어젯밤 볼락루어출조 ~ ^^ 계속출조 ~

신상품 소개


회원 랭킹


공지사항


NaverBand
점주/선장 > 선상(배) 조황
b_hot_activegloat_200x80.gif b_hot_innakmall_200x80_220704.jpg b_hot_ggsusan_hongeu_200x80.gif b_hot_innakmall_200x80_211203.gif

어젯밤 볼락루어출조 ~ ^^ 계속출조 ~

경민피싱 0 219
F19502577H.jpg낚시뚜에서 인낚으로 보내는 자동조황
top01.png

삼천포

사천 경민피싱

top02.png
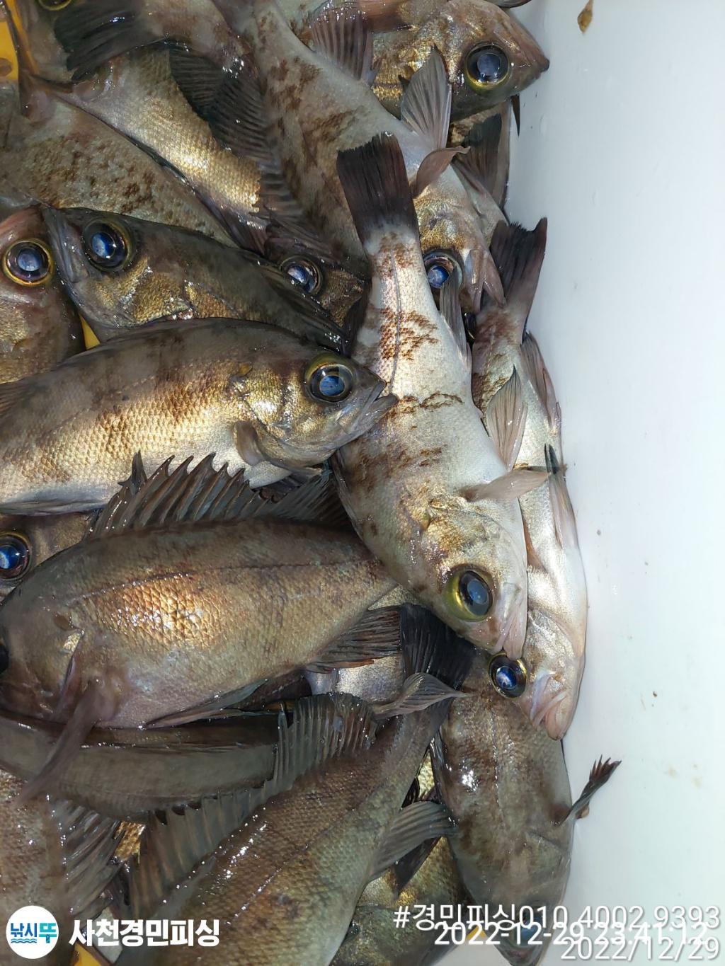
어젯밤 밤볼락루어출조
울조사님들 다소 조과차이가 나지만
만쿨부터~ 드실만큼 손맛보시고
귀가하였습니다 오늘 오후5시출항~
· 출조일시2022-12-30(금)
· 출조인원8명
· 어종볼락

 20200617.075641.686.M0009541W0_600.jpg 

 

사천 삼천포 팔포항

경/민/피/싱

문어/쭈꾸미 시즌이 드디어 시작됐습니다.

문어하면 삼천포 경민피싱이죠.

조황을 위해 항상 최선을 다합니다.

 

문의전화 :010-4002-9393

주소: 경남 사천시 팔포3길56-57

출조 어종 : 쭈꾸미, 갈치,감성돔,화살촉오징어,문어,볼락


경민피싱 오시는길​


20220807.112352.291.M0009541W0_600.jpg

 

금요일3자리여유~
토ㆍ일 자리여유~
오후5시출항~~
F19502577H.jpgF1950261G3.jpgF19502634R.jpgF1950260CC.jpgF1950259XW.jpgF19502587M.jpgF1950256LS.jpgF19502627N.jpgF19502671Y.jpgF1950266JH.jpgF1950265HS.jpgF19502645K.jpg

사천 삼천포 팔포항

경/민/피/싱

문어 출조 : 7만원 / 06시출조

문어낚시대 무상 임대

 

주말 예약 필수

홈페이지 조황 및 예약 현황보기

문의전화 :010-4002-9393

주소: 경남 사천시 팔포3길56-57 

 

농협

351-0049-3501-23

이현주


20220807.112222.963.M0009541W0_600.jpg
 

네비주소 :경남 사천시 팔포3길56-57

예약문의

010-4002-9393

농협

351-0049-3501-23

이현주

100

삼천포

사천 경민피싱

박진석 선장

590
항구명 삼천포 팔포항
승선인원 14명
출조점명 경민피싱
배 타는 곳팔포항 선착장

홈페이지 바로가기 Click

낚시뚜


0 Comments
포토 제목
 
 

인낚 최신글


인낚 최신댓글


온라인 문의 안내


월~금 : 9:00 ~ 18:00
토/일/공휴일 휴무
점심시간 : 12:00 ~ 13:00