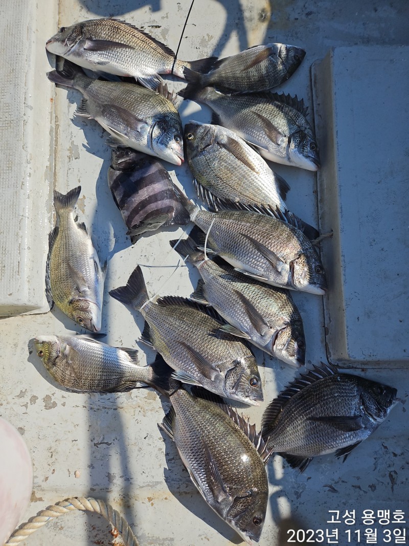
어초 씨알이 점점 좋아지네요.

신상품 소개


회원 랭킹


공지사항


NaverBand
점주/선장 > 선상(배) 조황
b_hot_activegloat_200x80.gif b_hot_innakmall_200x80_220704.jpg b_hot_ggsusan_hongeu_200x80.gif b_hot_innakmall_200x80_211203.gif

어초 씨알이 점점 좋아지네요.

고성용맹호 0 256
● 출항지 : 고성

4acbed354e4750856a04438456bc4fc5_1698996621_0346.jpg



4acbed354e4750856a04438456bc4fc5_1698996622_6745.jpg



4acbed354e4750856a04438456bc4fc5_1698996624_1759.jpg



 

                    안녕하십니까.

       고성동화마을 용맹호 입니다.

@@ 참돔 @@

@@감성돔@@

사량도 어초 감성돔 마릿수 조황은

이어 집니다.

씨알도 점점 좋아지네요^^


아직 대물급은 안나와도 4짜 3짜중후반

잔챙이 다양한 사이즈로 손맛 보실수 있을꺼라 봅니다.


손맛 좋고 눈맛 좋고 입맛까지 

좋은 감생이 잡으러 오세요.


씨알 좋은 감성돔들이 

사량도로 붙었습니다.


평일은 자리 널널 합니다.

날씨만 허락한다면 쭉~ 정상 출항 합니다.


함께 사량도 감성돔 잡으러 가시죠.


출조 계획 있으신 조사님들

 전화 주십시요.^^

내일은 오늘보다 좋을꺼라

기대해 봅니다.

용맹호는

 사량도 어초로 달립니다.


지금 시기부터 대물 노리기 좋습니다.

용맹호와 함께 하시죠.


대물 감생이 잡으러 오세용~~~


담주 월요일부터 자리 널널 합니다.

쭉~~~정상 출항 합니다. 

함께 하실 조사님 연락 주십시요.


많은 관심 부탁드립니다.


흘림은 6분만 모십니다.

널널 하게 낚시를

즐길수 있습니다.

언제든 전화 주십시요.


###감성돔,참돔선비###

사량도권(감성돔)10만원(밑밥미끼포함)

나무여(참돔) 12만원(밑밥ㆍ미끼포함)

욕지권(참돔) 13만원(밑밥ㆍ미끼포함)


~~~예약 현황~~~ 


평일 쭉~~ 예약 받습니다.


토요일(4일)예약 완료


일요일(5일) 예약 완료


(평일 자리 널널합니다.)


주말이나 연휴때는 조금 빠르게

예약 부탁드립니다.

많은 관심 부탁드립니다.


 ##돌문어선비##

주간ㆍ야간    7만원   입니다.

종일낚시  11만원 입니다.


@@음료ㆍ생수ㆍ캔커피 제공@@

@@식사는 간단히 라면ㆍ김밥 제공@@


##준비물##

궁금하실땐

선장폰으로 전화 주세용~~


    입금후 바로 예약 완료 됩니다.^^  


##입금 계좌##

 경남 은행  (김옥수)

523~21~0229889

   

#####출조 문의#####

선장폰:010~5390~9008

문자 보다는 전화 주십시요.


#용맹호는 3톤으로 선장포함 9명 탑승#

       널널하게 낚시 하실수 있습니다.


  #출조 계획있는 조사님들은 빠른 연락 기다립니다

       ##신분증 지참ㆍ구명복은 필수##

             선내 주류 반입금지


  ####네비주소####

     고성군 하일면 동화1길 192-37


@밴드에 가입 하시면 빠른 조황 확인가능합니다.

고성 용맹호로 검색하셔도 됩니다.


       https://band.us/band/



              



 



 





 

고성동화마을 용맹호


 


 


 


 



0 댓글
포토 제목
 
 

인낚 최신글


인낚 최신댓글


온라인 문의 안내


월~금 : 9:00 ~ 18:00
토/일/공휴일 휴무
점심시간 : 12:00 ~ 13:00