문의
☎ (진우피싱 선장) 010 . 8687. 5278
♡ 네비주소 : 사천시 팔포 3길 56-45번지 (동금동)
삼천포 팔포항 해양경찰 앞
♡ 출조시간 * 평일 : 6시까지 도착
* 주말 : 6시까지 도착
→ 평일 & 공휴일 시간적 여유를 위해 1항차 합니다 •‿•
→ 예약은 미리미리 해주시면 감사하겠습니다 •‿•
♡ ' 진우피싱밴드 '에 초대합니다 → https://band.us/n/a0abX8YcR7bd5
* 밴드에 들어간 후 왼쪽 상단 돋보기 모양 클릭
→ 진우피싱 검색 → 가입하기
* 밴드가입 시, 이름 / 살고있는 지역 / 출생년도 필수 기재 후 가입 가능합니다.
(ex. 홍길동 / 경남 사천 / 71년생)
♡ 선상 낚시 안내
* 승선인원 : 12명 (선장포함)
* 예약입금 계좌 : 농협 845084-56-005741 (예금주) 서명덕
* 선비 : 1인 7만원 (오전)
* 종일예약은 미리 말씀 해 주세요.
* 독배 예약은 선장과 상의 후 결정하시길 바랍니다.
♡ 출조시 유의사항
* 구명조끼 미착용 시 100만원 벌금 부과
→ 개인용 들고오세요 ~
→ 없으신분들은 선내에 비치되어 있으니 걱정하지 않으셔도 됩니다.
** 도시락 제공합니다 **
→ 생수, 커피, 음료 등
* 선내 음주 절대 금지
* 승선 시 신분증 필수 지참!
|
|
|
|










