![]() |
|
![]() |
![]() |
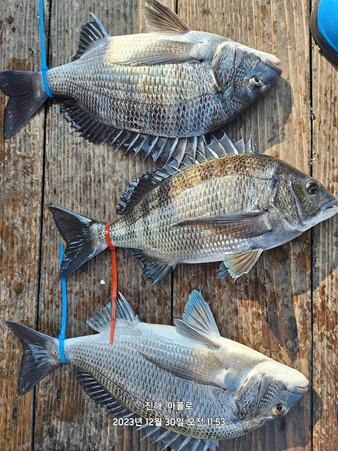
30일유경 아폴로사짜전후 무더기대박조항 전나빨리~빨리
낚시뚜에서 인낚으로 보내는 자동조황
| |||||||||||||||||||
유경낚시 아/폴/로/호/ 진해 장천항 문의 055) 551-3800 010-5289-5856 다대/여차/홍포 감성돔 출항 --------------------------------------------- 아폴로 매일 5인이상만되면 여차권/다대권/홍포권감성돔흘림찌낚시 출발합니다 아폴로여차 홍포권 4짜전후반 줄초상 오늘넘들의 무더기줄초상으로 님들손맛찐하게 보고 철수하였습니다 1일 해돗이 겸출항하오니 시간되시는님들 전나~빨리~빨리 주셔요 --------------------------------------------- ---------------------------------------------- 1일새벽은 홍포권 출항합니다 1일 몆자리여유없어요 빨리~빨리 전나주셔요 2일부터 쭉~우욱 예약가능 전나많이~많이 주셔요 ------------------------------------------- 감성돔 4짜5짜 10마리씩잡을때 까지 파이~~~~팅 -------------------------------------------------------- 5인미만은 내만권 출항합니다 -------------------------------------------------------- 감성돔 출항시간 ------------------------------------------------------ 출항시간은 : 새벽4:00 유동적 입항시간은 : 오후 2:00시 전후 -------------------------------------------------------- 출항30분전까지는 탑승완료 하여주셔요 --------------------------------------------------------- 필독 신분증 미지참시 탑승할수없으니 필히 지참하여주셔요 선내 음주와 주류 반입은 절대할수없습니다 적발시 과태료부과 대상이오니 양지하여주십시오 선내의 식사와 음료 라면등 음식은 선비에 포함되지않은 순수 서비스로 드리는 것입니다 주차공간은 매우 넓으며 주차하시기 아주 편합니다 낚시채비 및 미끼 일체 낚시점에 준비되어 있습니다. 조사님에게 최고의 써비스와 안전으로 편안하게 모셔드립니다 ~오시는길~ 네비는 ~ 진해항제1부두 ~ 치시고 안쪽으로 진해세관비즈니스센타 앞으로 오시면됨 055) 551-3800 010 - 5289 - 5856 | |||||||||||||||||||
| |||||||||||||||||||
![]() 오늘 다대/여차 사짜 전후 무더기 무더기대박 조항 ![]() ![]() 오늘 다대/여차 사짜 전후 무더기 무더기대박 조항 ![]() ![]() ![]() 오늘 다대/여차 사짜 전후 무더기 무더기대박 조항 ![]() ![]() ![]() 오늘 다대/여차 사짜 전후 무더기 무더기대박 조항 ![]() ![]() ![]() 오늘 다대/여차 사짜 전후 무더기 무더기대박 조항 ![]() ![]() ![]() 오늘 다대/여차 사짜 전후 무더기 무더기대박 조항 ![]() ![]() 오늘 다대/여차 사짜 전후 무더기 무더기대박 조항 | |||||||||||||||||||
| |||||||||||||||||||
유경낚시 아/폴/로/호/ 진해 장천항 문의 055-551-3800 010-5289-5856 예약후 취소하시는 분들이 많아 선입금후 예약완료합니다 ~오시는길~ 네비는 ~ 진해항제1부두 ~ 치시고 안쪽으로 진해세관비즈니스센타 앞으로 오시면됨 | |||||||||||||||||||
| |||||||||||||||||||
![]() |
|
|
|
|


























