![]() |
|
![]() |
![]() |
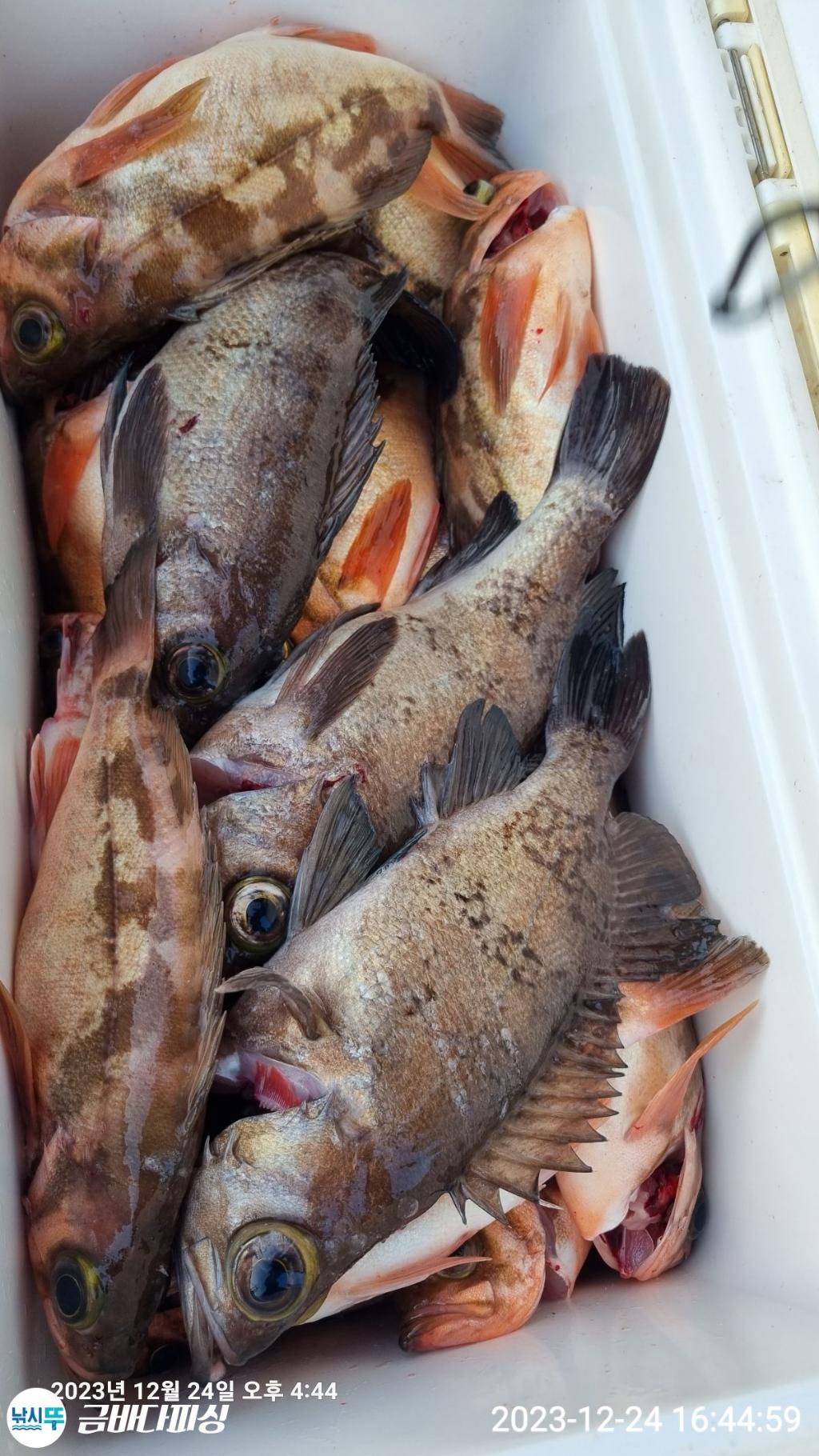
주간 왕볼락 왕열기 쿨러조황
낚시뚜에서 인낚으로 보내는 자동조황
| |||||||||||||||||||
금/바/다/피/싱 문의 010-3539-2105 위전화 안될시에에만 010-9007-2105
감성돔 카고
카고대 2호 이상 .원줄 5호 목줄4호.바늘6호7호 카고 30호 40호 밑밥 미끼 손님준비 오전 6시출항 오후3~4시 입항 선비 내만권10만원 원도권 11만원 준내만 및 먼바다 갈치출조 안내 갈치대전용대 ,전동릴 3000번이상 원줄 16호 및 합사 ,기둥줄 8단 및10단 초보 조사님을 위안 가이드및 전동릴 낚시대유상 대여 2만원 채비및 스티로폼쿨러 선상 판매 목장갑,가위 ,칼만 챙겨오심 됩니다 상황에 맞추어 준내만권이든 먼바다이든 고기 나오는 쪽으로 달리겠습니다 저녁식사및 음료제공
준내만권선비 13만원 먼바다 15만원 한치 선비 12만원
참돔꼬라박기 출조안내 낚시대 2호 2.5호 3호 원줄 6호 이상 목줄6호 7호 참돔 바늘 12호 봉돌은 물때에 따라 20~60호 까지 기둥줄은 선상에서 지급 미끼및 점심식사.음료제공 오전 5~6시출조 오후2~3시입항선비 13만원 돌문어 주간및 야간 출조안내 6월9일 부터 출조 문어루어대 ,합사2호~3호 문어에기및 레이저 에기.문어채비(낚시점 구매) 핀도레 낚시대 없으신분 베이트릴낚시대무상대여. 채비는 미리말씀하심 준비해드립니다 주간출조 오전5시 출조 2시입항 주말,평일내만권 8만원 원도권9만원 식사및 음료제공 야간 볼락및 주간볼락 출조 빙글 빙글카드 6단 바늘9~12 또는 미끼없이 사용하는 모러겐9~12호 볼락낚시대 뽈락전용360 ,주간 선비12만원 야간은 토요일만 출조합니다 선비12만원 미끼는 민물새우 , 청개비 주간오전6시 출항 15시입항 야간 오후4시출항 01시입항 "금바다 피싱" 밴드로 초대합니다. http://band.us/n/aaa0za24D976U 밴드명을 검색해 가입할 수 있습니다.
* 선상 음주절대 금지
*신분증 필히 지참
금/바/다/피/싱 문의 010-3539-2105 위전화 안될시에에만 010-9007-2105 경남 통영시 산양읍 풍화일주로 440-1 수협 2010-1008-3054 조정아
| |||||||||||||||||||
왕볼락 왕열기 줄을탑니다 | |||||||||||||||||||
![]() ![]() ![]() ![]() ![]() ![]() ![]() ![]() ![]() ![]() ![]() ![]() ![]() ![]() | |||||||||||||||||||
안녕하세요 금바다피싱 입니다 오늘은 신발짝 왕볼락 왕열기 가 줄을타내요 전원쿨러 조황입니다 내일 25일 자리많습니다 1월 1일 해돋이겸 볼락ㆍ열기 출조합니다 자리많습니다 출조하실분이나 궁금하신점 언제든 전화주세요 감사합니다 | |||||||||||||||||||
| |||||||||||||||||||
| |||||||||||||||||||
![]() |
|
|
|
|























