하동 금남 피싱호 감성돔 흘림조황 입니다

신상품 소개


회원 랭킹


공지사항


NaverBand
점주/선장 > 선상(배) 조황
b_hot_activegloat_200x80.gif b_hot_innakmall_200x80_220704.jpg b_hot_ggsusan_hongeu_200x80.gif b_hot_innakmall_200x80_211203.gif

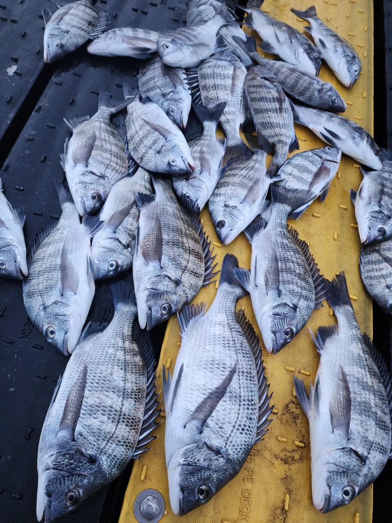
하동 금남 피싱호 감성돔 흘림조황 입니다

하동피싱호 0 439
● 출항지 : 남해

cc71fba7f8dcca77b022157159c27ec3_1703472775_0931.jpg

토요일 야간 일요일 새벽0시출조 모둠 조황입니다 토요일 3분 

일요일 2분 모시고 다녀왔습니다 마릿수는 엄청 싸이즈가 아쉽네요 

착아도 손맛은 역시 감성돔 손맛 그리우신분 연락주세요 

피싱호는 주말에만 출조합니다 이번주는 토요일 야간 오후5시출조 

일요일 새벽0시 출조합니다  연락처 010 4850 1644 

cc71fba7f8dcca77b022157159c27ec3_1703472776_5561.jpg



cc71fba7f8dcca77b022157159c27ec3_1703472777_8279.jpg



cc71fba7f8dcca77b022157159c27ec3_1703472779_2134.jpg



cc71fba7f8dcca77b022157159c27ec3_1703472780_6736.jpg



cc71fba7f8dcca77b022157159c27ec3_1703472782_0602.jpg



 

0 댓글
포토 제목
 
 

인낚 최신글


인낚 최신댓글


온라인 문의 안내


월~금 : 9:00 ~ 18:00
토/일/공휴일 휴무
점심시간 : 12:00 ~ 13:00