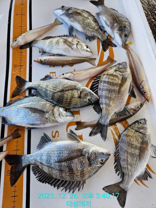
감성돔흘.카 54/52/50/45~마릿수외 조황

신상품 소개


회원 랭킹


공지사항


NaverBand
점주/선장 > 선상(배) 조황
b_hot_activegloat_200x80.gif b_hot_innakmall_200x80_220704.jpg b_hot_ggsusan_hongeu_200x80.gif b_hot_innakmall_200x80_211203.gif

감성돔흘.카 54/52/50/45~마릿수외 조황

태성레저 0 342
● 출항지 : 통영
507c0f0c8fdf8351de1d9b8df1c2cc42.jpg

20231226_141058.jpg


20231226_162541.jpg


20231226_141211.jpg


20231226_144731.jpg


20231226_141003.jpg


20231226_162446.jpg


20231226_152612.jpg


20231226_162927.jpg


20231226_152849.jpg


20231226_154017.jpg


20231226_153245.jpg


20231226_145404.jpg


20231226_162109.jpg


20231226_162713.jpg


20231226_153014.jpg


20231226_144504.jpg




BandPhoto_2023_03_05_00_21_27.jpg


4.jpg

6.jpg


===== 태성레저 선외기 예약안내 ======

안녕하세요!
통영 풍화리 [야마하 30마력 유압식 핸들]을 자랑하는
태성레저입니다.
※ 예약은 전화로 받습니다. ※
(사장님과 통화 후 문자로 안내해드립니다.)

※필수 사항입니다.※
1.선내 주류 절대 반입 금지입니다.
2, 구명동의는 필수입니다.
(빠지면 구조하러 가는 사이 가십니다 ㅠㅠ 대여 가능합니다.)
3. 영업 구역 내(2해리 /3.704 km)에서만 낚시 하실 수 있습니다.
(영업 구역 위반하시면 절대 안됩니다! 꼭 지켜주세요~)

※낚싯대 대여는 소량 가능하나 사용하실 때 조심히 사용하세요※
(내 것 같이 소중히 다뤄주세요.^^)

※선내에서 재활용과 쓰레기는 함께 넣지 마세요※
(쓰레기는 봉투에 넣어주시고 재활용 가능한 것은 한 곳에 모아두시면 감사하겠습니다)

※선외기 운전 시 초보 분들은 살살 다뤄주세요.※
(과속하시면 안되구요. 파손 시 본인 부담입니다.)

※선외기 낚시를 처음 접하시는 분은 낚시 관련 유튜브 시청도 도움이 되실 것 같습니다.※

먼길 찾아주시는 조사님들을 위해 항상 최선을 다하겠습니다. 

■ 예약문의 : 
010-4127-1314
오후 9시부터 새벽 5시까지 예약문의는 문자로 부탁드립니다)

■ 오시는길 : 경남 통영시 산양읍 풍화일주로 208

■ 태성레저 밴드 바로가기 : https://band.us/band/81340313 

■ 태성레저 실시간 예약 바로가기 :
http://ts.sunsang24.com/

■ 계좌안내 :
 국민은행 / 854701-01-532935 / 지성용

조황카드.gif



blank.png1

 

0 댓글
포토 제목
 
 

인낚 최신글


인낚 최신댓글


온라인 문의 안내


월~금 : 9:00 ~ 18:00
토/일/공휴일 휴무
점심시간 : 12:00 ~ 13:00