![]() |
|
![]() |
![]() |
수요일 원도권 감성돔흘림 예약중 입니다
낚시뚜에서 인낚으로 보내는 자동조황
| |||||||||||||||||||
사/천/뉴/경/원/호
사천 뉴경원호 2020년 신조선 21인승 통로가 넓어 낚시하기 진짜 편합니다.!! 황정호 선장 010-5630-6366 배타는곳 *경남 사천시 신향1길 30-14 | |||||||||||||||||||
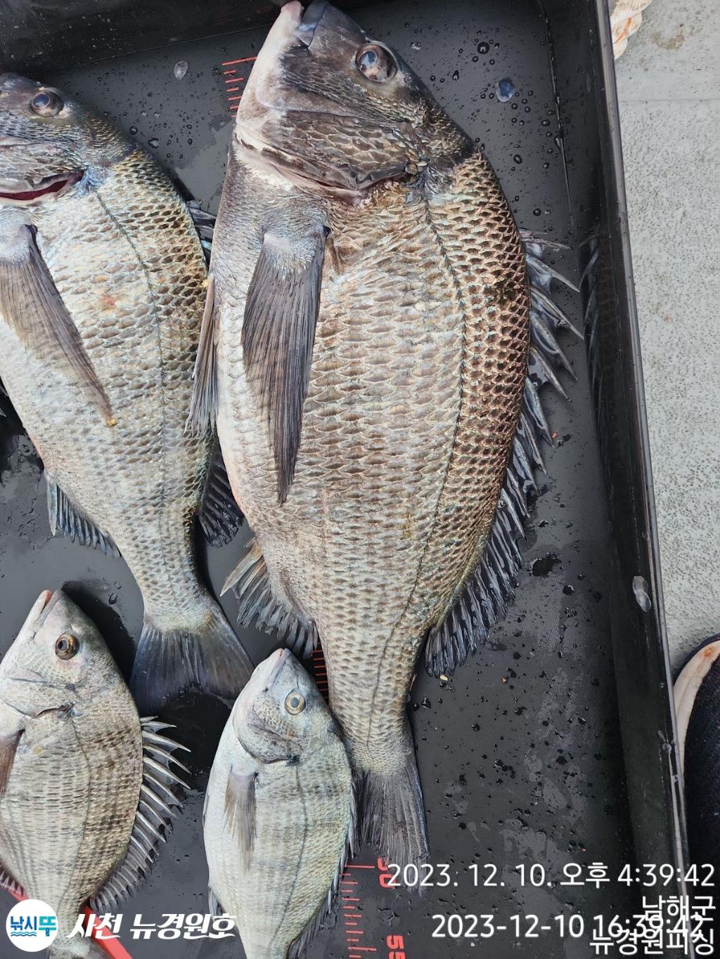
어제 시즌 첫 5짜로 기분좋게 마무리하고 수요일. 그곳으로 달립니다 대물 손맛이 그리운분들 연락 주세요 짜릿한 대물로 보답할께요 자리여유 많습니다 함께 하실분 연락 주세요 ♡♡010~5630~6366 | |||||||||||||||||||
![]() ![]() ![]() ![]() | |||||||||||||||||||
사/천/뉴/경/원/호
사천 뉴경원호가 신건조 조선으로 업그레이드되었습니다 황정호 선장 010-5630-6366 경원호 안내 * 선장 포함 21명 * 해수라인,기표기,전동릴 * 원두커피, 생수, 음료, 커피 무한제공 * 통로가 넓어 낚시하기 진짜 편합니다. * 최신선박장비, 팽창식 구명조끼, 릴낚시대 대여
오시는 길 * 경남 사천시 신향1길 30-14
예약입금계좌 * 농협 352-1346-6539-73 황건우 * 수협 2020-5210-0991 황건우
안전한 낚시를위해서 * 구명조끼 반드시 착용 * 선내음주는 금지 * 신분증지참
개인,단체,동호회,밴드모임,출조방 환영합니다.
네이버 밴드에서 뉴경원호 검색하시면 더 많은 조황확인 가능합니다. 연간 출조 계획 * 1월에서 3월: 타이라바, 감성돔흘림,빅게임(지깅) * 4월에서 5월: 갑오징어, 돌문어 * 6월에서 7월: 한치 * 7월에서 12월: 돌문어 쭈꾸미,갑오징어,야간갈치
문의전화 : 010-5630-6366 | |||||||||||||||||||
| |||||||||||||||||||
![]() |
반갑습니다 삼천포 선상 최강낚시배 신조선 뉴경원호로 여러분들 모시겠습니다 선박지: 경남사천시신향1길30-14 입금계좌: 농협 352-1346-6539-73 황건우
|
|
|
|













