●농어 생새우 외수질낚시 출조합니다●물때따라 계속출조●
민어낚시 출조합니다.미리예약주세요.
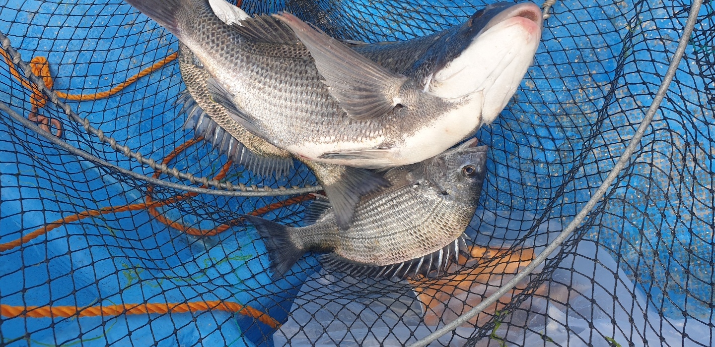
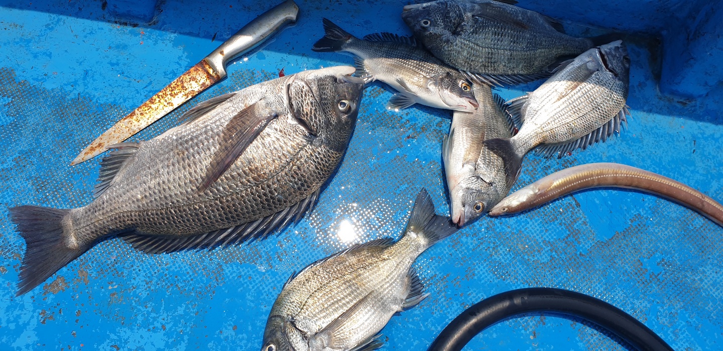
[목포감성돔낚시] 6/21일 애송이분 모시고 감성돔낚시 다녀왔넹요
6/24이~25일 금요일토요일 비박출조합니다.
오후3시 목화낚시 매장 도착
4시 출항(자리여유)
6/25일 27일 농어외수질낚시 출조합니다.(미리저나주세요)
문의사항 매장 잔화주세요.
어린이들 체험낚시 가족낚시 가장 좋습니다.
★★(301-0193-5808-11)농협 김형우★★
목포갈치낚시
선비 1인 70.000원 [미리예약저나주세요]
{낚시대1인2대,채비, 음료수 간식무료,}
◆{신분증 꼭 지참하세요.}◆
■{농어 생새우 외수질낚시 출조합니다.}■
선비1인 미끼 포함 120.000원
■목포민어낚시 출조합니다.■
선비 1인 150.000원 당일 [미끼 별도]
미리 예약하세요.
★★(채비, 1인낚시대2대, 점심 음료수무료)★★
목화피싱 홈페이지(홈페이지에도 예약하세요)
◆◆www.목포갈치낚시 목화피싱호.kr ◆◆
목포도다리낚시
(밴드에서도 예약 하세요)
band.us/@01063311476 목포목화갈치낚시 밴드
목포목화피싱호,목화갈치낚시
061-284-5329 ★010-6331-1476
목화피싱 선장 김형우 010-3126-2251
목화피싱 9.77톤 2대 ★ 4.99톤 1대 [직영운영]
목화선단 9.77톤 2대 3톤 7인승 2대
★★매일출조 문의 하세요!★★
★목포민어 농어낚시 ★
북항 ★제 2부잔교 ★ 입출항합니다.
단체손님 예약 환영합니다.
★★선비 꼭 문의주세요 ★★
네이비주소
전남 목포시 영산로 801 {목화낚시}
목포농어낚시. 생새우,외수질낚시, 목포민어낚시,해남민어낚시,목포배낚시,목포체험낚시,생활낚시,목포바다낚시,목포선상낚시,목포목화피싱,목화낚시,목포유달산,목포 북항,목포 농어 외수질낚시 방법,목포 민어낚시 방법,목포 쭈꾸미낚시,목포 케이블카,
목포농어낚시. 생새우, 외수질낚시, 목포민어낚시, 해남민어낚시, 목포배낚시, 목포체험낚시, 생활낚시, 목포바다낚시, 목포선상낚시, 목포목화피싱, 목화낚시, 목포유달산, 목포 북항, 목포 농어 외수질낚시 방법, 목포 민어낚시 방법, 목포 쭈꾸미낚시, 목포 케이블카