












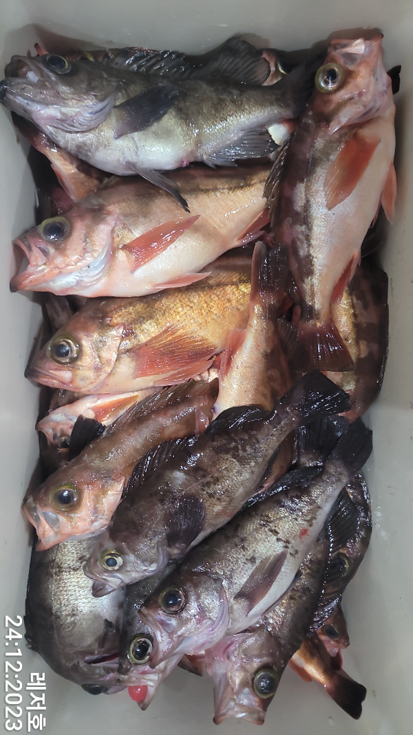
밤볼락,열기 외줄 시즌이 왔습니다,
모처럼,좋은 날씨,
첫 포인터부터 열기,볼락들이 줄을 타내요
30이 넘는 왕열기,볼락들도 꾸준히 나왔습니다,
10시경 거의 만쿨 하시고 ,얼음 녹이고,
뚜레박에 까지 ㅋㅋ
한시간 더 놀다가 왔습니다,
☞ 27일(수) 06시출항 ,열기,합니다,
▶ 평일(월 ~금) 이벤트출조 :선비,10만(식사,커피,생수)
▶출조안내
25일(월) : 기상악화
26일(화) : 기상악화
27일(수) : 06시 열기 외줄 출항확정 ( 8분예약가능)
28일(목) : 14시열기,볼락병행출조(14시 예약중)
29일(금) : 열기 외줄 (06시예약중)
30일(토) : 14시 열기볼락병행출항 확정(7분 예약가능)
31일(일) : 열기 외줄(06시 예약중)
01일(월) : 06시 해돋이 열기외줄 출항확정 (10분 예약가능)
실시간예약&확인 :http://samdeok.sunsang24.com/
▶ 대장쿨러 NO ~
36리터,이하 쿨러 부탁 드립니다,
■ 열기출조
- 06시 출항 / 15:00 입항(유동적)
- 선비 12만원
- 식사, 얼음, 생수, 컵라면, 간단한 다과, 커피제공
* 9.77톤 외줄낚시 최대 14분모십니다.
* 자리는 출항 30분전 추첨.(추첨번호,잠자리 번호 동일)
* 주요출조지
국도, 구을비도, 매물도, 좌사리, 갈도, 욕지권
* 낚시대, 전동릴 한세트 2만원 대여 (파손시 변상)
수량이 많지 않으니 사전예약요합니다.
* 전동릴 전원, 받침대설치 완비
* 입출항 시간은 기상 및 바다여건에따라 변동될수 있음.
----------------------------------------------------------------
■ 외줄낚시 준비물
- 3m전후 연질외줄낚시대, 전동릴, 봉돌 80호 통일,
칼, 면장갑, 35리터 이내 아이스박스
(대장쿨러는 참아주세요.^^ )
멀미약은 개인지참
☆ 합사줄 3, 4호추천
(갈치 낚시 합사줄 8호 10호줄 절대 안됩니다.)
☆ 채비는 최소 10세트이상 지참
- 볼락 : 빙글빙글 카드채비 바늘 11~13호 5~6단
리필바늘, 청갯지렁이 반판(=5천원 세네통)
- 열기 : 빙글빙글 어피카드채비 바늘 11~13호 10단
기본 오징어채미끼 기호에 따리 청갯지렁이,
생크릴, 미꾸라지, 피라미등
