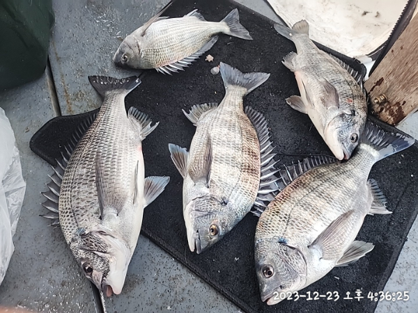
어초흘림 대물감성돔 4짜4짜4짜 감당불감당 팅팅팅

신상품 소개


회원 랭킹


공지사항


NaverBand
점주/선장 > 선상(배) 조황
b_hot_activegloat_200x80.gif b_hot_innakmall_200x80_220704.jpg b_hot_ggsusan_hongeu_200x80.gif b_hot_innakmall_200x80_211203.gif

어초흘림 대물감성돔 4짜4짜4짜 감당불감당 팅팅팅

패미리호 0 175
● 출항지 : 통영
4ad3e94dec3f4aa3994ba4d1b9aab05a.jpg638b9e525040eb9c6f81e901312fe775.jpg08584d953a18a7022a0f007a351f5ac0.jpg61463d08c77d5c853512eccbb2b87f93.jpg32a78a9bc49cefec4225becb978d4b8d.jpg7587629d4add877c24a7f4b475f1be20.jpg2b3ac985d459f79015a1fe8bac26d330.jpgd8b6f21a1b8e38203db99fc3521582ee.jpg84e1cecc13318c3876afede43cf9a496.jpg36c9ab666ca28bbcfd37f6943ad98bab.jpg
박선장입니다..

통영 어초흘림 감성돔 조황입니다 

감당불감당 터지고 4짜 이하로만 ㅜㅜ

점점 물때가 살아나는 시점에  조금 기대해봅니다..

27일 수요일부터 예약가능 합니다 

수요일부터 예약가능합니다.

01086167833

패미리호 밴드




*** 통영 뉴패미리호 예약 안내 ***


예약문의 : 010-8616-7833
오시는길 : 경상남도 통영시 국치1길 52-20
홈페이지 : http://familyho.sunsang24.com/


모바일.gif 

blank.png1


0 댓글
포토 제목
 
 

인낚 최신글


인낚 최신댓글


온라인 문의 안내


월~금 : 9:00 ~ 18:00
토/일/공휴일 휴무
점심시간 : 12:00 ~ 13:00