![]() |
|
![]() |
![]() |
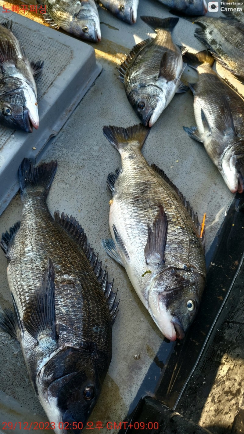
노빠꾸 흘림 55외5짜5짜4짜4짜4짜4짜4짜4짜ㅇ선 훈
조황보다 열정을
열정보다 안전을
전국에 계신 인낚 회원 여러분
안녕하십니까 진동 광암항에 있는
노빠꾸피싱 선장 박태호 인사올립니다^^.
●오늘 조황 안내●
반갑습니다 항상정직한 조황만
업로드하는 노빠꾸 입니다.
6분과 다녀왔습니다.
총 16마리 하고왔습니다.
55cm ,5짜 외 전부 4짜입니다.
4짜중반급들이 대부분이네요.
헤비급들이 물어서 잼있는시간보내고왔습니다.
터지고 빠진건없이 다올라오네요
감사합니다.
예약문의: 010 9372 7047 (선장)
부재시: 010 4947 0901 로연락주세요.
■■ 예약문의는 꼭 전화로 주세요.
간혹 문자를 잘 확인을못합니다.
새벽에도 괜찮으니 전화주시면 친절히 받겠습니다^^
■■
쭈~~~~욱 예약가능합니다
또한 저희 밴드 회원이 되셔서
좀더 디테일하고 빠른 조항정보를 나누실수있게
아래 링크로 가입해주시면 감사하겠습니다.
꾼에입장에서 항상 생각하고 움직이는
최선을다하는 노빠꾸>> 가되겠습니다.
|
|
|
|
















