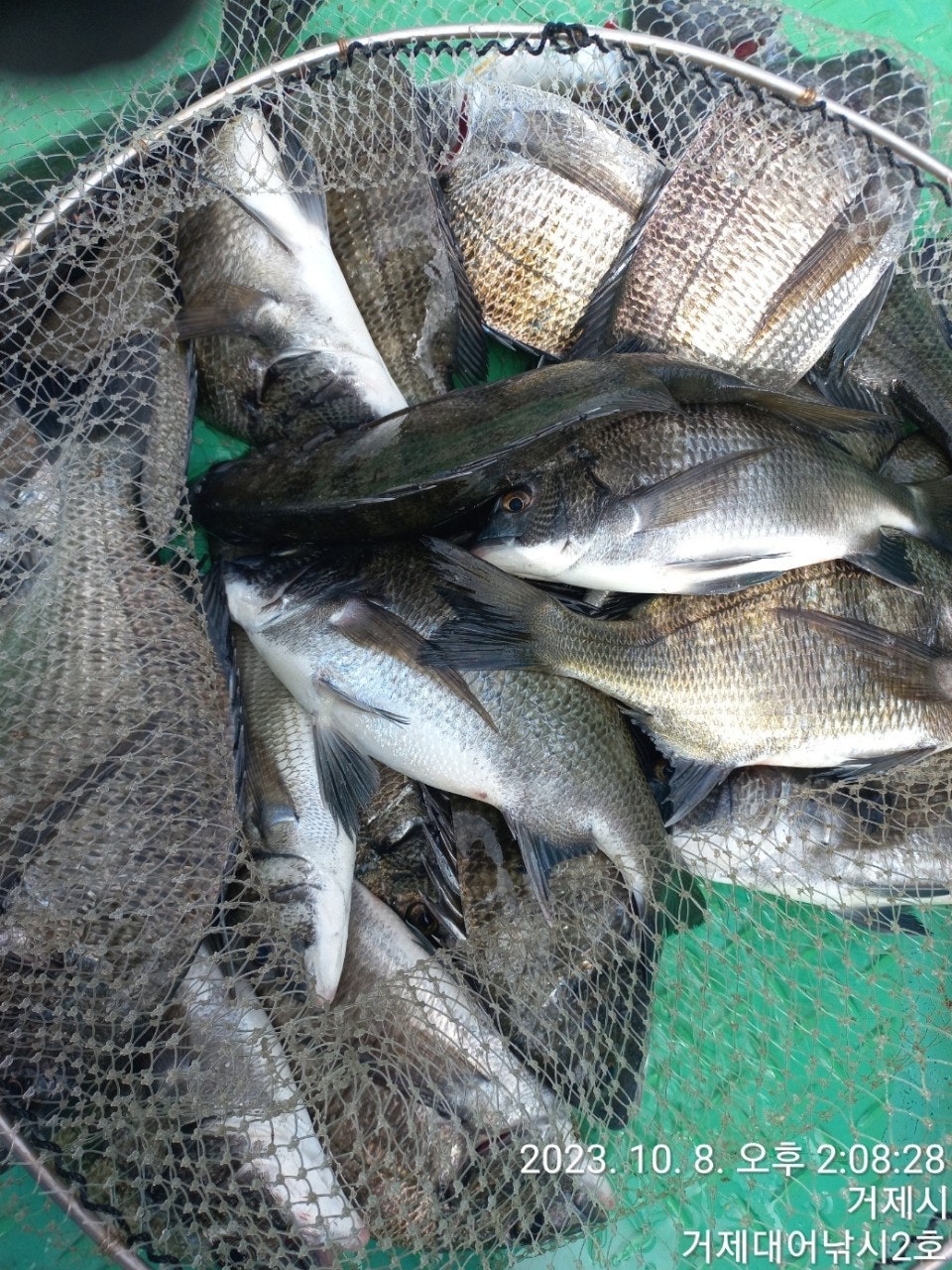
감성돔 4짜이하 마리수~엄청난 활성도~ 거제대어낚시2호 조황 (9일 예약)

신상품 소개


회원 랭킹


공지사항


NaverBand
점주/선장 > 선상(배) 조황
b_hot_activegloat_200x80.gif b_hot_innakmall_200x80_220704.jpg b_hot_ggsusan_hongeu_200x80.gif b_hot_innakmall_200x80_211203.gif

감성돔 4짜이하 마리수~엄청난 활성도~ 거제대어낚시2호 조황 (9일 예약)

거제대어낚시2호 1 235
● 출항지 : 거제
8일(일요일) 거제 원도권 참돔 감성돔 흘림 "거제대어낚시2호" 핫조황입니다.
※ 감성돔 50Cm이상, 참돔 65Cm이상 포획시 아지카 최고급 라인 증정.

★ 9일(월요일) 감성돔낚시/참돔낚시/선외기대여 "예약가능"
(☆ 9일 2물, 만조 05:56 / 간조 11:31)오전/오후낚시 2명 이상 상시 출조.
감성돔이 제대로 쏟아 집니다~
※ 감성돔 TIP- 챔질은 한박자 늦게 챔질~마리수가 달라 집니다~

내만 (감성돔낚시) 원도권(참돔낚시) 선외기대여~
25Cm이하 감성돔은 "캐치앤릴리즈"에 동참해 주십시요!!!
거제대어낚시2호, 감성돔 선상 흘림낚시 조황입니다.
많이도 터트리고 빠지면서도 빵좋은 감성돔 4짜이하 마리수로 찐하게
 손맛 즐기셨습니다. 오늘은 강한 바람속에서 펼쳐진 낚시라 함께하신
조사님들 정말 수고하셨습니다. 수일째 이어지는 거제권 좋은 활성도에
 내일도 마리수 도전합니다. 내일도 감성돔흘림 출조하고, 예약 가능합니다.

감성돔낚시는 오전낚시와 종일낚시를 선택해서 출조가 가능합니다.
거제 대어낚시에서는 전용 숙박(독채 펜션 운영)을 비롯한 원도권
참돔낚시와 내만권 감성돔낚시, 선외기 대여 모두 출조 가능하고,
예약 가능합니다. 오늘도 거제 대어낚시를 찾아 주신 조사님 수고
많으셨습니다.

▣ 거제대어낚시 참돔/감성돔낚시 일정 안내 ▣
감성돔(내만)/참돔 (먼바다)/선외기(어장 낚시) 전용선체제 운영.
★숙박+낚시배를 동시에 이용하고자 하는 분들은 할인혜택도 짱~짱~★
★ 10월 9일(월요일) 내만(감성돔) 참돔낚시 선외기대여 "예약가능"
★ 10월10일(화요일) 내만(감성돔) 참돔낚시 선외기대여 "예약가능"
★ 10월11일(수요일) 내만(감성돔) 참돔낚시 선외기대여 "예약가능
★ 10월12일(목요일) 내만(감성돔) 참돔낚시 선외기대여 "예약가능
★ 10월13일(금요일) 내만(감성돔) 참돔낚시 선외기대여 "예약가능
※ 좋은 포인트 선정을 위해 예약을 미리미리 서둘러 주십시요.

☎ 거제대어낚시 선상낚시 예약(독채 민박) 문의☎
☎ 010-6400-2082 / ☎ 010-4547-3937
ㅁ선외기: ☎ 010-6400-2082
밴드: https://band.us/@geojedaeeofishing
거제대어낚시는 1~8선단을 운영하고 있으며 거제도에서 가장 큰 규모를
자랑합니다. 단체팀/회사팀/기업팀/동호회팀/선상 낚시대회도 가능한
충분한 인원을 수용가능합니다.

■ 감성돔 낚시 (어장/어초/여밭)
한나절: 새벽부터~2시까지/ 10만원
오 전: 새벽부터~11시까지/ 7만원 / 오 후: 1시부터~해거름까지/ 7만원
※독배는 시간 조정 가능합니다.
- 어장어초 등에서 포인트가 이루어지기에 어장줄로 달릴 경우 목줄이나
원줄이터질 확률이 높아집니다. 목줄 호수를 여유있게 준비하세요.

■ 참돔 흘림낚시 (중장거리 출조)
한나절:새벽부터 ~ 2시까지(유동적) 13만원
- 밑밥,미끼,도시락 제공, 커피, 음료, 생수 제공
(낚싯대) 기본 1.5호~2호대 530(경질대 선호)
(릴) 4000번~6000번. 권사량 150~200미터 추천되는 스피닝릴.
(라인) 원줄 4~6호 플로팅 세미타입, 목줄 후로로카본 100% 4호~6호 선호.
(바늘) 참돔 8~12호, 큐션또는 수중큐션 -2B ~ -5B, 좁쌀봉돌, 스위벨도래
※독배는 시간 조정 가능합니다.

▦ 거제대어낚시 참돔 시상 내역 ▦ 일 1명씩 시상됩니다.
65Cm 이상 - 최상급 원줄 증정
70Cm~ 79Cm 이상 - 7만원 상당 최상급 원줄+크리스탈 카본 세트+모자 증정.
80Cm ~ 89Cm이상 - 10만원 상당 아지카 최상급라인 세트+모자 外
90센티 이상 - 20만원 상당 아지카 최상급라인 세트+모자 外

■ 생활낚시 & 낚시체험
- 몸만 오시면 됩니다.
- 낚싯대, 장비일절제공, 구명복 제공

■ 선외기 대여
(4인승)- 13만원, (3인승) - 10만원 / (2인승) - 8만원 / (1인승)- 7만원.
영업구역 내 조정면허증 필요 없으므로, 누구나 이용이 가능합니다.
- 선외기 사용교육 3분이면 바로, 운전하실 수 있습니다.

★안전한 독배체제 선상낚시 운영★
- 3인팀, 4인팀, 5인팀, 6인팀, 7인팀으로 다양한 인원으로 독배 운영.
- 코로나19로 부터 안전한 낚시를 즐기기 위해 동행한 분들과 함께 출조.

★대어낚시 선단★
거제 대어낚시 1호 ㅡ 대어호
거제 대어낚시 2호 ㅡ 안드레아호
거제 대어낚시 3호 ㅡ 야호
거제 대어낚시 4호 ㅡ 돌핀호
거제 대어낚시 5호 ㅡ 미래호
거제 대어낚시 6호 ㅡ 거제바다호
거제 대어낚시 7호 ㅡ 사랑호
거제 대어낚시 8호 ㅡ 안젤라호

■ 주변 제휴 민박집 ■
아지랑 민박(단체-독채) ☎010-6400-2082
해송굴구이민박 (단체) ☎010-2545-3755
거제 대어낚시 주변 파라스파찜질방 검색하시면 됩니다.

☎ 거제대어낚시 선상낚시 예약(독채 민박) 문의☎
☎ 010-6400-2082 / ☎ 010-4547-3937
ㅁ선외기: ☎ 010-6400-2082
■ 밴드: https://band.us/@geojedaeeofishing

★찾아오시는길★
※출항지: 거제시 거제면 법동리 1074번지 아지랑경로당 방파제
사무실 :거제시 거제면 서정리 746-3(GS25시편의점)검색하시면 바로 옆 위치
★★★신분증 꼭 지참해주세요★★★

, , , , , , , , , , , , , , , , , , , , , , , , , , , , , , , , , , , , , ,

1 댓글
거제대어낚시2호 23-10-08 16:57 0  
9일 월요일 감성돔낚시 예약 가능합니다. 감사합니다.
포토 제목
 
 

인낚 최신글


인낚 최신댓글


온라인 문의 안내


월~금 : 9:00 ~ 18:00
토/일/공휴일 휴무
점심시간 : 12:00 ~ 13:00