감성돔(대박) 어초여밭 50 47 404짜급외 마리수~야호 핫조황 (10일 선단 예약)

신상품 소개


회원 랭킹


공지사항


NaverBand
점주/선장 > 선상(배) 조황
b_hot_activegloat_200x80.gif b_hot_innakmall_200x80_220704.jpg b_hot_ggsusan_hongeu_200x80.gif b_hot_innakmall_200x80_211203.gif

감성돔(대박) 어초여밭 50 47 404짜급외 마리수~야호 핫조황 (10일 선단 예약)

거제야호 1 214
● 출항지 : 거제
9일(토) 거제 아지랑 출발, 거제도 감성돔 흘림낚시 "야호" (마감) 조황입니다.
※ 참돔/부시리 원도권 출조는 독배 예약시 수시로 출조됩니다.

☆ 10일(일요일) 완료(선단 예약 가능)
(☆ 10일 5물, 만조 06:53 / 간조 12:50)
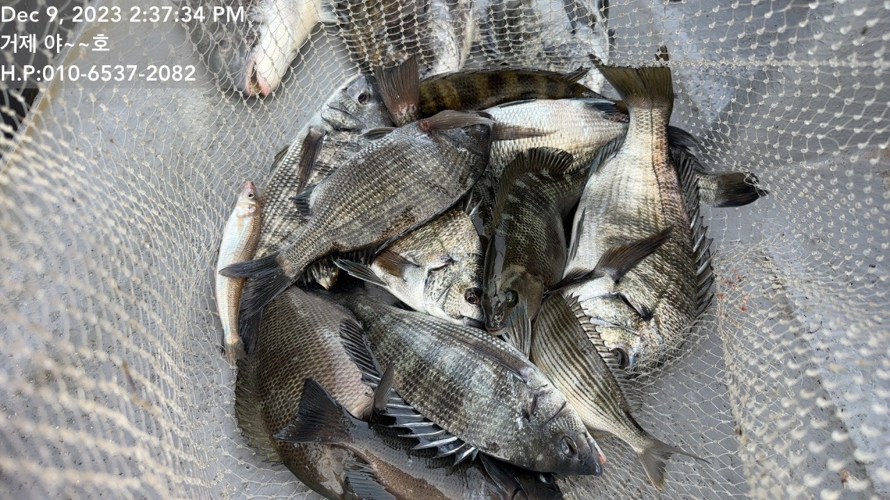
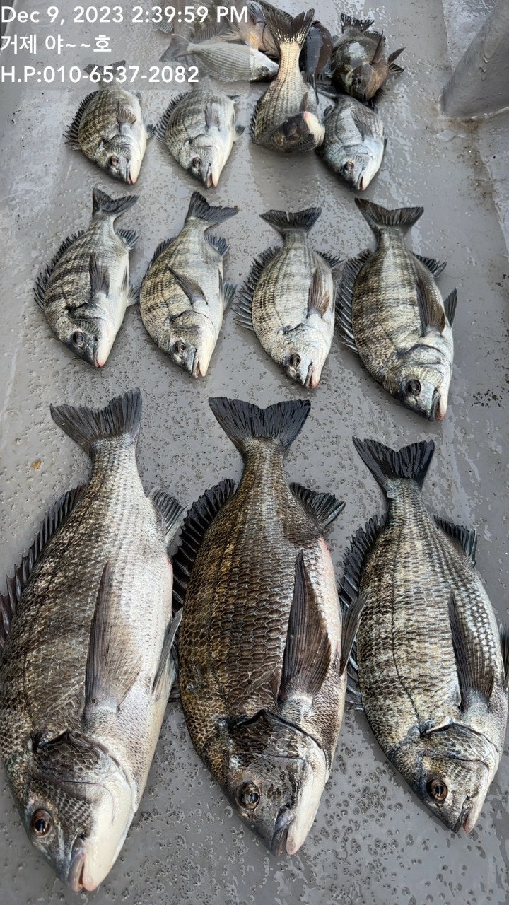
어초여밭 대박 감성돔 50 47 40 4짜급들 쏟아져~

야호 5짜,4짜,4짜,4짜급 외 중치급 감성돔 어초, 여밭 조황입니다.
드디어 시즌 첫 5짜 대물이 나왔습니다. 50,47,40,39cm놈들!! 이번 초반 대물
시즌 첫 5짜가 올라 왔습니다. 한동안 오진놈들 터지고 빠지기만하다
오늘 드디어 뜰채에 담을 수 있었습니다.

이외에 대형급 3마리는 도망가 버렸지만, 새벽부터 엄청나게 높은 너울은 죽을
생각을 안하고 하루 종일 꿀렁 꿀렁 ㅠㅠ 선장도 멀미하기 직전까지 갔습니다.
내일도 열심히 달려 보겠습니다.
오늘도 거제 야호를 이용 해 주신 조사님 수고 많으셨습니다.

▣야호(YAHO) 출조 일정 안내 ▣
※ 직영선단에서는 매일 참돔 먼바다 출조와 내만 감성동낚시를 운영.
☆ 12월10일(일요일) 완료 (선단 예약 가능)
☆ 12월11일(월요일) 거제도 감성돔낚시 "예약 가능"
☆ 12월12일(화요일) 거제도 감성돔낚시 "예약 가능"
☆ 12월13일(수요일) 거제도 감성돔낚시 "예약 가능"
※ 주말 공휴일은 미리 미리 예약을 해 주시길 바랍니다.
※ 낚시장비가 필요하신 분들은 임대 해 드립니다. 예약시 꼭 알려 주세요.

▦ 거제 야호 ☎ 예약문의☎ 010-6537-2082
ㅁ선상낚시 (민박) 문의 : ☎ 010-6400-2082 / ☎010-4547-3937
ㅁ선외기 문의 : ☎ 010-6400-2082
(출항지) 거제시 거제면 법동리 1074번지 아지랑경로당 방파제
ㅁ 거제 야호 밴드 : https://band.us/@yahoboat
■ 감성돔 낚시 (어장/어초/여밭)
한나절: 새벽부터~2시까지/ 10만원
오 전: 새벽부터~11시까지/ 7만원 / 오 후: 1시부터~해거름까지/ 7만원
※독배는 시간 조정 가능합니다.
- 어장어초 등에서 포인트가 이루어지기에 어장줄로 달릴 경우 목줄이나
원줄이터질 확률이 높아집니다. 목줄 호수를 여유있게 준비하세요.

■ 참돔 흘림낚시 (중장거리 출조)
※ 참돔/부시리 원도권 출조는 독배 예약시 수시로 출조됩니다.
한나절:새벽부터 ~ 2시까지(유동적) 13만원
- 밑밥,미끼,도시락 제공, 커피, 음료, 생수 제공
(낚싯대) 기본 1.5호~2호대 530(경질대 선호)
(릴) 4000번~6000번. 권사량 150~200미터 추천되는 스피닝릴.
(라인) 원줄 4~6호 플로팅 세미타입, 목줄 후로로카본 100% 4호~6호 선호.
(바늘) 참돔 8~12호, 큐션또는 수중큐션 -2B ~ -5B, 좁쌀봉돌, 스위벨도래
※독배는 시간 조정 가능합니다.

▣ 생활낚시 & 낚시체험 ▣
- 몸만 오시면 됩니다.
- 낚싯대, 장비일절제공, 구명복 제공

■ 주변 제휴 민박집 ■
아지랑 민박(단체-독채) ☎010-6400-2082
해송굴구이민박 (단체) ☎010-2545-3755
거제 대어낚시 주변 파라스파찜질방 검색하시면 됩니다.

▦ 거제 야호 ☎ 예약문의☎ 010-6537-2082
ㅁ선상낚시 (민박) 문의 : ☎ 010-6400-2082 / ☎010-4547-3937
※ (오전 6시부터 12시까지 010-6400-2082로 예약 바랍니다)
ㅁ선외기 문의 : ☎ 010-6400-2082
ㅁ 거제 야호 밴드 : https://band.us/@yahoboat
(출항지) 거제시 거제면 법동리 1074번지 "아지랑경로당 방파제" 출발.
(사무실) 거제시 거제면 서정리 746-3(GS25시편의점)검색하시면 바로 옆 위치

, , , , , , , , , , , , , , , , , , ,

1 댓글
거제야호 23-12-09 15:57 0  
10일 선단 감성돔낚시 예약 가능합니다.감사합니다.
포토 제목
 
 

인낚 최신글


인낚 최신댓글


온라인 문의 안내


월~금 : 9:00 ~ 18:00
토/일/공휴일 휴무
점심시간 : 12:00 ~ 13:00