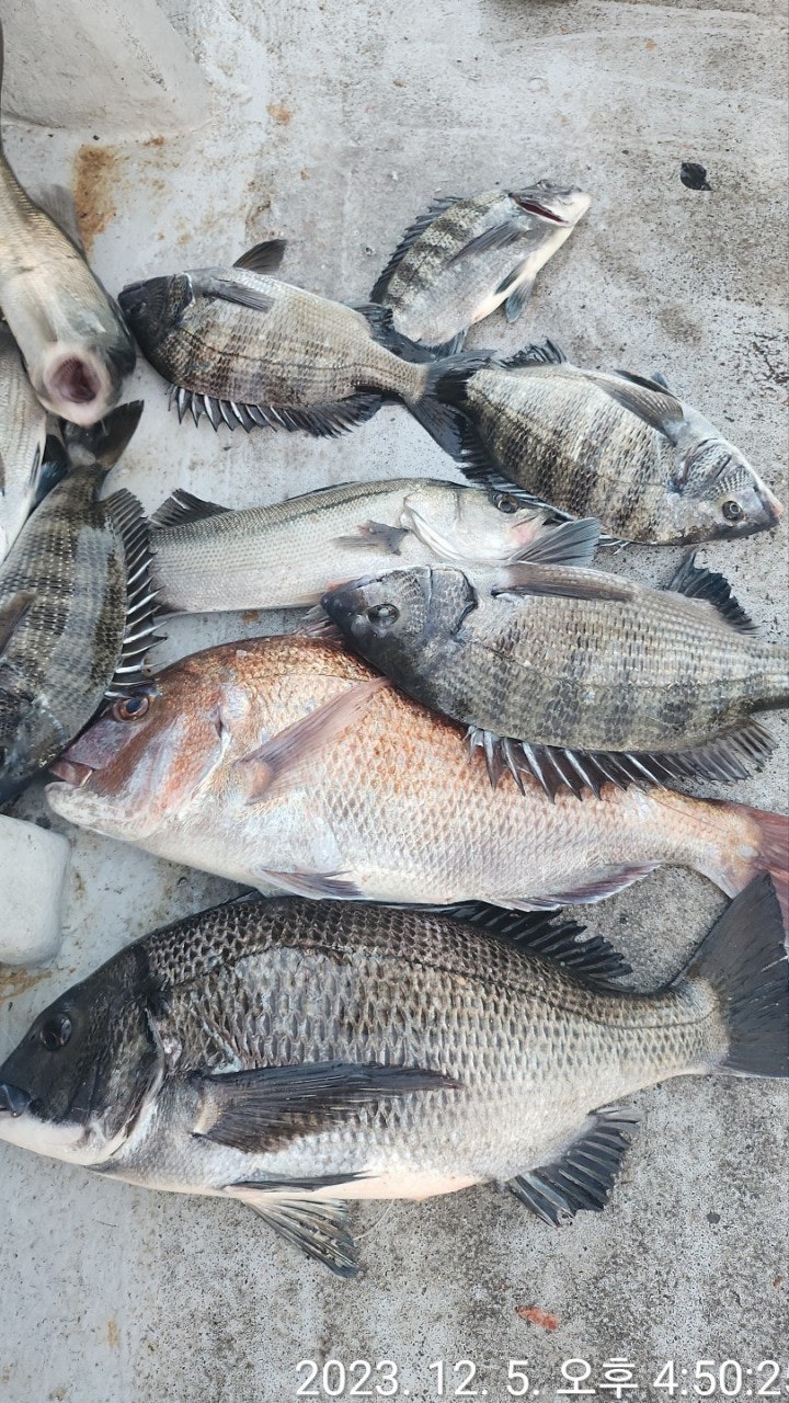
감성돔(자연어초)大物 55Cm 45Cm 참돔 6짜외~고성베이호 조황(7일 예약)

신상품 소개


회원 랭킹


공지사항


NaverBand
점주/선장 > 선상(배) 조황
b_hot_activegloat_200x80.gif b_hot_innakmall_200x80_220704.jpg b_hot_ggsusan_hongeu_200x80.gif b_hot_innakmall_200x80_211203.gif

감성돔(자연어초)大物 55Cm 45Cm 참돔 6짜외~고성베이호 조황(7일 예약)

고성베이호 1 334
● 출항지 : 고성
5일(화)고성출발, 大物 감성돔낚시 자연어초 여밭 전문 "고성베이호" 조황입니다
※ 승율 9할 이상의 대물 격전지 - 수중어초 여밭으로 모십니다.

★ 7일(목) 오전 8시, 어초 여밭 대물 감성돔낚시 "예약가능"
고성 베이호는 자연 어초 여밭 전문 흘림낚시만 운영!!!
※ 고성베이호는 카고낚시 절대 사절~어장낚시 사절합니다.
감성돔(자연어초)大物 55Cm 45Cm 참돔 6짜외~

대형급 제압 필수, 한호수 더 강하게 채비 준비!!!
역시, 12월의 자연어초는 남다름을 볼 수 있었던 출조,
어제는 초대물 감성돔 55센티와 대물급 45센티를 비롯한 원줄을 사정없이
끌고간 참돔 6짜외 4방의 터트림이 있으면서 마리수 손맛으로 출조를
마감했습니다. 이제 고기가 싶으면 초반, 강제 집행이 필수인 시기입니다.
대물사냥 본격 시작합니다.

오전 8시 출발해서 물때에 맞추어 다양한 어초 포인트를 공략하고, 대
감성돔이 많이 진입한 상황이라 채비 튼튼히 준비하시길 바랍니다.
고성베이호를 찾아 주신 조사님 수고 많으셨습니다.

▣ 자연 어초 大物감성돔 선상 흘림낚시 일정 ▣
★7일(목요일) 오전 8시 출발, 어초 여밭 대물 감성돔낚시 "예약가능"
★8일(금요일) 오전 8시 출발, 어초 여밭 대물 감성돔낚시 "예약가능"
​​​​​​​★9일(토요일) 오전 8시 출발, 어초 여밭 대물 감성돔낚시 "예약가능"
※ 주중, 주말 예약 가능합니다.

■ 고성 베이호 ☎010 4598 1782
■ 출항지 : 고성군 삼산면 두포리177-16 블루웨일 글램핑內
▣ 감성돔/참돔낚시 자연어초 여밭포인트 공략 ▣
1) (출항) 오전 7시 출발, 오후 3시경 (유동적)
2) 출조지역: 사량도(추도권)
원도권역 : 욕지도, 좌사리도, 갈도권 선비 12만원.
3) 밑밥, 미끼, 도시락 제공
- 커피, 생수,음료 등은 상시 비치되어 있습니다.

▣ 아지카(AJIKA)라인 특별시상 ▣
- 낚시줄회사 아지카(AJIKA)라인에서 감성돔 55Cm이상
최상급라인 "구레스페셜"원줄 증정(배송비 무료)합니다.

■ 고성 베이호 ☎010 4598 1782
■ 출항지 : 고성군 삼산면 두포리177-16 블루웨일 글램핑內
■ 밴드 : https://band.us/@bayho
■블로그 : https://blog.naver.com/bayfishing

, , , , , , , , , , , , , , , , , , ,

1 댓글
고성베이호 23-12-06 10:27 0  
7일 대물 감성돔 흘림낚시 예약 가능합니다. 감사합니다.
포토 제목
 
 

인낚 최신글


인낚 최신댓글


온라인 문의 안내


월~금 : 9:00 ~ 18:00
토/일/공휴일 휴무
점심시간 : 12:00 ~ 13:00