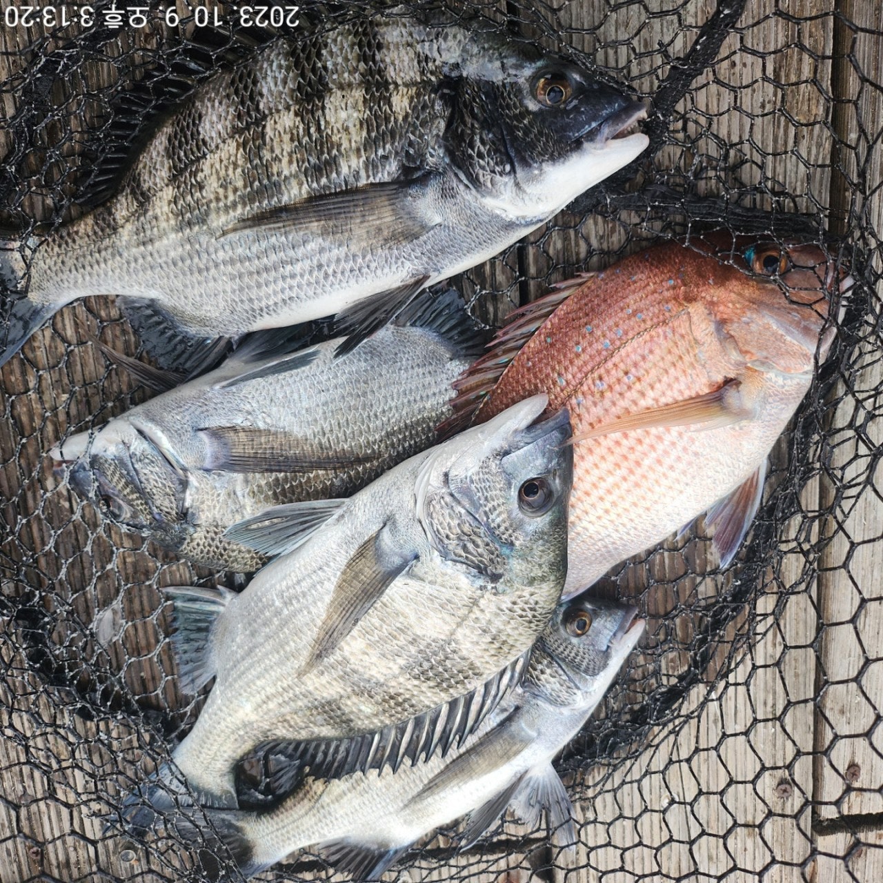
감성돔(어초여밭) 대물 총소리 진동합니다~고성베이호 조황 (15일 예약)

신상품 소개


회원 랭킹


공지사항


NaverBand
점주/선장 > 선상(배) 조황
b_hot_activegloat_200x80.gif b_hot_innakmall_200x80_220704.jpg b_hot_ggsusan_hongeu_200x80.gif b_hot_innakmall_200x80_211203.gif

감성돔(어초여밭) 대물 총소리 진동합니다~고성베이호 조황 (15일 예약)

고성베이호 1 292
● 출항지 : 고성
13일(금)고성출발, 大物 감성돔낚시 어초 여밭 "고성베이호" 마감 조황입니다.
※ 승율 9할 이상의 대물 격전지 - 원도권 수중어초로 모십니다.

★ 15일(일요일) 오전 7시 출발, 어초 여밭 대물 참돔 감성돔낚시 "예약가능"
욕지도(원도권)어초여밭 5방팅~ 굵은 감성돔 손맛中

고성출발 대물감성돔 참돔 전문 자연어초 공략 전문, 고성 베이호입니다.
욕지도권 어초여밭에 대물들이 많이 진입한 것 같습니다. 버티다가
팅~드랙 쪼으다가 팅~브레이크잡다 팅~ 감당이 안될 정도의 굵은
사이즈들은 총소리만 진동시켰고, 4짜들과 4짜급들만으로만 얼굴을
보고 철수했습니다. 채비 튼튼히 준비해야 할 것 같습니다.

어초여밭 참돔 대물과 감성돔 대물을 노리러 내일 출동합니다. 오전
7시 출발, 물때에 맞추어 어초여밭으로 진입합니다. 고성 베이호를
이용 해 주신 조사님 수고 많으셧습니다.

▣ 자연 어초 大物감성돔 선상 흘림낚시 일정 ▣
★ 15일(일요일) 오전 7시 출발, 어초 여밭 대물 참돔 감성돔낚시 "예약가능"
※ 주중, 주말 예약 가능합니다.

■ 고성 베이호 ☎010 4598 1782
■ 출항지 : 고성군 삼산면 두포리177-16 블루웨일 글램핑內

▣ 감성돔/참돔낚시 자연어초 여밭포인트 공략 ▣
1) (출항) 오전 7시 출발, 오후 3시경 (유동적)
2) 원도권역 : 욕지도, 좌사리도, 갈도권 선비 12만원.
3) 밑밥, 미끼, 도시락 제공
- 커피, 생수,음료 등은 상시 비치되어 있습니다.

▣ 아지카(AJIKA)라인 특별시상 ▣
- 낚시줄회사 아지카(AJIKA)라인에서 감성돔 55Cm이상
최상급라인 "구레스페셜"원줄 증정(배송비 무료)합니다.

■ 고성 베이호 ☎010 4598 1782
■ 출항지 : 고성군 삼산면 두포리177-16 블루웨일 글램핑內
■ 밴드 : https://band.us/@bayho
■블로그 : https://blog.naver.com/bayfishing

, , , , , , , , , , , , , , , , , , ,

1 댓글
고성베이호 23-10-14 17:13 0  
15일 참돔 감성돔 흘림낚시 예약 가능합니다. 감사합니다.
포토 제목
 
 

인낚 최신글


인낚 최신댓글


온라인 문의 안내


월~금 : 9:00 ~ 18:00
토/일/공휴일 휴무
점심시간 : 12:00 ~ 13:00