거제도(감생이) 빵이 좋습니다~용진호(실시간) 조황

신상품 소개


회원 랭킹


공지사항


NaverBand
점주/선장 > 선상(배) 조황
b_hot_activegloat_200x80.gif b_hot_innakmall_200x80_220704.jpg b_hot_ggsusan_hongeu_200x80.gif b_hot_innakmall_200x80_211203.gif

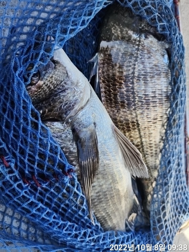
거제도(감생이) 빵이 좋습니다~용진호(실시간) 조황

거제용진호 1 238
거제도권 감성돔낚시 핫포인트 학산마을 용진호입니다.
살아나는 물때 구간이라 그런지 안정적인 조류에 어장 사이로 지나가는
어신찌에 바로 반응이 오는 토요일 아침입니다. 아침시간대 겨울을 지내기
위해 거제 내만으로 진입한 녀석들의 파워가 상당합니다. 사이즈도 좋은
상황이라 그런지, 들어뽕하기 힘든 사이즈들이 본격 입질을 해 댑니다.

9일 일요일 내일 물때 좋습니다.
승율높은 물때이오니 도전하십시요~

★ 10월 9일(일요일) 거제도 내만권 감성돔 선상낚시 "예약가능"
※ 5짜 감성돔은 AJIKA(아지카)라인에서 원줄 증정. 

◎ 감성돔 선상낚시 출조 일정 ◎
★ 10월 9일(일요일) 거제도 내만권 감성돔 선상낚시 "예약가능"
★ 10월 10일(월요일) 거제도 내만권 감성돔 선상낚시 "예약가능"
 

▩ "감성돔 흘림낚시" 안내 ▩
(주말/종일 운영) 04:30~14:00까지 10만원 (10월달부터)
- 오전낚시는 전화로 문의.
- 밑밥, 미끼 포함 (종일 주말은 점심식사제공, 음료, 생수 제공)
- 어초, 어장포인트 다양한 포인트 보유하고 있습니다.

<용진호 이용시 유의 사항>
- 신분증은 필해 지참해야 하며, 배에서 음주행위는 법으로 금지.
- 구명조끼는필수 지참이며 없을 경우, 무료로 대여 해드립니다

▨ 용진호 ☎ 010.3587.8651
(선착장) 거제시 둔덕면 학산리 107-6
- 예약계좌 (수협) 2020 4196 1837 예금주 :오화택

, , , , , , , , , , , , , , , , , , , , , , , , , , , ,

1 Comments
거제용진호 22-10-08 10:09 0  
9일 일요일 감성돔낚시 예약가능합니다. 감사합니다.
포토 제목
 
 

인낚 최신글


인낚 최신댓글


온라인 문의 안내


월~금 : 9:00 ~ 18:00
토/일/공휴일 휴무
점심시간 : 12:00 ~ 13:00